Forum Entomologi Italiani
https://www.entomologiitaliani.net/public/forum/phpbb3/

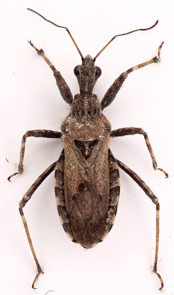
Coranus (Coranus) kerzhneri P.V. Putshkov, 1982 - Reduviidae Harpactorinae Harpactorini
https://www.entomologiitaliani.net/public/forum/phpbb3/viewtopic.php?f=96&t=64944
Pagina 1 di 1

Autore:  cennino [ 25/10/2015, 19:08 ]
Oggetto del messaggio:  Coranus (Coranus) kerzhneri P.V. Putshkov, 1982 - Reduviidae Harpactorinae Harpactorini

Ciao :hi:
Trovato in giardino.
Misura: 11 mm
Mi sembra Coranus kerzhneri :roll:
Grazie per un aiuto...

Allegati:
2015-10-25-11_Fotor.jpg


Autore:  Baris99 [ 25/10/2015, 19:12 ]
Oggetto del messaggio:  Re: Reduviidae sp.

Lateral view please ? :)

Autore:  cennino [ 25/10/2015, 22:02 ]
Oggetto del messaggio:  Re: Reduviidae sp.

:hi:

Allegati:
2015-10-25-20_Fotor.jpg


Autore:  Baris99 [ 26/10/2015, 4:50 ]
Oggetto del messaggio:  Re: Reduviidae sp.

I agree. :)

Autore:  cennino [ 26/10/2015, 7:37 ]
Oggetto del messaggio:  Re: Reduviidae sp.

Thank's :hi:

Pagina 1 di 1 Tutti gli orari sono UTC + 1 ora [ ora legale ]
Powered by phpBB® Forum Software © phpBB Group
http://www.phpbb.com/