| Forum Entomologi Italiani https://www.entomologiitaliani.net/public/forum/phpbb3/ |
|
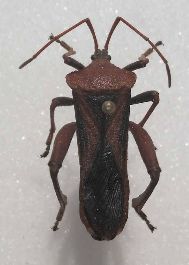
| Plectropoda bicolor (Haglund, 1895) (cf.) - Coreidae https://www.entomologiitaliani.net/public/forum/phpbb3/viewtopic.php?f=99&t=51822 |
Pagina 1 di 1 |
| Autore: | Chalybion [ 06/03/2014, 21:51 ] |
| Oggetto del messaggio: | Plectropoda bicolor (Haglund, 1895) (cf.) - Coreidae |
mm 21 colore originario rosso sangue. |
|
| Autore: | halobates [ 06/03/2014, 23:52 ] |
| Oggetto del messaggio: | Re: Reduviidae? da ID |
aspettando Martino mi sembra che abbia la......patente da Coreidae sp.
|
|
| Autore: | Chalybion [ 08/03/2014, 9:36 ] |
| Oggetto del messaggio: | Re: Reduviidae? da ID |
Ho scritto una stupidata: penso una cosa e ne scrivo un'altra. Mi è già capitato con delle crisoline. sarà l'età.
|
|
| Autore: | Chalybion [ 10/03/2014, 20:12 ] |
| Oggetto del messaggio: | Re: Reduviidae? da ID |
Martino? Che ne dici di 'sto coreide? Lo conosci?
|
|
| Autore: | marsal [ 11/03/2014, 7:44 ] |
| Oggetto del messaggio: | Re: Reduviidae? da ID |
ciao, penso di poterci arrivare ma posso guardarci solo questa sera ci riaggiorniamo |
|
| Autore: | Dioli [ 11/03/2014, 19:47 ] |
| Oggetto del messaggio: | Re: Coreidae da ID |
Ho in collezione una serie di questi coreidi raccolti da Andrea Sabbadini in Kenia. Assomigliano molto a questo esemplare. Io li ho classificati come Plectropoda bicolor (Haglund, 1895). |
|
| Autore: | Chalybion [ 07/04/2014, 0:40 ] |
| Oggetto del messaggio: | Re: Coreidae da ID |
Grazie Paride. Hai visto i miei reduvidi esotici postati? Se serve li porto a Modena. Giorgio.
|
|
| Pagina 1 di 1 | Tutti gli orari sono UTC + 1 ora [ ora legale ] |
| Powered by phpBB® Forum Software © phpBB Group http://www.phpbb.com/ |
|