Benvenuto Ospite

Forum Entomologi Italiani

www.entomologiitaliani.net/forum
 
Oggi è 08/10/2025, 6:01

Tutti gli orari sono UTC + 1 ora [ ora legale ]

Filtro località

Filtro località

In questo pannello è possibile effettuare delle ricerche mirate in base alle località inserite nel forum.

Statistiche

Statistiche
In totale ci sono 89474 taxa:
- 85577 taxa con dati completi
- 2722 taxa con dati parziali, riconducibili ad un paese
- 1175 taxa con dati incompleti


escludi dalla ricerca i subforum
Distribuzione in Europa
Distribuzione in Italia
Filtro applicato: SRI LANKA

Pagina 1 di 2 [ 21 messaggi ]

# A B C D E F G H I J K L M N O P Q R S T U V W X Y Z
 Argomenti   Autore   Risposte   Visite    Ultimo messaggio 
Agrilus sp. - Buprestidae
19.VIII.2016 - SRI LANKA - EE, Anuradhapura, Provincia Centro-Settentrionale, Palm Garden Village Hotel. S. Biondi leg.
Allegato(i)
Agrilus sp. - Buprestidae

in Buprestidae indeterminati


Dati di raccolta: 19.VIII.2016 - SRI LANKA - EE, Anuradhapura, Provincia Centro-Settentrionale, Palm Garden Village Hotel. S. Biondi leg.

Apoderus

4

1460

05/11/2016, 0:25

Apoderus Vedi ultimo messaggio

Apoderus (Strigapoderus) tranquebaricus (Fabricius, 1798) - Attelabidae Apoderinae
1.I.1990 - SRI LANKA - EE, Kandy, Rautenstrauch leg.
Allegato(i)
Apoderus (Strigapoderus) tranquebaricus (Fabricius, 1798) - Attelabidae Apoderinae

in Attelabidae


Dati di raccolta: 1.I.1990 - SRI LANKA - EE, Kandy, Rautenstrauch leg.

Apoderus

6

2470

13/08/2016, 15:23

Apoderus Vedi ultimo messaggio

Belionota (Belionota) prasina (Thunberg, 1789) - Buprestidae
11.VIII.2016 - SRI LANKA - EE, Ravana Falls, Badulla, Uva. Silvano Biondi leg.
Allegato(i)
Belionota (Belionota) prasina (Thunberg, 1789) - Buprestidae

in Buprestoidea


Dati di raccolta: 11.VIII.2016 - SRI LANKA - EE, Ravana Falls, Badulla, Uva. Silvano Biondi leg.

Apoderus

2

1357

26/08/2016, 10:32

Apoderus Vedi ultimo messaggio

Catharsius sp. - Scarabaeidae
VI.2000 - SRI LANKA - EE, Marawila, Negombo
Allegato(i)
Catharsius sp. - Scarabaeidae

in Scarabaeidae


Dati di raccolta: VI.2000 - SRI LANKA - EE, Marawila, Negombo

marco paglialunga

4

1599

25/01/2019, 21:51

Liatongus Vedi ultimo messaggio

Catharsius sp. (cf.) - Scarabaeidae
VI.2000 - SRI LANKA - EE, Marawila, Negombo
Allegato(i)
Catharsius sp. (cf.) - Scarabaeidae

in Scarabaeoidea


Dati di raccolta: VI.2000 - SRI LANKA - EE, Marawila, Negombo

marco paglialunga

3

1621

03/01/2012, 16:41

marco paglialunga Vedi ultimo messaggio

Gonocephalum sp. - Tenebrionidae
16.VIII.2016 - SRI LANKA - EE, Sri Lanka centr., Rocca di Sigiriya, Biondi leg.
Allegato(i)
Gonocephalum sp. - Tenebrionidae

in Tenebrionidae


Dati di raccolta: 16.VIII.2016 - SRI LANKA - EE, Sri Lanka centr., Rocca di Sigiriya, Biondi leg.

Apoderus

1

960

30/08/2016, 10:09

Tenebrio Vedi ultimo messaggio

Holotrichia sp. (cf.) - Melolonthidae
III.2001 - SRI LANKA - EE, Ratnapura, Mandola, leg. Cobelli
Allegato(i)
Holotrichia sp. (cf.) - Melolonthidae

in Melolonthidae


Dati di raccolta: III.2001 - SRI LANKA - EE, Ratnapura, Mandola, leg. Cobelli

Orotrechus

2

1051

19/02/2012, 10:14

dkeith Vedi ultimo messaggio

Allegato(i)
Hypaetha biramosa (Fabricius, 1781) (Carabidae, Cicindelinae) - Sri Lanka

in Carabidae


Dati di raccolta: III.1994 - SRI LANKA - EE, Dikwella

Mauro

2

797

18/10/2009, 12:39

Mauro Vedi ultimo messaggio

Idgia sp., - Prionoceridae
2.II.1999 - SRI LANKA - EE, Koggale env.
Allegato(i)
Idgia sp., - Prionoceridae

in Cleroidea


Dati di raccolta: 2.II.1999 - SRI LANKA - EE, Koggale env.

Honza

2

693

20/02/2024, 19:38

Enrico Ruzzier Vedi ultimo messaggio

Intybia externenotata (Pic, 1913) - Malachiidae
28.VII.2017 - SRI LANKA - EE, SRI LANKA, Uva prov., Monaragala dist., 9 km SW Kataragama, 55 m, 6°21'56"N 81°16'25"E, 28.VII.2017, leg. I. Zappi
Allegato(i)
Intybia externenotata (Pic, 1913) - Malachiidae

[ Vai alla pagina: 1, 2 ]

in Malachiidae


Dati di raccolta: 28.VII.2017 - SRI LANKA - EE, SRI LANKA, Uva prov., Monaragala dist., 9 km SW Kataragama, 55 m, 6°21'56"N 81°16'25"E, 28.VII.2017, leg. I. Zappi

Enoplium

16

3222

17/09/2019, 19:32

Enoplium Vedi ultimo messaggio

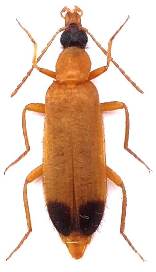
Intybia plagiata (Walker, 1858) - Malachiidae
22.VII.2017 - SRI LANKA - EE, SRI LANKA, Central prov., Matale dist.,Sigiriya env., 208 m, 7°58'14"N 80°46'24"E, 22.VII.2017, leg. I. Zappi
Allegato(i)
Intybia plagiata (Walker, 1858) - Malachiidae

in Malachiidae


Dati di raccolta: 22.VII.2017 - SRI LANKA - EE, SRI LANKA, Central prov., Matale dist.,Sigiriya env., 208 m, 7°58'14"N 80°46'24"E, 22.VII.2017, leg. I. Zappi

Enoplium

2

1244

17/09/2019, 19:33

Enoplium Vedi ultimo messaggio

Lepidiota/Leucopholis cf. - Melolonthidae
III.2001 - SRI LANKA - EE, Ratnapura, Mandola, leg. Cobelli
Allegato(i)
Lepidiota/Leucopholis cf. - Melolonthidae

in Melolonthidae


Dati di raccolta: III.2001 - SRI LANKA - EE, Ratnapura, Mandola, leg. Cobelli

Orotrechus

3

1298

19/02/2012, 10:16

dkeith Vedi ultimo messaggio

Leptaulax sp. o Episphenus sp. - Passalidae
III.2001 - SRI LANKA - EE, Ratnapura, Mandola, leg. Cobelli
Allegato(i)
Leptaulax sp. o Episphenus sp. - Passalidae

in Passalidae


Dati di raccolta: III.2001 - SRI LANKA - EE, Ratnapura, Mandola, leg. Cobelli

Orotrechus

6

2260

27/12/2011, 11:40

Orotrechus Vedi ultimo messaggio

Myllocerus dorsatus Schoenherr, 1843 (cf.) - Curculionidae
19.VIII.2016 - SRI LANKA - EE, Anuradhapura, Provincia Centro-Settentrionale, Palm Garden Village Hotel. S. Biondi leg.
Allegato(i)
Myllocerus dorsatus Schoenherr, 1843 (cf.) - Curculionidae

in Curculionidae


Dati di raccolta: 19.VIII.2016 - SRI LANKA - EE, Anuradhapura, Provincia Centro-Settentrionale, Palm Garden Village Hotel. S. Biondi leg.

Apoderus

4

1548

27/08/2016, 17:42

Apoderus Vedi ultimo messaggio

Omphra rufipes (Klug, 1834) - Carabidae
17.VIII.2010 - SRI LANKA - EE, Sabaragamuwa prov. Ratnapura distr. env. Embilipitya. Tabarroni leg.
Allegato(i)
Omphra rufipes (Klug, 1834) - Carabidae

in Carabidae


Dati di raccolta: 17.VIII.2010 - SRI LANKA - EE, Sabaragamuwa prov. Ratnapura distr. env. Embilipitya. Tabarroni leg.

Notoxus59

3

1206

31/03/2018, 13:36

Notoxus59 Vedi ultimo messaggio



Inserisci un link per questa ricerca

Inserisci un link per questa ricerca URL
BBCode
HTML
Vai a: