Benvenuto Ospite

Forum Entomologi Italiani

www.entomologiitaliani.net/forum
 
Oggi è 30/03/2026, 9:05

Tutti gli orari sono UTC + 1 ora [ ora legale ]

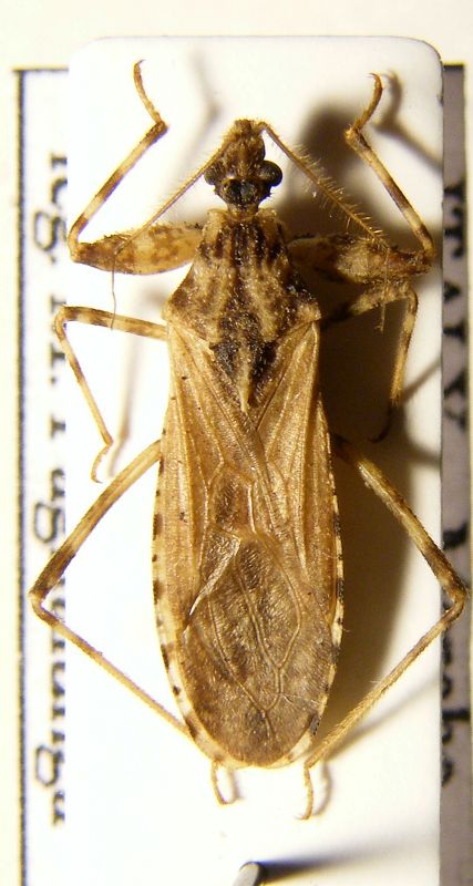
Oncocephalus squalidus (Rossi, 1790) - Reduviidae

10.XI.2013 - ITALIA - Marche - PU, Collina Baratoff - leg. M. Paglialunga


nuovo argomento
rispondi
Pagina 1 di 1 [ 7 messaggi ]
Autore Messaggio
MessaggioInviato: 09/12/2016, 18:43 
Avatar utente

Iscritto il: 01/11/2009, 9:51
Messaggi: 2332
Nome: Andrea Rattu
Lunghezza: mm 11,4. Non possiedo tabelle per discriminare le specie di Oncocephalus :cry: . Oncocephalus squalidus (Rossi, 1790)? Grazie a tutti.


4.jpg

3.jpg

2.jpg

1.jpg


_________________
Se gettassi su di un piatto della bilancia tutto ciò che ho imparato a comprendere in quelle ore di meditazione di fronte all'acquario, e sull'altro tutto ciò che ho ricavato dai libri, come rimarrebbe leggero il secondo!
Konrad Lorenz
Top
profilo
 Oggetto del messaggio: Re: Oncocephalus da ID
MessaggioInviato: 09/12/2016, 19:27 
 

Iscritto il: 10/07/2010, 14:42
Messaggi: 4866
Nome: Giuseppe Pace
Palaemonetes ha scritto:
Non possiedo tabelle per discriminare le specie di Oncocephalus

Prova queste:
1 Colorazione grigio chiara tendente al giallo. Membrana provvista di celle con evidenti macchie scure Oncocephalus pilicornis Reuter, 1882
- Colorazione più scura. Membrana senza macchie scure ben contrastate 2
2 Scutello con una banda verticale più chiara dalla base all'apice. Connexivi bicolori ma le parti chiare posseggono un puntino nero al loro interno Oncocephalus squalidus(Rossi, 1790)
- Scutello chiaro solo nella parte apicale appuntita. Connexivi bicolori con parti scure e chiare alternate, senza ulteriori punti scuri nelle parti chiare Oncocephalus notatus Klug, 1830. Si tratta di una specie diffusa dal N-Africa alla Mauritania e al Medio Oriente. Le citazioni per le isole italiane sono dubbie.

Palaemonetes ha scritto:
Oncocephalus squalidus (Rossi, 1790)?

Sembrerebbe lui.
La forma del pronoto però non mi convince.
Dovrò controllare.
Non conosco l'O. notatus.

Ciao
Giuseppe


Top
profilo
 Oggetto del messaggio: Re: Oncocephalus da ID
MessaggioInviato: 09/12/2016, 20:22 
Avatar utente

Iscritto il: 01/11/2009, 9:51
Messaggi: 2332
Nome: Andrea Rattu
Ciao Giuseppe, grazie infinite per chiavi :hp: :birra: . Aspetto con ansia che tu controlli. Per intanto ancora grazie :) .

_________________
Se gettassi su di un piatto della bilancia tutto ciò che ho imparato a comprendere in quelle ore di meditazione di fronte all'acquario, e sull'altro tutto ciò che ho ricavato dai libri, come rimarrebbe leggero il secondo!
Konrad Lorenz


Top
profilo
 Oggetto del messaggio: Re: Oncocephalus da ID
MessaggioInviato: 10/12/2016, 11:11 
Avatar utente

Iscritto il: 21/09/2014, 11:55
Messaggi: 1561
Località: Istanbul Turkey
Nome: Barış
I agree, it is O. squalidus


Top
profilo
 Oggetto del messaggio: Re: Oncocephalus da ID
MessaggioInviato: 10/12/2016, 12:54 
Avatar utente

Iscritto il: 01/11/2009, 9:51
Messaggi: 2332
Nome: Andrea Rattu
Thank you very much for your confirm Barış :hp: . Have you got any news about Oncocephalus notatus?

_________________
Se gettassi su di un piatto della bilancia tutto ciò che ho imparato a comprendere in quelle ore di meditazione di fronte all'acquario, e sull'altro tutto ciò che ho ricavato dai libri, come rimarrebbe leggero il secondo!
Konrad Lorenz


Top
profilo
 Oggetto del messaggio: Re: Oncocephalus da ID
MessaggioInviato: 10/12/2016, 18:15 
Avatar utente

Iscritto il: 21/09/2014, 11:55
Messaggi: 1561
Località: Istanbul Turkey
Nome: Barış
Its occurence in Italy is doubtful. But it is easy to distinguish O. notatus from O. squalidus. Former one has two rows of teeth on the inner surface of the anterior femur and the latter one has only one row of those.


Top
profilo
 Oggetto del messaggio: Re: Oncocephalus da ID
MessaggioInviato: 10/12/2016, 18:52 
Avatar utente

Iscritto il: 01/11/2009, 9:51
Messaggi: 2332
Nome: Andrea Rattu
Thank you again :birra: .

_________________
Se gettassi su di un piatto della bilancia tutto ciò che ho imparato a comprendere in quelle ore di meditazione di fronte all'acquario, e sull'altro tutto ciò che ho ricavato dai libri, come rimarrebbe leggero il secondo!
Konrad Lorenz


Top
profilo
Visualizza ultimi messaggi:  Ordina per  
nuovo argomento
rispondi
Pagina 1 di 1 [ 7 messaggi ]

Tutti gli orari sono UTC + 1 ora [ ora legale ]


Chi c’è in linea

Visitano il forum: Nessuno e 1 ospite


Non puoi aprire nuovi argomenti
Non puoi rispondere negli argomenti
Non puoi modificare i tuoi messaggi
Non puoi cancellare i tuoi messaggi
Non puoi inviare allegati

Cerca per:
Vai a:  
cron