Benvenuto Ospite

Forum Entomologi Italiani

www.entomologiitaliani.net/forum
 
Oggi è 25/12/2025, 20:43

Tutti gli orari sono UTC + 1 ora [ ora legale ]


89% 
210 taxa correttamente determinati su 236 presenti in archivio

Cleridae


[ AFROTROPICALE ] [ ANTARTICO ] [ AUSTRALASIANO ] [ NEARTICO ] [ NEOTROPICALE ] [ ORIENTALE ] [ PALEARTICO ]


nuovo argomento
Vai alla pagina 1, 2, 3, 4, 5 ... 9  Prossimo
Pagina 1 di 9 [ 429 argomenti ]
 Argomenti   Ordine   Autore   Risposte   Visite    Ultimo messaggio 
Annunci
Nessun messaggio da leggere
Allegato(i)
Incontri entomologici della Società Entomologica Italiana 2025-2026
 

Velvet Ant

0

14671

17/11/2025, 19:41

Velvet Ant Vedi ultimo messaggio

Nessun messaggio da leggere
Allegato(i)
Incontri entomologici telematici organizzati dalla Società Entomologica Italiana nel 2022 e nel 2023

[ Vai alla paginaVai alla pagina: 1, 2, 3 ]

 

Velvet Ant

44

1709183

03/03/2023, 15:55

Velvet Ant Vedi ultimo messaggio

Nessun messaggio da leggere  
Allegato(i)
Sondaggio sul declino dell'entomofauna in Italia

[ Vai alla paginaVai alla pagina: 1, 2, 3, 4 ]

 

Velvet Ant

52

2334305

22/10/2022, 19:18

Acquarius Vedi ultimo messaggio

Nessun messaggio da leggere  
Allegato(i)
Progetto: Bibliografia ragionata dei lavori entomologici nei quali sono citati reperti apparsi su FEI

[ Vai alla paginaVai alla pagina: 1, 2, 3 ]

 

Velvet Ant

33

1372388

06/07/2023, 18:31

Orotrechus Vedi ultimo messaggio

Nessun messaggio da leggere
Allegato(i)
Mimesi, il primo documentario cinematografico sull’entomologia in Italia: casting
 

mazzeip

1

1089735

28/02/2019, 20:26

mazzeip Vedi ultimo messaggio

Questo argomento è bloccato, non puoi modificare o inviare ulteriori messaggi.
Allegato(i)
ISTRUZIONI PUBBLICAZIONE NUOVI ARGOMENTI E FOTO

 
Altri Ordini di Insetti

Julodis

4

2888616

13/05/2015, 19:37

Julodis Vedi ultimo messaggio

Nessun messaggio da leggere
Allegato(i)
Limitatore giornaliero di messaggi, uno strumento utile e ormai indispensabile

[ Vai alla paginaVai alla pagina: 1 ... 14, 15, 16 ]

 

Velvet Ant

233

12468406

25/09/2014, 14:31

Inachis Vedi ultimo messaggio

Nessun messaggio da leggere  
NORME PER I COLLABORATORI DEL FORUM

 
 

Velvet Ant

0

634083

02/06/2011, 12:05

Velvet Ant Vedi ultimo messaggio

Nessun messaggio da leggere
Allegato(i)
NORME PER GLI UTENTI DEL FORUM

[ Vai alla paginaVai alla pagina: 1, 2, 3 ]



 
 

Velvet Ant

30

3489164

23/09/2014, 23:54

Maurizio Bollino Vedi ultimo messaggio

Nessun messaggio da leggere  
Lista degli utenti del "Forum entomologi italiani" per campi di interesse e specializzazione

 
Altri Ordini di Insetti

Velvet Ant

13

1012307

07/09/2023, 17:14

Roberto-07 Vedi ultimo messaggio

Argomenti
Nessun messaggio da leggere
Allegato(i)
Cleridae italiani presenti sul Forum

