Benvenuto Ospite

Forum Entomologi Italiani

www.entomologiitaliani.net/forum
 
Oggi è 31/01/2026, 18:50

Tutti gli orari sono UTC + 1 ora [ ora legale ]

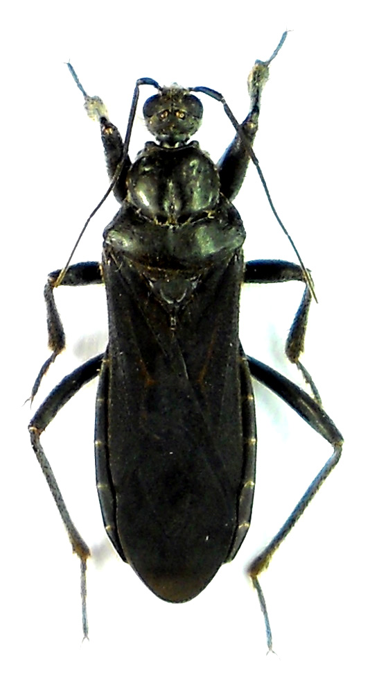
Peirates strepitans Rambur, 1839 - Reduviidae

29.VI.2015 - ITALIA - Sardegna - OT, Arzachena, Stazzi Sarraiola, Pietro Leo leg.


nuovo argomento
rispondi
Pagina 1 di 1 [ 4 messaggi ]
Autore Messaggio
MessaggioInviato: 12/10/2015, 23:18 
Avatar utente

Iscritto il: 05/02/2009, 17:47
Messaggi: 7252
Località: Cagliari
Nome: Piero Leo
Continuo la serie del materiale raccolto la scorsa estate da mio figlio nella zona di Arzachena.
Anche questo, come l'altro, potrebbe essere genere Peirates? La specie mi sembra differente (emielitre più uniformrmrntr nere, torace diverso, addome più largo?), ma potrei benissimo sbagliarmi.

Lunghezza 12 mm
Reduviidae 2a.jpg



:) Ciao
Piero


Top
profilo
 Oggetto del messaggio: Re: Reduviidae 2
MessaggioInviato: 13/10/2015, 4:13 
Avatar utente

Iscritto il: 21/09/2014, 11:55
Messaggi: 1561
Località: Istanbul Turkey
Nome: Barış
Another Peirates strepitans. :)


Top
profilo
 Oggetto del messaggio: Re: Reduviidae 2
MessaggioInviato: 13/10/2015, 15:59 
Avatar utente

Iscritto il: 28/05/2009, 16:38
Messaggi: 5058
Nome: luigi lenzini
Credo di sì. Paride ne aveva determinato uno simile fotografato da me in Comune di Santa Teresa Gallura.


Top
profilo
 Oggetto del messaggio: Re: Reduviidae 2
MessaggioInviato: 13/10/2015, 20:08 
Avatar utente

Iscritto il: 05/02/2009, 17:47
Messaggi: 7252
Località: Cagliari
Nome: Piero Leo
Grazie Bariş e Luigi.

:) Ciao
Piero


Top
profilo
Visualizza ultimi messaggi:  Ordina per  
nuovo argomento
rispondi
Pagina 1 di 1 [ 4 messaggi ]

Tutti gli orari sono UTC + 1 ora [ ora legale ]


Chi c’è in linea

Visitano il forum: Nessuno e 1 ospite


Non puoi aprire nuovi argomenti
Non puoi rispondere negli argomenti
Non puoi modificare i tuoi messaggi
Non puoi cancellare i tuoi messaggi
Non puoi inviare allegati

Cerca per:
Vai a: