Statistiche |
 |
In totale ci sono 89542 taxa:
- 85643 taxa con dati completi
- 2724 taxa con dati parziali, riconducibili ad un paese
- 1175 taxa con dati incompleti
|
|
|
|
|
| Argomenti |
Autore |
Risposte |
Visite |
Ultimo messaggio |
|
Allotarsus dentipes Raffray, 1873 - Dasytidae
in Dasytidae
Dati di raccolta: 30.V.2014 - MAROCCO - EE, Medio Atlante, Azrou / Route des Cédres / 1700-1900 m
|
gabrif |
2 |
339 |
26/07/2015, 22:49
gabrif
|
|
Anthomalachius spinosus (Erichson, 1840) - Malachiidae
in Malachiidae
Dati di raccolta: 12.V.2017 - MAROCCO - EE, MEKNES-TAFILALT – Pressi Col du Zad, R. Rattu leg.
|
Fumea crassiorella |
4 |
1182 |
27/03/2019, 7:19
Fumea crassiorella
|
|
Aplocnemus (Ischnopalpus) sp. - Dasytidae
in Dasytidae
Dati di raccolta: 11.III.2008 - MAROCCO - EE, Marocco, Anti Atlante, Khemis-Ida-ou-Gnidif, 1215 m
|
Fumea crassiorella |
3 |
377 |
26/02/2016, 23:41
Fumea crassiorella
|
|
Attalus dasytiformis Abeille de Perrin 1885 - Malachiidae
in Malachiidae
Dati di raccolta: 2.VI.2013 - MAROCCO - EE, Al Haouz prov. - Imlil
|
gabrif |
0 |
341 |
30/12/2021, 16:19
gabrif
|
|
Attalus sp. - Malachiidae
in Malachiidae
Dati di raccolta: 11.V.2017 - MAROCCO - EE, MEKNES-TAFILALT – 1,7 Km a 190° da Aïn Leuh, R. Rattu leg.
|
Fumea crassiorella |
2 |
865 |
02/01/2018, 13:42
Fumea crassiorella
|
|
Clanoptilus (Clanoptilus) marginellus (Olivier, 1790) - Malachiidae
in Malachiidae
Dati di raccolta: 16.V.2017 - MAROCCO - EE, MEKNES-TAFILALT – Strada N8 – 16 Km a 243° da Azrou, R. Rattu leg.
|
Fumea crassiorella |
2 |
646 |
12/09/2017, 9:55
Fumea crassiorella
|
Dasytes sp. - Dasytidae
12.V.2017 - MAROCCO - EE, MEKNES-TAFILALT - Strada N13 - 9.4 Km a 182° da Timahdite, 1915 m, R. Rattu leg.
|
Dasytes sp. - Dasytidae
in Dasytidae
Dati di raccolta: 12.V.2017 - MAROCCO - EE, MEKNES-TAFILALT - Strada N13 - 9.4 Km a 182° da Timahdite, 1915 m, R. Rattu leg.
|
Fumea crassiorella |
2 |
547 |
26/06/2017, 10:09
Fumea crassiorella
|
|
Falsomelyris rubripes Lucas, 1849 (cf.) - Melyridae
in Melyridae
Dati di raccolta: 21.III.2008 - MAROCCO - EE, Souss-Massa-Draâ, Chtouka-Aït Baha, dint. Biougra, 100 m
|
Fumea crassiorella |
1 |
1265 |
22/01/2016, 22:09
gabrif
|
|
Falsomelyris rubripes Lucas, 1849 (cf.) - Melyridae
in Melyridae
Dati di raccolta: 18.IV.2016 - MAROCCO - EE, vicino a Laazib (sud di Agadir)
|
cosmln |
3 |
1338 |
26/02/2018, 23:22
gabrif
|
|
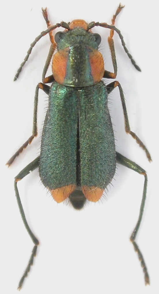
Flabellotilloidea bayonnei (Chobaut, 1897) - Cleridae
in Cleridae
Dati di raccolta: 14.VII.2014 - MAROCCO - EE, (Ouarzazate) Vallée du Drâa, Jebel Bani, m 760 legit D. Sechi
|
Daniele Sechi |
7 |
2385 |
21/07/2014, 18:01
aug
|
|
Haplomalachius (Haplomalachius) simplex (Hicker, 1959) - Malachiidae
in Malachiidae
Dati di raccolta: 27.V.1935 - MAROCCO - EE, Tanger
|
gabrif |
1 |
894 |
07/03/2019, 22:36
gomphus
|
|
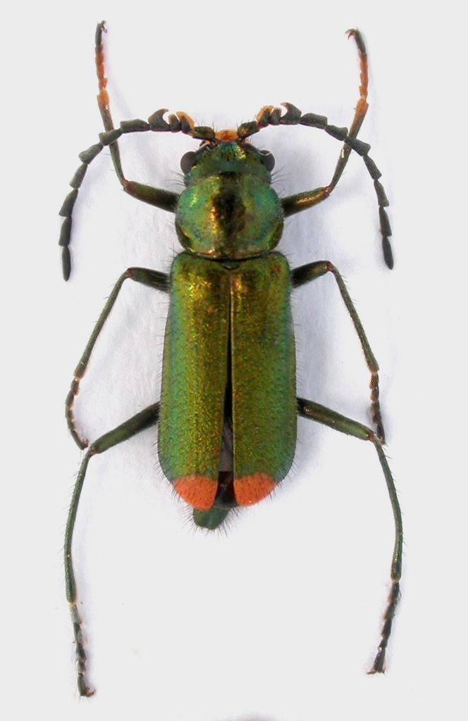
Lobonyx gracilis Reitter, 1872 - Prionoceridae Lobonychini
in Cleroidea
Dati di raccolta: 11.V.2017 - MAROCCO - EE, MEKNES-TAFILALT – Route touristique des Cedres – 10.2 Km a 65° da Aïn Leuh, R. Rattu leg.
|
Fumea crassiorella |
5 |
2700 |
24/12/2017, 20:39
Clickie
|
|
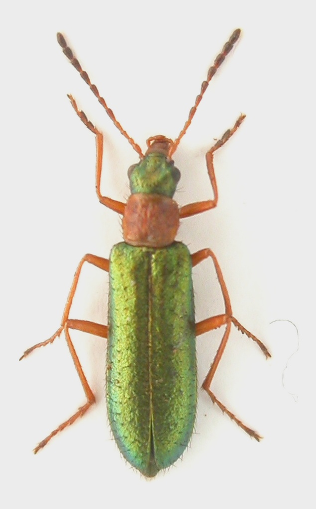
Malachius (Malachius) lusitanicus atlasicus Escalera, 1914 - Malachiidae
in Malachiidae
Dati di raccolta: 18.V.2017 - MAROCCO - EE, Meknes-Tafilalt, Strada P7231, 14,8 Km a 186° da Ifrane, R. Rattu leg.
|
Fumea crassiorella |
5 |
1550 |
06/06/2017, 21:03
gabrif
|
|
Malachius (Malachius) lusitanicus atlasicus Escalera, 1914 - Malachiidae
in Malachiidae
Dati di raccolta: 28.VI.2019 - MAROCCO - EE, Fès-Meknès, 9 km a E da Aïn Leuh, R. Rattu leg.
|
Fumea crassiorella |
2 |
980 |
04/09/2019, 23:06
Fumea crassiorella
|
|
Opetiopalpus bicolor (Laporte de Castelnau, 1836) - Cleridae
in Cleridae
Dati di raccolta: 12.V.2017 - MAROCCO - EE, MEKNES-TAFILALT – Pressi Col du Zad, R. Rattu leg.
|
Fumea crassiorella |
1 |
1166 |
07/07/2017, 18:41
f.izzillo
|
|