 
Coleoptera

Julodis

1

2026

10/02/2015, 9:43

f.izzillo Vedi ultimo messaggio

Nessun messaggio da leggere
Phloiocopus magnanii Zappi, 2014 - Cleridae - holotipo (con descrizione)
15.V.2005 - IRAN, REPUBBLICA ISLAMICA DELL' - EE
Allegato(i)
Phloiocopus magnanii Zappi, 2014 - Cleridae - holotipo (con descrizione)

[ Vai alla paginaVai alla pagina: 1, 2 ]



15.V.2005 - IRAN, REPUBBLICA ISLAMICA DELL' - EE
Coleoptera

Enoplium

18

5932

05/12/2014, 13:11

Gianfranco Vedi ultimo messaggio

Nessun messaggio da leggere
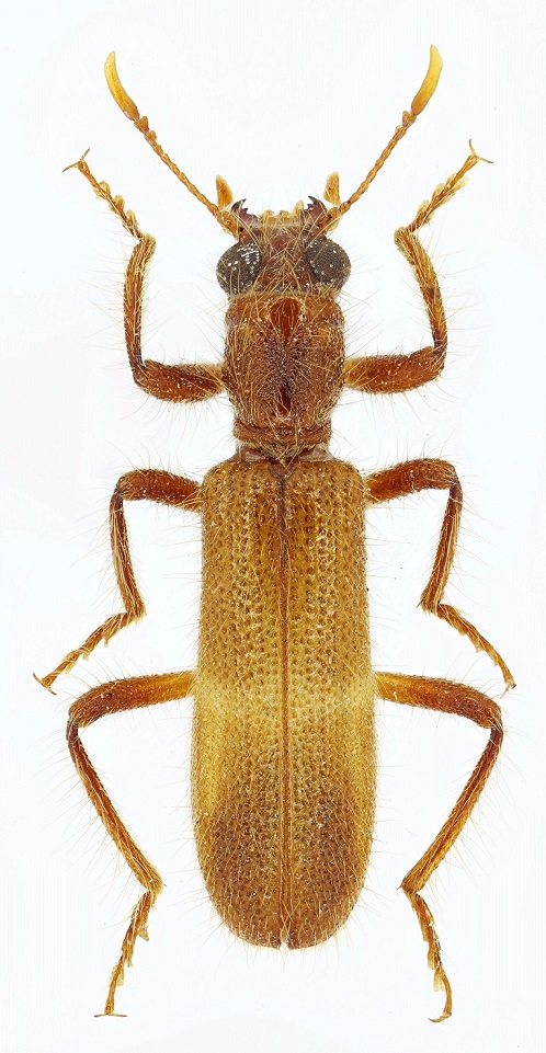
Opilo orocastaneus Zappi & Pantaleoni, 2010 - Cleridae
VI.1910 - ITALIA - Sardegna - NU
Allegato(i) Dettagli della specie
Opilo orocastaneus Zappi & Pantaleoni, 2010
Cleridae

[ Vai alla paginaVai alla pagina: 1, 2 ]



