Benvenuto Ospite

Forum Entomologi Italiani

www.entomologiitaliani.net/forum
 
Oggi è 25/10/2025, 2:54

Tutti gli orari sono UTC + 1 ora [ ora legale ]

Filtro località

Filtro località

In questo pannello è possibile effettuare delle ricerche mirate in base alle località inserite nel forum.

Statistiche

Statistiche
In totale ci sono 89542 taxa:
- 85643 taxa con dati completi
- 2724 taxa con dati parziali, riconducibili ad un paese
- 1175 taxa con dati incompleti


escludi dalla ricerca i subforum
Distribuzione in Europa
Distribuzione in Italia
Filtro applicato: BULGARIA

Pagina 1 di 2 [ 21 messaggi ]

# A B C D E F G H I J K L M N O P Q R S T U V W X Y Z
 Argomenti   Autore   Risposte   Visite    Ultimo messaggio 
Batrisodes sp. (cf.) - Staphylinidae Pselaphinae
8.IV.2022 - BULGARIA - EE, Lyubimets, Harmanli
Allegato(i)
Batrisodes sp. (cf.) - Staphylinidae Pselaphinae

in Staphylinidae Pselaphinae


Dati di raccolta: 8.IV.2022 - BULGARIA - EE, Lyubimets, Harmanli

Joro

0

446

22/04/2022, 22:30

Joro Vedi ultimo messaggio

Bolitochara bella Märkel, 1844 cf. - Staphylinidae
13.X.2014 - BULGARIA - EE, Stara Zagora
Allegato(i)
Bolitochara bella Märkel, 1844 cf. - Staphylinidae

in Staphylinidae


Dati di raccolta: 13.X.2014 - BULGARIA - EE, Stara Zagora

Joro

1

439

13/02/2022, 15:32

AetherisIgnis Vedi ultimo messaggio

Bryaxis sp. (cf.) - Staphylinidae Pselaphinae
17.II.2019 - BULGARIA - EE, Stara Zagora
Allegato(i)
Bryaxis sp. (cf.) - Staphylinidae Pselaphinae

in Staphylinidae Pselaphinae


Dati di raccolta: 17.II.2019 - BULGARIA - EE, Stara Zagora

Joro

3

1372

18/12/2019, 9:40

Joro Vedi ultimo messaggio

Catops grandicollis Erichson, 1837 (cf.) - Leiodidae
10.X.2014 - BULGARIA - EE, Stara Zagora
Allegato(i)
Catops grandicollis Erichson, 1837 (cf.) - Leiodidae

in Leiodidae


Dati di raccolta: 10.X.2014 - BULGARIA - EE, Stara Zagora

Joro

4

1086

12/10/2014, 19:43

Joro Vedi ultimo messaggio

Cephennium sp, - Staphylinidae Scydmaeninae
6.IV.2021 - BULGARIA - EE, Stara Zagora
Allegato(i)
Cephennium sp, - Staphylinidae Scydmaeninae

in Staphylinidae Scydmaeninae


Dati di raccolta: 6.IV.2021 - BULGARIA - EE, Stara Zagora

Joro

2

649

07/04/2021, 20:58

Joro Vedi ultimo messaggio

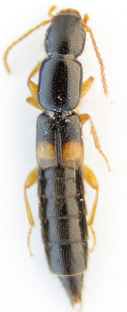
Dicentrius sp. - Staphylinidae Pselaphinae
19.II.2022 - BULGARIA - EE, Gurkovo, C. Balkan Mts.
Allegato(i)
Dicentrius sp. - Staphylinidae Pselaphinae

in Staphylinidae Pselaphinae


Dati di raccolta: 19.II.2022 - BULGARIA - EE, Gurkovo, C. Balkan Mts.

Joro

2

827

03/04/2022, 18:41

Joro Vedi ultimo messaggio

Euplectus nanus (Reichenbach, 1816) cf. - Staphylinidae Pselaphinae
2.IX.2011 - BULGARIA - EE, Stara Zagora
Allegato(i) Dettagli della specie
Euplectus nanus (Reichenbach, 1816) - Staphylinidae Pselaphinae cf.

in Staphylinidae Pselaphinae


Dati di raccolta: 2.IX.2011 - BULGARIA - EE, Stara Zagora

Joro

4

1486

16/10/2014, 9:47

Loriscola Vedi ultimo messaggio

Euplectus sp. - Staphylinidae Pselaphinae
30.VIII.2014 - BULGARIA - EE, Prohod na republikata
Allegato(i)
Euplectus sp. - Staphylinidae Pselaphinae

in Staphylinidae Pselaphinae


Dati di raccolta: 30.VIII.2014 - BULGARIA - EE, Prohod na republikata

Joro

3

706

12/09/2014, 20:27

Joro Vedi ultimo messaggio

Euplectus sp. - Staphylinidae Pselaphinae
13.X.2014 - BULGARIA - EE, Stara Zagora
Allegato(i)
Euplectus sp. - Staphylinidae Pselaphinae

in Staphylinidae Pselaphinae


Dati di raccolta: 13.X.2014 - BULGARIA - EE, Stara Zagora

Joro

4

1339

16/10/2014, 8:11

Loriscola Vedi ultimo messaggio

Leptobium gracile Gravenhorst, 1802 - Staphylinidae Paederinae Dolicaonina
3.IV.2011 - BULGARIA - EE, Stara Zagora,Pastren vill.
Allegato(i)
Leptobium gracile Gravenhorst, 1802 - Staphylinidae Paederinae Dolicaonina

in Staphylinidae


Dati di raccolta: 3.IV.2011 - BULGARIA - EE, Stara Zagora,Pastren vill.

Joro

2

335

06/04/2011, 22:41

Joro Vedi ultimo messaggio

Leptomastax sp. - Staphylinidae Scydmaeninae
7.III.2020 - BULGARIA - EE, Stara Zagora
Allegato(i)
Leptomastax sp. - Staphylinidae Scydmaeninae

in Staphylinidae Scydmaeninae


Dati di raccolta: 7.III.2020 - BULGARIA - EE, Stara Zagora

Joro

6

3562

24/03/2020, 18:36

Honza Vedi ultimo messaggio

Rugilus (Rugilus) angustatus (Geoffroy, 1785) (cf.) - Staphylinidae
10.X.2014 - BULGARIA - EE, Stara Zagora
Allegato(i)
Rugilus (Rugilus) angustatus (Geoffroy, 1785) (cf.) - Staphylinidae

in Staphylinidae


Dati di raccolta: 10.X.2014 - BULGARIA - EE, Stara Zagora

Joro

1

388

11/10/2014, 19:06

pedux Vedi ultimo messaggio

Rybaxis sp. - Staphylinidae Pselaphinae
23.VII.2022 - BULGARIA - EE, Harmanli
Allegato(i)
Rybaxis sp. - Staphylinidae Pselaphinae

in Staphylinidae Pselaphinae


Dati di raccolta: 23.VII.2022 - BULGARIA - EE, Harmanli

Joro

2

641

19/08/2022, 16:33

Joro Vedi ultimo messaggio

Staphylinidae Omaliinae sp.
10.X.2014 - BULGARIA - EE, Stara Zagora
Allegato(i)
Staphylinidae Omaliinae sp.

in Staphylinidae indeterminati


Dati di raccolta: 10.X.2014 - BULGARIA - EE, Stara Zagora

Joro

1

503

25/07/2023, 1:36

Lorenzo Locati Vedi ultimo messaggio

Staphylinidae Pselaphinae sp.
16.X.2019 - BULGARIA - EE, Stara Zagora
Allegato(i)
Staphylinidae Pselaphinae sp.

in Staphylinidae Pselaphinae


Dati di raccolta: 16.X.2019 - BULGARIA - EE, Stara Zagora

Joro

0

863

28/12/2019, 20:33

Joro Vedi ultimo messaggio



Inserisci un link per questa ricerca

Inserisci un link per questa ricerca URL
BBCode
HTML
Vai a:  
cron