| Forum Entomologi Italiani https://www.entomologiitaliani.net/public/forum/phpbb3/ |
|
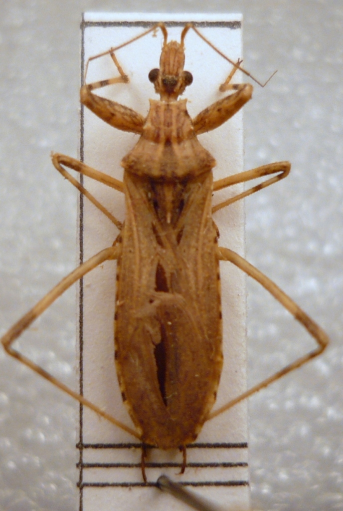
| Oncocephalus pilicornis (Reuter, 1882) - Reduviidae https://www.entomologiitaliani.net/public/forum/phpbb3/viewtopic.php?f=96&t=4473 |
Pagina 1 di 1 |
| Autore: | marco paglialunga [ 04/01/2010, 13:57 ] | ||
| Oggetto del messaggio: | Oncocephalus pilicornis (Reuter, 1882) - Reduviidae | ||
........sarà mica un Nabidae anche questo???? Pesaro VI-93 16 mm
|
|||
| Autore: | Dilar [ 04/01/2010, 15:37 ] |
| Oggetto del messaggio: | Re: Nabidae o Reduvidae? |
Reduviidae. Genere Oncocephalus. Mi pare sia O.pilicornis Reuter. Attendiamo gli eterotterologi per la conferma! |
|
| Autore: | eremicus [ 05/01/2010, 21:18 ] |
| Oggetto del messaggio: | Re: Oncocephalus cf. pilicornis Reuter 1882 - Reduviidae |
Si può togliere il punto di domanda: è un maschio di Oncocephalus pilicornis (Reuter, 1882). |
|
| Pagina 1 di 1 | Tutti gli orari sono UTC + 1 ora [ ora legale ] |
| Powered by phpBB® Forum Software © phpBB Group http://www.phpbb.com/ |
|