VI.1910 - ITALIA - Sardegna - NU
Coleoptera

Enoplium

28

7213

02/12/2010, 12:21

marco paglialunga Vedi ultimo messaggio

Nessun messaggio da leggere
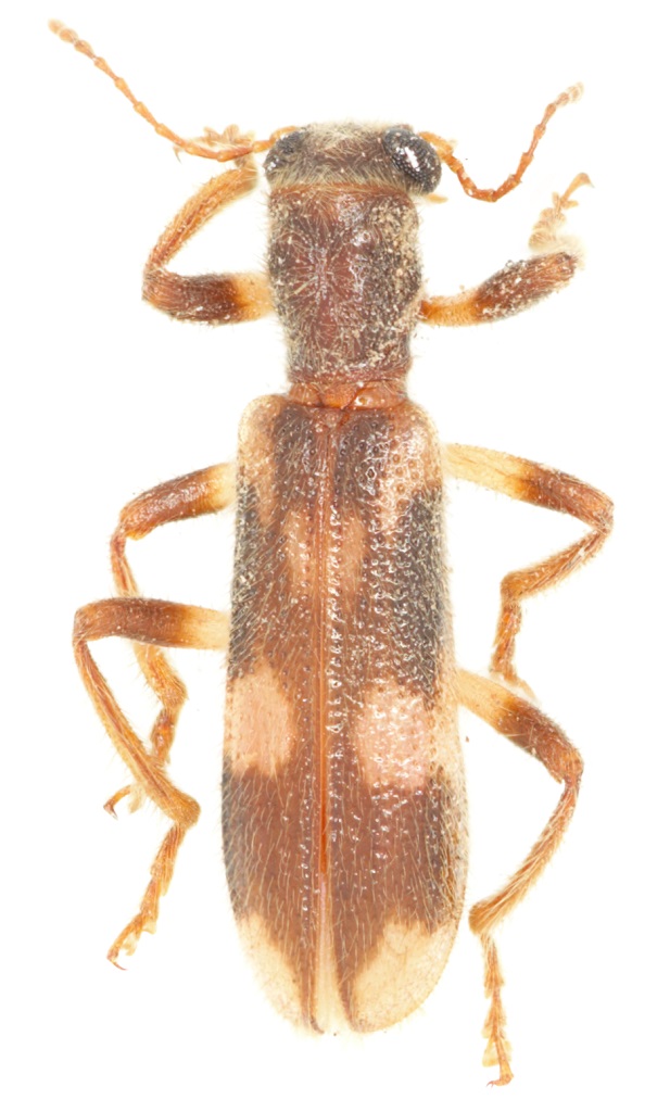
Cladiscus pallidicornis Corporaal & van der Wiel, 1949 (cf.) - Cleridae
10.VI.2025 - TAIWAN, CINA PROVINCIA DI - EE
Allegato(i)
Cladiscus pallidicornis Corporaal & van der Wiel, 1949 (cf.) - Cleridae
Cleridae


10.VI.2025 - TAIWAN, CINA PROVINCIA DI - EE
Coleoptera

cosmln

2

408

26/08/2025, 9:18

Daniele Sechi Vedi ultimo messaggio

Nessun messaggio da leggere
Trichodes apiarius (Linnaeus, 1758) - Cleridae
21.VI.2025 - ITALIA - Friuli-Venezia Giulia - UD
Allegato(i)
Trichodes apiarius (Linnaeus, 1758) - Cleridae

21.VI.2025 - ITALIA - Friuli-Venezia Giulia - UD
Coleoptera

Michele A

2

337

15/07/2025, 11:27

Michele A Vedi ultimo messaggio

Nessun messaggio da leggere
Trichodes nobilis Klug, 1842 - Cleridae
16.VI.2025 - GRECIA - EE
Allegato(i)
Trichodes nobilis Klug, 1842 - Cleridae

16.VI.2025 - GRECIA - EE
Coleoptera

Honza

2

384

23/06/2025, 9:45

Honza Vedi ultimo messaggio

Nessun messaggio da leggere
Korynetes pusillus (Klug, 1842) - Cleridae
2.VI.2025 - ITALIA - Lazio - RM
Allegato(i)
Korynetes pusillus (Klug, 1842) - Cleridae

2.VI.2025 - ITALIA - Lazio - RM
Coleoptera

soken

0

2795

02/06/2025, 19:50

soken Vedi ultimo messaggio

Nessun messaggio da leggere
Trichodes ammios (Fabricius, 1787) (cf.) - Cleridae
30.V.2023 - ITALIA - Sicilia - TP
Allegato(i)
Trichodes ammios (Fabricius, 1787) (cf.) - Cleridae

30.V.2023 - ITALIA - Sicilia - TP
Coleoptera

angelo.ditta

2

745

25/05/2024, 14:03

angelo.ditta Vedi ultimo messaggio

Nessun messaggio da leggere
Trichodes quadriguttatus Adams ,1817 (cf.) - Cleridae
24.VI.2023 - MACEDONIA, REPUBBLICA JUGOSLAVA DELLA - EE
Allegato(i)
Trichodes quadriguttatus Adams ,1817 (cf.) - Cleridae

24.VI.2023 - MACEDONIA, REPUBBLICA JUGOSLAVA DELLA - EE
Coleoptera

Gabriele

2

582

20/05/2024, 20:59

Gabriele Vedi ultimo messaggio

Nessun messaggio da leggere
Allegato(i) Dettagli della specie
Thanasimus formicarius formicarius (Linnaeus, 1758)
Cleridae


15.X.2023 - ITALIA - Toscana - PI
Coleoptera

Stefano79

2

625

18/10/2023, 16:27

Stefano79 Vedi ultimo messaggio

Nessun messaggio da leggere
Trichodes apiarius (Linnaeus, 1758) - Cleridae
3.VI.2023 - ARMENIA - EE
Allegato(i)
Trichodes apiarius (Linnaeus, 1758) - Cleridae

3.VI.2023 - ARMENIA - EE
Coleoptera

Orotrechus

2

627

11/10/2023, 18:03

Enoplium Vedi ultimo messaggio

Nessun messaggio da leggere
Allegato(i)
Trichodes sexpustulatus Chevrolat, 1874 (cf.) - Cleridae

3.VI.2023 - ARMENIA - EE
Coleoptera

Orotrechus

4

676

06/09/2023, 7:48

Orotrechus Vedi ultimo messaggio

Nessun messaggio da leggere
Allegato(i)
Trichodes insignis Fischer von Waldheim, 1829 - Cleridae

3.VI.2023 - ARMENIA - EE
Coleoptera

Orotrechus

2

523

06/09/2023, 7:47

Orotrechus Vedi ultimo messaggio

Nessun messaggio da leggere
Trichodes sp. - Cleridae
24.V.2023 - GRECIA - EE
Allegato(i)
Trichodes sp. - Cleridae

24.V.2023 - GRECIA - EE
Coleoptera

Honza

1

595

05/07/2023, 18:49

drjuanito Vedi ultimo messaggio

Nessun messaggio da leggere
Trichodes alvearius (Fabricius 1792) - Cleridae
20.VI.2023 - ITALIA - Marche - PU
Allegato(i)
Trichodes alvearius (Fabricius 1792) - Cleridae

20.VI.2023 - ITALIA - Marche - PU
Coleoptera

plumipes

1

563

22/06/2023, 16:44

Giuseppe Vedi ultimo messaggio

Nessun messaggio da leggere
Trichodes alvearius (Fabricius, 1792) - Cleridae
23.VI.2015 - ITALIA - Molise - IS
Allegato(i)
Trichodes alvearius (Fabricius, 1792) - Cleridae

23.VI.2015 - ITALIA - Molise - IS
Coleoptera

Franco ROSSI

0

588

10/01/2023, 20:42

Franco ROSSI Vedi ultimo messaggio

Nessun messaggio da leggere
Trichodes affinis, Chevrolat 1843 - Cleridae
19.IV.2022 - JORDAN - EE
Allegato(i)
Trichodes affinis, Chevrolat 1843 - Cleridae
Cleridae


19.IV.2022 - JORDAN - EE
Coleoptera

StagBeetle

7

1017

07/01/2023, 23:41

Clickie Vedi ultimo messaggio

Nessun messaggio da leggere
Trichodes apiarius (Linnaeus, 1758) - Cleridae
12.VI.2022 - ITALIA - Friuli-Venezia Giulia - UD
Allegato(i)
Trichodes apiarius (Linnaeus, 1758) - Cleridae

