Benvenuto Ospite

Forum Entomologi Italiani

www.entomologiitaliani.net/forum
 
Oggi è 23/05/2026, 22:08

Tutti gli orari sono UTC + 1 ora [ ora legale ]

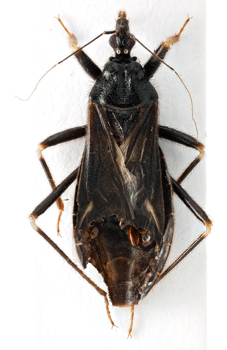
Reduvius personatus (Linnaeus, 1758) (cf.) - Reduviidae

17.VI.2015 - ITALIA - Lazio - RM, Manziana


nuovo argomento
rispondi
Pagina 1 di 1 [ 1 messaggio ]
Autore Messaggio
MessaggioInviato: 02/09/2015, 20:18 
Avatar utente

Iscritto il: 10/05/2009, 15:30
Messaggi: 7183
Località: Ancona
Nome: Giacomo Giovagnoli
Credo sia un Reduvius personatus (Linnaeus, 1758)...

Manziana (Roma); 17.VI.2015; in tronco marcio.

Che rabbia vederlo mangiato da un maledetto antreno!!! :devil: :oooner:

[grazie zio per le foto!!! :birra: ]

Dimensioni: 16mm
CombM1773_27zF5cr.jpg


CombM1774_38zF5cr.jpg


CombM1775_123zF5cr.jpg



Ciao :)

_________________
Immagine Giacomo


Top
profilo
Visualizza ultimi messaggi:  Ordina per  
nuovo argomento
rispondi
Pagina 1 di 1 [ 1 messaggio ]

Tutti gli orari sono UTC + 1 ora [ ora legale ]


Chi c’è in linea

Visitano il forum: Nessuno e 1 ospite


Non puoi aprire nuovi argomenti
Non puoi rispondere negli argomenti
Non puoi modificare i tuoi messaggi
Non puoi cancellare i tuoi messaggi
Non puoi inviare allegati

Cerca per:
Vai a: