| Autore |
Messaggio |
|
Enrico Ruzzier
|
Inviato: 11/01/2010, 18:31 |
|
Iscritto il: 16/02/2009, 23:39 Messaggi: 1370 Località: Mirano (Venezia)
Nome: Enrico Ruzzier
|
Grazie Maurizio Molto volentieri! chi è la persona per curiosità a cui li mandi in francia? 
_________________ «Discendiamo da scimmie evolute, non da angeli caduti» Robert Ardrey
|
|
| Top |
|
 |
|
Anostirus
|
Inviato: 11/01/2010, 19:28 |
|
Iscritto il: 24/09/2009, 20:40 Messaggi: 1956
Nome: Giuseppe Platia
|
 Caro Augusto, non sapevo di aver trovato qualche specie di Anticide non proprio banale e sono contento; dopo vari anni se l'amico Gianni Pavanello mi fornisce la trappola voglio riprovare. Ti ricordo che S. Angelo di Gatteo si trova ancora in Provincia di Forlì-Cesena e RM al massimo è la targa di Roma, quella di Rimini è RN Ciao
|
|
| Top |
|
 |
|
Julodis
|
Inviato: 11/01/2010, 19:45 |
|
Iscritto il: 30/12/2009, 22:20 Messaggi: 31564 Località: Roma
Nome: Maurizio Gigli
|
Enrico Ruzzier ha scritto: Grazie Maurizio Molto volentieri! chi è la persona per curiosità a cui li mandi in francia?  Si chiama Pascal Leblanc. Sono un paio d'anni che non lo sento, ma credo sia ancora in attività. Dovrei averci anche un suo lavoro in pdf, mi pare su una Mordellistena, Se ti interessa te lo mando.
|
|
| Top |
|
 |
|
marco paglialunga
|
Inviato: 11/01/2010, 19:54 |
|
Iscritto il: 11/11/2009, 20:54 Messaggi: 4857 Località: Pesaro
Nome: Marco Paglialunga
|
Anostirus ha scritto: Bene,mi fa piacere di non essere l'unico ad annettere nuove provincie a Rimini!!! Ma in fondo dai Giuseppe non te la prendere  RN è sicuramente meglio di FC....se non altro per l'assonanza!!Che dovrei dire io che hanno cambiato il mio tranquillo PS (molto spesso confuso con Pescara) con uno sputacchio (PU)?! 
_________________ O voi ch'avete li 'ntelletti sani, mirate la dottrina che s'asconde sotto 'l velame de li versi strani (InfeRRno - canto IX - vv. 61-63)
|
|
| Top |
|
 |
|
Enrico Ruzzier
|
Inviato: 11/01/2010, 20:17 |
|
Iscritto il: 16/02/2009, 23:39 Messaggi: 1370 Località: Mirano (Venezia)
Nome: Enrico Ruzzier
|
Infatti Pascal LeBlanc è lo specialista francese di Mordellidae e Scraptiidae.( immaginavo fosse lui)  Ho provato di recente a contattarlo; tuttavia non son riuscito a risalire ad un indirizzo mail che sia valido od attivo! Sinceramente non saprei... Comunque ti ringrazio dell'offerta, ogni articolo su Mordellidae ed affini è cosa ben gradita!  anche perchè di LeBlanc non sono riuscito ad ottenere ancora nulla fino ad adesso Grazie ancora Maurizio 
_________________ «Discendiamo da scimmie evolute, non da angeli caduti» Robert Ardrey
|
|
| Top |
|
 |
|
Notoxus59
|
Inviato: 11/01/2010, 20:25 |
|
Iscritto il: 06/02/2009, 9:03 Messaggi: 6379 Località: Bubano di Mordano (Bologna)
Nome: Augusto Degiovanni
|
Cita: Ti ricordo che S. Angelo di Gatteo si trova ancora in Provincia di Forlì-Cesena e RM al massimo è la targa di Roma, quella di Rimini è RN Ciao Caro Giuseppe, hai pienamente ragione  il fatto è che mi sono fidato di quello che ha scritto sulla provetta Gianni, e che ho trascritto senza controllare 
|
|
| Top |
|
 |
|
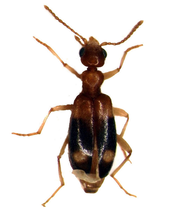
Velvet Ant
|
Inviato: 11/01/2010, 20:28 |
|
| Amministratore |
 |
Iscritto il: 02/02/2009, 23:30 Messaggi: 7107 Località: Capaci (Pa)
Nome: Marcello Romano
|
Ciao Enrico. Ho provato a ritoccare un po' la tua immagine dello S. tobias: spero che il risultato ti piaccia
_________________ Marcello Romano
|
|
| Top |
|
 |
|
Enrico Ruzzier
|
Inviato: 11/01/2010, 20:39 |
|
Iscritto il: 16/02/2009, 23:39 Messaggi: 1370 Località: Mirano (Venezia)
Nome: Enrico Ruzzier
|
Ottimo Lavoro!  Grazie grazie! Così rende di più 
_________________ «Discendiamo da scimmie evolute, non da angeli caduti» Robert Ardrey
|
|
| Top |
|
 |
|
marco paglialunga
|
Inviato: 12/01/2010, 17:03 |
|
Iscritto il: 11/11/2009, 20:54 Messaggi: 4857 Località: Pesaro
Nome: Marco Paglialunga
|
Velvet Ant ha scritto: Ho provato a ritoccare un po' la tua immagine dello S. tobias: spero che il risultato ti piaccia Ciao Marcello!! Con le tue foto stupende non ho speranze  ma forse con il fotoritocco ti frego  .....forse
_________________ O voi ch'avete li 'ntelletti sani, mirate la dottrina che s'asconde sotto 'l velame de li versi strani (InfeRRno - canto IX - vv. 61-63)
|
|
| Top |
|
 |
|
Julodis
|
Inviato: 12/01/2010, 17:57 |
|
Iscritto il: 30/12/2009, 22:20 Messaggi: 31564 Località: Roma
Nome: Maurizio Gigli
|
Enrico Ruzzier ha scritto: Comunque ti ringrazio dell'offerta, ogni articolo su Mordellidae ed affini è cosa ben gradita!  anche perchè di LeBlanc non sono riuscito ad ottenere ancora nulla fino ad adesso Eccoti l'articolo, su due specie di Medimorpha, non Mordellistena come avevo detto. Lo inserisco qui, così se serve a qualcun altro se lo può scaricare. Ciao Maurizio
|
|
| Top |
|
 |
|
Enrico Ruzzier
|
Inviato: 12/01/2010, 19:35 |
|
Iscritto il: 16/02/2009, 23:39 Messaggi: 1370 Località: Mirano (Venezia)
Nome: Enrico Ruzzier
|
Ottimo! ho visto adesso dove era  Adesso ci dò una letta 
_________________ «Discendiamo da scimmie evolute, non da angeli caduti» Robert Ardrey
|
|
| Top |
|
 |
|