12.VI.2022 - ITALIA - Friuli-Venezia Giulia - UD
Coleoptera

Michele A

2

655

11/07/2022, 9:06

Michele A Vedi ultimo messaggio

Nessun messaggio da leggere
Clerus mutillarius Fabricius, 1775 - Cleridae
26.V.2022 - GRECIA - EE
Allegato(i)
Clerus mutillarius Fabricius, 1775 - Cleridae

26.V.2022 - GRECIA - EE
Coleoptera

matthew gandy

2

695

02/06/2022, 10:39

matthew gandy Vedi ultimo messaggio

Nessun messaggio da leggere
Trichodes alvearius (Fabricius, 1792) - Cleridae
18.V.2022 - ITALIA - Toscana - PT
Allegato(i)
Trichodes alvearius (Fabricius, 1792) - Cleridae

18.V.2022 - ITALIA - Toscana - PT
Coleoptera

fasmidi

6

1122

22/05/2022, 23:17

Daniele Maccapani Vedi ultimo messaggio

Nessun messaggio da leggere
Dermestoides sanguinicollis (Fabricius, 1782) - Cleridae
12.V.2022 - ITALIA - Friuli-Venezia Giulia - GO
Allegato(i) Dettagli della specie
Dermestoides sanguinicollis (Fabricius, 1782)
Cleridae


12.V.2022 - ITALIA - Friuli-Venezia Giulia - GO
Coleoptera

Agdistis

4

931

17/05/2022, 11:04

Daniele Sechi Vedi ultimo messaggio

Nessun messaggio da leggere
Opilo mollis (Linnaeus, 1758) - Cleridae
27.IV.2022 - ITALIA - Trentino-Alto Adige - TN
Allegato(i) Dettagli della specie
Opilo mollis (Linnaeus, 1758)
Cleridae


27.IV.2022 - ITALIA - Trentino-Alto Adige - TN
Coleoptera

Biasi

2

637

03/05/2022, 22:33

Biasi Vedi ultimo messaggio

Nessun messaggio da leggere
Allegato(i)
Eucymatodera senegalensis (Laporte, 1832) e Opilo longipilis Fairmaire, 1892 - Cleridae
Cleridae


V.2017 - ISRAELE - EE
Coleoptera

Marco Ferrante

12

3145

05/04/2022, 1:09

Clickie Vedi ultimo messaggio

Nessun messaggio da leggere
Trichodes creticus Brodsky, 1982 - Cleridae
3.V.2014 - GRECIA - EE
Allegato(i) Dettagli della specie
Trichodes creticus Brodsky, 1982
Cleridae


3.V.2014 - GRECIA - EE
Coleoptera

zdeno

1

903

04/04/2022, 0:27

Clickie Vedi ultimo messaggio

Nessun messaggio da leggere
Trichodes alvearius (Fabricius, 1792) - Cleridae
16.VI.2021 - ITALIA - Marche - PU
Allegato(i) Dettagli della specie
Trichodes alvearius (Fabricius, 1792)
Cleridae


16.VI.2021 - ITALIA - Marche - PU
Coleoptera

plumipes

4

935

17/03/2022, 11:40

FORBIX Vedi ultimo messaggio

Nessun messaggio da leggere
Tillus elongatus (Linnaeus, 1758) - Cleridae
3.II.2022 - ITALIA - Trentino-Alto Adige - TN
Allegato(i) Dettagli della specie
Tillus elongatus (Linnaeus, 1758)
Cleridae


3.II.2022 - ITALIA - Trentino-Alto Adige - TN
Coleoptera

Biasi

6

989

04/02/2022, 23:57

Biasi Vedi ultimo messaggio

Nessun messaggio da leggere
Opilo mollis (Linnaeus, 1758) - Cleridae
8.V.2021 - ITALIA - Lazio - RM
Allegato(i) Dettagli della specie
Opilo mollis (Linnaeus, 1758)
Cleridae


8.V.2021 - ITALIA - Lazio - RM
Coleoptera

wgliinsetti

4

813

04/02/2022, 23:17

Clickie Vedi ultimo messaggio

Nessun messaggio da leggere
Trichodes leucopsideus (Olivier, 1795) - Cleridae
12.VII.2018 - ITALIA - Trentino-Alto Adige - TN
Allegato(i) Dettagli della specie
Trichodes leucopsideus (Olivier, 1795)
Cleridae


12.VII.2018 - ITALIA - Trentino-Alto Adige - TN
Coleoptera

Biasi

13

1606

24/01/2022, 21:37

Enoplium Vedi ultimo messaggio

Nessun messaggio da leggere
Opilo domesticus (Sturm, 1837) - Cleridae
25.VI.1987 - ITALIA - Toscana - FI
Allegato(i) Dettagli della specie
Opilo domesticus (Sturm, 1837)
Cleridae


25.VI.1987 - ITALIA - Toscana - FI
Coleoptera

Chalybion

0

574

08/12/2021, 20:52

Chalybion Vedi ultimo messaggio

Nessun messaggio da leggere
Clerus mutillarius Fabricius, 1775 - Cleridae
VI.2021 - ITALIA - Toscana - AR
Allegato(i)
Clerus mutillarius Fabricius, 1775 - Cleridae

VI.2021 - ITALIA - Toscana - AR
Coleoptera

giovanni alamanni

2

887

06/12/2021, 16:44

giovanni alamanni Vedi ultimo messaggio

Nessun messaggio da leggere
Opilo domesticus (Sturm, 1837) (cf.) - Cleridae
15.VIII.2021 - ITALIA - Friuli-Venezia Giulia - TS
Allegato(i)
Opilo domesticus (Sturm, 1837) (cf.) - Cleridae
Cleridae


15.VIII.2021 - ITALIA - Friuli-Venezia Giulia - TS
Coleoptera

hpl

5

1153

03/12/2021, 23:00

Clickie Vedi ultimo messaggio

Nessun messaggio da leggere
Emmepus arundinis Motschulsky, 1845 - Cleridae
28.VI.2021 - ROMANIA - EE
Allegato(i)
Emmepus arundinis Motschulsky, 1845 - Cleridae
Cleridae


28.VI.2021 - ROMANIA - EE
Coleoptera

cosmln

4

1060

16/11/2021, 11:21

Daniele Sechi Vedi ultimo messaggio

Nessun messaggio da leggere
Opilo domesticus (Sturm, 1837) - Cleridae
7.VIII.2019 - ITALIA - Lazio - RM
Allegato(i)
Opilo domesticus (Sturm, 1837) - Cleridae

7.VIII.2019 - ITALIA - Lazio - RM
Coleoptera

soken

2

697

31/10/2021, 16:01

soken Vedi ultimo messaggio

Nessun messaggio da leggere
Tillus elongatus (Linnaeus, 1758) - Cleridae
3.VII.2021 - ITALIA - Marche - MC
Allegato(i) Dettagli della specie
Tillus elongatus (Linnaeus, 1758)
Cleridae


3.VII.2021 - ITALIA - Marche - MC
Coleoptera

StagBeetle

4

993

18/09/2021, 2:08

Clickie Vedi ultimo messaggio

Nessun messaggio da leggere
Opilo mollis (Linnaeus, 1758) - Cleridae
3.IX.2021 - ITALIA - Puglia - FG
Allegato(i) Dettagli della specie
Opilo mollis (Linnaeus, 1758)
Cleridae


3.IX.2021 - ITALIA - Puglia - FG
Coleoptera

wgliinsetti

4

845

07/09/2021, 19:25

wgliinsetti Vedi ultimo messaggio

Nessun messaggio da leggere
Trichodes apiarius (Linnaeus, 1758) - Cleridae
18.VII.2021 - ITALIA - Trentino-Alto Adige - TN
Allegato(i)
Trichodes apiarius (Linnaeus, 1758) - Cleridae

18.VII.2021 - ITALIA - Trentino-Alto Adige - TN
Coleoptera

Syrio

2

757

20/08/2021, 18:26

Syrio Vedi ultimo messaggio

Nessun messaggio da leggere
Trichodes leucopsideus (Olivier, 1795) - Cleridae
2.VI.2017 - ITALIA - Emilia-Romagna - BO
Allegato(i) Dettagli della specie
Trichodes leucopsideus (Olivier, 1795)
Cleridae


2.VI.2017 - ITALIA - Emilia-Romagna - BO
Coleoptera

Mammut

2

770

20/06/2021, 23:01

Mammut Vedi ultimo messaggio

Nessun messaggio da leggere
Clerus mutillarius Fabricius, 1775 - Cleridae
22.V.2021 - ITALIA - Molise - IS
Allegato(i)
Clerus mutillarius Fabricius, 1775 - Cleridae

22.V.2021 - ITALIA - Molise - IS
Coleoptera

Franco ROSSI

3

851

22/05/2021, 23:05

Franco ROSSI Vedi ultimo messaggio

Nessun messaggio da leggere
Necrobia rufipes (DeGeer, 1775) - Cleridae
1.VI.2019 - ITALIA - Marche - AN
Allegato(i) Dettagli della specie
Necrobia rufipes (DeGeer, 1775)
Cleridae


1.VI.2019 - ITALIA - Marche - AN
Coleoptera

StagBeetle

2

815

03/02/2021, 13:52

StagBeetle Vedi ultimo messaggio

Nessun messaggio da leggere
Necrobia violacea (Linnaeus, 1758) - Cleridae
8.VII.2018 - ITALIA - Marche - MC
Allegato(i) Dettagli della specie
Necrobia violacea (Linnaeus, 1758)
Cleridae


8.VII.2018 - ITALIA - Marche - MC
Coleoptera

StagBeetle

2

709

03/02/2021, 13:51

StagBeetle Vedi ultimo messaggio

Nessun messaggio da leggere
Necrobia violacea (Linnaeus, 1758) - Cleridae
5.VII.2014 - ITALIA - Abruzzo - PE
Allegato(i) Dettagli della specie
Necrobia violacea (Linnaeus, 1758)
Cleridae


5.VII.2014 - ITALIA - Abruzzo - PE
Coleoptera

StagBeetle

2

761

01/02/2021, 23:49

StagBeetle Vedi ultimo messaggio

Nessun messaggio da leggere
Necrobia violacea (Linnaeus, 1758) - Cleridae
26.III.2011 - ITALIA - Marche - AN
Allegato(i) Dettagli della specie
Necrobia violacea (Linnaeus, 1758)
Cleridae


26.III.2011 - ITALIA - Marche - AN
Coleoptera

StagBeetle

2

718

01/02/2021, 23:47

StagBeetle Vedi ultimo messaggio

Nessun messaggio da leggere
Allegato(i) Dettagli della specie
Clerus mutillarius mutillarius Fabricius, 1775
Cleridae


10.VII.2008 - ITALIA - Sardegna
Coleoptera

Daniele Sechi

4

1046

20/12/2020, 20:59

Daniele Sechi Vedi ultimo messaggio

Nessun messaggio da leggere
Necrobia rufipes (DeGeer, 1775) - Cleridae
15.X.2020 - ITALIA - Toscana - LI
Allegato(i) Dettagli della specie
Necrobia rufipes (DeGeer, 1775)
Cleridae


15.X.2020 - ITALIA - Toscana - LI
Coleoptera

Stefano79

2

879

30/10/2020, 16:50

Stefano79 Vedi ultimo messaggio

Nessun messaggio da leggere
Korynetes caeruleus (De Geer, 1775) - Cleridae
30.VIII.2020 - ITALIA - Piemonte - VC
Allegato(i) Dettagli della specie
Korynetes caeruleus (De Geer, 1775)
Cleridae


30.VIII.2020 - ITALIA - Piemonte - VC
Coleoptera

aug

8

1668

30/09/2020, 19:07

Enoplium Vedi ultimo messaggio

Nessun messaggio da leggere
Trichodes apiarius (Linnaeus, 1758) - Cleridae
8.VII.2020 - ITALIA - Trentino-Alto Adige - TN
Allegato(i) Dettagli della specie
Trichodes apiarius (Linnaeus, 1758)
Cleridae


8.VII.2020 - ITALIA - Trentino-Alto Adige - TN
Coleoptera

Syrio

2

968

08/07/2020, 17:36

Syrio Vedi ultimo messaggio

Nessun messaggio da leggere
Trichodes apiarius (Linnaeus, 1758) - Cleridae
27.VI.2020 - ITALIA - Lazio - RM
Allegato(i) Dettagli della specie
Trichodes apiarius (Linnaeus, 1758)
Cleridae


27.VI.2020 - ITALIA - Lazio - RM
Coleoptera

Palaemonetes

2

1095

27/06/2020, 21:49

Palaemonetes Vedi ultimo messaggio

Nessun messaggio da leggere
Trichodes alvearius (Fabricius, 1792) - Cleridae
31.V.2020 - ITALIA - Calabria - CS
Allegato(i) Dettagli della specie
Trichodes alvearius (Fabricius, 1792)
Cleridae


31.V.2020 - ITALIA - Calabria - CS
Coleoptera

aiello antonio

3

1725

31/05/2020, 23:28

f.izzillo Vedi ultimo messaggio

Nessun messaggio da leggere
Trichodes alvearius (Fabricius, 1792) - Cleridae
5.VI.2019 - ITALIA - Campania - AV
Allegato(i) Dettagli della specie
Trichodes alvearius (Fabricius, 1792)
Cleridae


5.VI.2019 - ITALIA - Campania - AV
Coleoptera

Clickie

2

1470

02/05/2020, 20:35

Clickie Vedi ultimo messaggio

Nessun messaggio da leggere
Tilloidea unifasciata (Fabricius, 1787) - Cleridae
7.IV.2020 - ITALIA - Lombardia - SO
Allegato(i) Dettagli della specie
Tilloidea unifasciata (Fabricius, 1787)
Cleridae


7.IV.2020 - ITALIA - Lombardia - SO
Coleoptera

Dioli

2

1474

07/04/2020, 22:58

Dioli Vedi ultimo messaggio

Visualizza ultimi argomenti:  Ordina per  Ordine:  
nuovo argomento
Vai alla pagina 1, 2, 3, 4, 5 ... 9  Prossimo
Pagina 1 di 9 [ 429 argomenti ]

Tutti gli orari sono UTC + 1 ora [ ora legale ]


Chi c’è in linea

Visitano il forum: Nessuno e 1 ospite


Legenda
Messaggi da leggere Messaggi da leggere Nessun messaggio da leggere Nessun messaggio da leggere Annuncio Annuncio
 
Specie indeterminata / discussione generica
Messaggi non letti [ Popolari ] Messaggi non letti [ Popolari ] Nessun messaggio da leggere [ Popolare ] Nessun messaggio da leggere [ Popolare ] Importante Importante
 
Specie determinata fino al genere o cf.
Messaggi non letti [ Bloccati ] Messaggi non letti [ Bloccati ] No messaggi non letti [ Bloccati ] No messaggi non letti [ Bloccati ] Argomento spostato Argomento spostato
 
Specie correttamente determinata
Permessi
Non puoi aprire nuovi argomenti
Non puoi rispondere negli argomenti
Non puoi modificare i tuoi messaggi
Non puoi cancellare i tuoi messaggi
Non puoi inviare allegati

Cerca per:
Vai a: