Benvenuto Ospite

Forum Entomologi Italiani

www.entomologiitaliani.net/forum
 
Oggi è 29/03/2026, 20:00

Tutti gli orari sono UTC + 1 ora [ ora legale ]

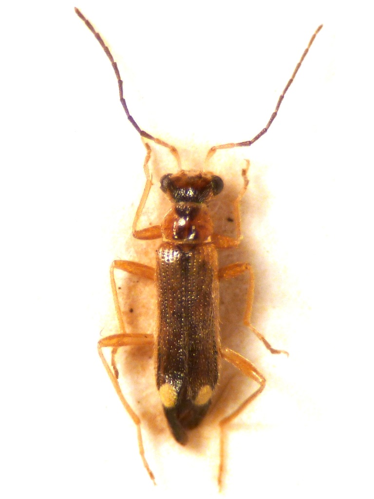
Malthinus seriepunctatus/reflexus - Cantharidae

4.VI.2010 - ITALIA - Liguria - SP, Vezzano Ligure, 150 m


nuovo argomento
rispondi
Pagina 1 di 1 [ 1 messaggio ]
Autore Messaggio
MessaggioInviato: 27/05/2020, 23:58 
Avatar utente

Iscritto il: 28/04/2010, 23:44
Messaggi: 2107
Località: Roma
Nome: Valerio Viglioglia
Altro Malthinus determinato come

Malthinus seriepunctatus/reflexus - Cantharidae da F. Fanti

L. = 3,5 mm

P1030294 (SP) Malthinus glabellus.JPG

P1030296.JPG


_________________
Valerio V


Top
profilo
Visualizza ultimi messaggi:  Ordina per  
nuovo argomento
rispondi
Pagina 1 di 1 [ 1 messaggio ]

Tutti gli orari sono UTC + 1 ora [ ora legale ]


Chi c’è in linea

Visitano il forum: Nessuno e 0 ospiti


Non puoi aprire nuovi argomenti
Non puoi rispondere negli argomenti
Non puoi modificare i tuoi messaggi
Non puoi cancellare i tuoi messaggi
Non puoi inviare allegati

Cerca per:
Vai a: