Benvenuto Ospite

Forum Entomologi Italiani

www.entomologiitaliani.net/forum
 
Oggi è 30/03/2026, 18:34

Tutti gli orari sono UTC + 1 ora [ ora legale ]

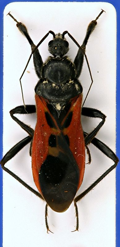
Peirates hybridus (Scopoli, 1763) - Reduviidae - Sasso Marconi (BO)



nuovo argomento
rispondi
Pagina 1 di 1 [ 7 messaggi ]
Autore Messaggio
MessaggioInviato: 25/02/2010, 22:35 
Avatar utente

Iscritto il: 05/02/2009, 17:25
Messaggi: 4894
Località: Zola Predosa (BO)
Nome: Loris Colacurcio
Anche questa bestiola proviene da un pioppo; in questo caso si trovava dentro il legno marcescente di un grosso tronco abbattuto da tempo.

Sasso Marconi (BO) - Palazzo Rossi, 22.II.2010
Heterottero n2.JPG


_________________
Loris


Top
profilo
 Oggetto del messaggio: Re: Reduvide ? Sasso Marconi (BO)
MessaggioInviato: 25/02/2010, 22:55 
Avatar utente

Iscritto il: 06/02/2009, 9:15
Messaggi: 1468
Località: Vigevano PV
Nome: Danilo Mario Piccolino
;) dovrebbe trattarsi di Peirates sp., ma aspetta altri pareri.

:hi:

_________________
Danilo


Top
profilo
 Oggetto del messaggio: Re: Reduvide ? Sasso Marconi (BO)
MessaggioInviato: 25/02/2010, 22:59 
Avatar utente

Iscritto il: 05/02/2009, 17:25
Messaggi: 4894
Località: Zola Predosa (BO)
Nome: Loris Colacurcio
Osteria, direi che ci siamo sicuramente :ok:

Peirates (Peirates) hybridus (Scopoli, 1763) ???

:hi:

_________________
Loris


Top
profilo
 Oggetto del messaggio: Re: Reduvide ? Sasso Marconi (BO)
MessaggioInviato: 26/02/2010, 0:36 
Avatar utente

Iscritto il: 28/05/2009, 16:38
Messaggi: 5075
Nome: luigi lenzini
Mi risulta che sia una specie terricola, che scava addirittura tane e si affaccia sulla porta in attesa. Se è lo stesso, dovrebbe squittire come un Cerambicidae.
La puntura fa molto male :sick:


Top
profilo
 Oggetto del messaggio: Re: Reduvide ? Sasso Marconi (BO)
MessaggioInviato: 26/02/2010, 1:02 
Avatar utente

Iscritto il: 14/01/2010, 0:10
Messaggi: 3603
Località: Liguria, Genova
Nome: Giovanni Ratto
elleelle ha scritto:
La puntura fa molto male :sick:


Non me ne intendo minimamente ma credo che tutti i Reduviidae
siano alquanto "tosti". Cito questa mia esperienza giovanile:
Presso la casa in campagna, avevo catturato uno scorpione che avevo
messo in un bicchierino da yogurt. :)
Poco dopo avevo anche trovato un Reduviidae e, volendo vedere
cosa succedeva, l'ho posto nello stesso bicchierino. :p
Poco dopo sono andato a vedere la situazione, immaginando che lo
scorpione avesse avuto la meglio! :gh:
Bene, lo scorpione giaceva esanime, mentre l'Emittero aveva il suo rostro
ben piantato nella giuntura tra patella e chela!!! :shock: :shock: :shock:

:hi:

_________________
ImmagineGiovanni
Pactolinus gigas (Paykull, 1811)


Top
profilo
 Oggetto del messaggio: Re: Reduvide ? Sasso Marconi (BO)
MessaggioInviato: 27/02/2010, 0:53 
Avatar utente

Iscritto il: 05/02/2009, 17:25
Messaggi: 4894
Località: Zola Predosa (BO)
Nome: Loris Colacurcio
Pensa invece che mio fratello, in una spedizione entomologica proprio a Palazzo Rossi di quasi 15 anni fa, si beccò una dolorosissima "puntura" di R. iracundus. Oltre al male :x , il braccio si gonfiò a dismisura, tanto che dovette andare la Pronto Soccorso.

Da allora gestisco queste bestiole con un'estrema prudenza..... :no:

:hi:

_________________
Loris


Top
profilo
 Oggetto del messaggio: Re: Reduvide ? Sasso Marconi (BO)
MessaggioInviato: 02/03/2010, 0:05 
Avatar utente

Iscritto il: 31/12/2009, 1:47
Messaggi: 952
Località: Bellano (LC)
Nome: Martino Salvetti
Anche per me si tratta di Peirates hybridus
Qui c'è una foto del Peirates stridulus

http://www.insecte.org/forum/viewtopic.php?f=35&t=48627


Top
profilo
Visualizza ultimi messaggi:  Ordina per  
nuovo argomento
rispondi
Pagina 1 di 1 [ 7 messaggi ]

Tutti gli orari sono UTC + 1 ora [ ora legale ]


Chi c’è in linea

Visitano il forum: Nessuno e 2 ospiti


Non puoi aprire nuovi argomenti
Non puoi rispondere negli argomenti
Non puoi modificare i tuoi messaggi
Non puoi cancellare i tuoi messaggi
Non puoi inviare allegati

Cerca per:
Vai a:  
cron