Benvenuto Ospite

Forum Entomologi Italiani

www.entomologiitaliani.net/forum
 
Oggi è 25/10/2025, 3:06

Tutti gli orari sono UTC + 1 ora [ ora legale ]

Filtro località

Filtro località

In questo pannello è possibile effettuare delle ricerche mirate in base alle località inserite nel forum.

Statistiche

Statistiche
In totale ci sono 89542 taxa:
- 85643 taxa con dati completi
- 2724 taxa con dati parziali, riconducibili ad un paese
- 1175 taxa con dati incompleti


escludi dalla ricerca i subforum
Distribuzione in Europa
Distribuzione in Italia
Filtro applicato: UCRAINA

Pagina 1 di 1 [ 2 messaggi ]

# A B C D E F G H I J K L M N O P Q R S T U V W X Y Z
 Argomenti   Autore   Risposte   Visite    Ultimo messaggio 
Cyclodinus constrictus (Curtis, 1838) - Anthicidae
2.VI.2011 - UCRAINA - EE, Koktebel
Allegato(i) Dettagli della specie
Cyclodinus constrictus (Curtis, 1838) - Anthicidae

in Anthicidae


Dati di raccolta: 2.VI.2011 - UCRAINA - EE, Koktebel

togaspain

5

1052

29/12/2012, 1:33

elleelle Vedi ultimo messaggio

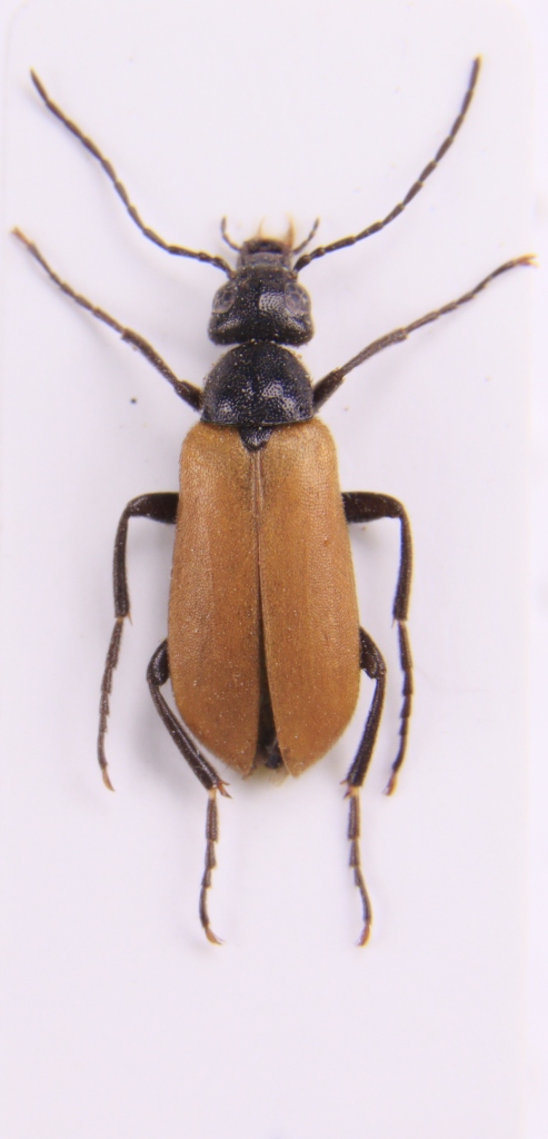
Euzonitis fulvipennis (Fabricius, 1792) - Meloidae
4.VI.2010 - UCRAINA - EE, Pervomaiske Raion of Crimea, Oleksiivka
Allegato(i) Dettagli della specie
Euzonitis fulvipennis (Fabricius, 1792) - Meloidae

in Meloidae


Dati di raccolta: 4.VI.2010 - UCRAINA - EE, Pervomaiske Raion of Crimea, Oleksiivka

curci

2

503

11/02/2024, 13:50

Marco A. Bologna Vedi ultimo messaggio


Inserisci un link per questa ricerca

Inserisci un link per questa ricerca URL
BBCode
HTML
Vai a: