Benvenuto Ospite

Forum Entomologi Italiani

www.entomologiitaliani.net/forum
 
Oggi è 15/12/2025, 21:53

Tutti gli orari sono UTC + 1 ora [ ora legale ]

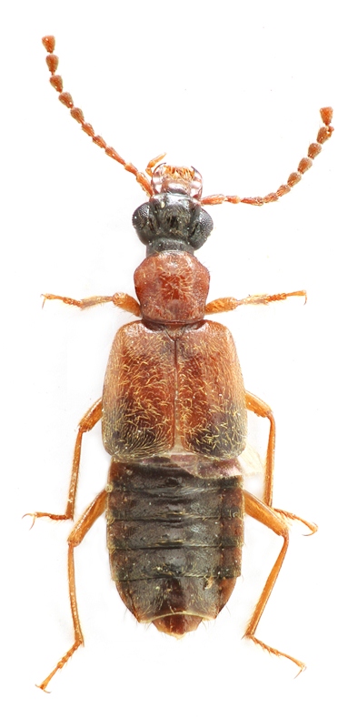
Deleaster dichrous (Gravenhorst, 1802) - Staphylinidae Oxytelinae

18.IX.2017 - TURCHIA - EE, Karaman/Bucakkışla


nuovo argomento
rispondi
Pagina 1 di 1 [ 2 messaggi ]
Autore Messaggio
MessaggioInviato: 27/05/2019, 0:38 
 

Iscritto il: 10/04/2013, 16:11
Messaggi: 546
Nome: Ozgur Kocak
Turkey/Karaman


2017/350
2017_350.jpg

Top
profilo
 Oggetto del messaggio: Re: From Turkey
MessaggioInviato: 27/05/2019, 7:38 
Avatar utente

Iscritto il: 09/11/2009, 14:12
Messaggi: 5167
Località: Hradec Kralove,Czech republik
Nome: Jan Matějíček
Deleaster dichrous (Gravenhorst, 1802) - Staphylinidae Oxytelinae

_________________
Research Fields
Taxonomy, ecology, biomonitoring , faunistic of Staphylinidae


Top
profilo
Visualizza ultimi messaggi:  Ordina per  
nuovo argomento
rispondi
Pagina 1 di 1 [ 2 messaggi ]

Tutti gli orari sono UTC + 1 ora [ ora legale ]


Chi c’è in linea

Visitano il forum: Nessuno e 1 ospite


Non puoi aprire nuovi argomenti
Non puoi rispondere negli argomenti
Non puoi modificare i tuoi messaggi
Non puoi cancellare i tuoi messaggi
Non puoi inviare allegati

Cerca per:
Vai a: