Benvenuto Ospite

Forum Entomologi Italiani

www.entomologiitaliani.net/forum
 
Oggi è 31/01/2026, 13:47

Tutti gli orari sono UTC + 1 ora [ ora legale ]

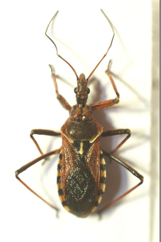
Rhynocoris (Rhynocoris) erythropus (Linnaeus 1767) - Reduviidae

2.VI.2015 - ITALIA - Toscana - PO, S.Ippolito di Vernio


nuovo argomento
rispondi
Pagina 1 di 1 [ 3 messaggi ]
Autore Messaggio
MessaggioInviato: 21/11/2015, 20:52 
 

Iscritto il: 09/08/2013, 15:35
Messaggi: 1260
Nome: Andrea marata
Salve,
E’ lui?... :roll: non mi sembrano gli stessi colori... :?
Grazie
Andrea :hi:
Dimensioni: 11 mm
DSC01075.jpg


DSC01076.jpg



Top
profilo
 Oggetto del messaggio: Re: Rhynocoris iracundus?
MessaggioInviato: 21/11/2015, 22:38 
Avatar utente

Iscritto il: 01/11/2009, 9:51
Messaggi: 2330
Nome: Andrea Rattu
Rhynocoris (Rhynocoris) erythropus (Linnaeus 1767)

_________________
Se gettassi su di un piatto della bilancia tutto ciò che ho imparato a comprendere in quelle ore di meditazione di fronte all'acquario, e sull'altro tutto ciò che ho ricavato dai libri, come rimarrebbe leggero il secondo!
Konrad Lorenz


Top
profilo
 Oggetto del messaggio: Re: Rhynocoris iracundus?
MessaggioInviato: 22/11/2015, 0:39 
 

Iscritto il: 09/08/2013, 15:35
Messaggi: 1260
Nome: Andrea marata
Grazie,
Andrea :hi:


Top
profilo
Visualizza ultimi messaggi:  Ordina per  
nuovo argomento
rispondi
Pagina 1 di 1 [ 3 messaggi ]

Tutti gli orari sono UTC + 1 ora [ ora legale ]


Chi c’è in linea

Visitano il forum: Nessuno e 1 ospite


Non puoi aprire nuovi argomenti
Non puoi rispondere negli argomenti
Non puoi modificare i tuoi messaggi
Non puoi cancellare i tuoi messaggi
Non puoi inviare allegati

Cerca per:
Vai a: