Benvenuto Ospite

Forum Entomologi Italiani

www.entomologiitaliani.net/forum
 
Oggi è 25/12/2025, 2:10

Tutti gli orari sono UTC + 1 ora [ ora legale ]

Staphylinidae indeterminati


[ AFROTROPICALE ] [ ANTARTICO ] [ AUSTRALASIANO ] [ NEARTICO ] [ NEOTROPICALE ] [ ORIENTALE ] [ PALEARTICO ]


nuovo argomento
Vai alla pagina 1, 2, 3, 4, 5 ... 13  Prossimo
Pagina 1 di 13 [ 637 argomenti ]
 Argomenti   Ordine   Autore   Risposte   Visite    Ultimo messaggio 
Annunci
Nessun messaggio da leggere
Allegato(i)
Incontri entomologici della Società Entomologica Italiana 2025-2026
 

Velvet Ant

0

14510

17/11/2025, 19:41

Velvet Ant Vedi ultimo messaggio

Nessun messaggio da leggere
Allegato(i)
Incontri entomologici telematici organizzati dalla Società Entomologica Italiana nel 2022 e nel 2023

[ Vai alla paginaVai alla pagina: 1, 2, 3 ]

 

Velvet Ant

44

1706537

03/03/2023, 15:55

Velvet Ant Vedi ultimo messaggio

Nessun messaggio da leggere  
Allegato(i)
Sondaggio sul declino dell'entomofauna in Italia

[ Vai alla paginaVai alla pagina: 1, 2, 3, 4 ]

 

Velvet Ant

52

2331323

22/10/2022, 19:18

Acquarius Vedi ultimo messaggio

Nessun messaggio da leggere  
Allegato(i)
Progetto: Bibliografia ragionata dei lavori entomologici nei quali sono citati reperti apparsi su FEI

[ Vai alla paginaVai alla pagina: 1, 2, 3 ]

 

Velvet Ant

33

1370129

06/07/2023, 18:31

Orotrechus Vedi ultimo messaggio

Nessun messaggio da leggere
Allegato(i)
Mimesi, il primo documentario cinematografico sull’entomologia in Italia: casting
 

mazzeip

1

1089346

28/02/2019, 20:26

mazzeip Vedi ultimo messaggio

Questo argomento è bloccato, non puoi modificare o inviare ulteriori messaggi.
Allegato(i)
ISTRUZIONI PUBBLICAZIONE NUOVI ARGOMENTI E FOTO

 
Altri Ordini di Insetti

Julodis

4

2888069

13/05/2015, 19:37

Julodis Vedi ultimo messaggio

Nessun messaggio da leggere
Allegato(i)
Limitatore giornaliero di messaggi, uno strumento utile e ormai indispensabile

[ Vai alla paginaVai alla pagina: 1 ... 14, 15, 16 ]

 

Velvet Ant

233

12455787

25/09/2014, 14:31

Inachis Vedi ultimo messaggio

Nessun messaggio da leggere  
NORME PER I COLLABORATORI DEL FORUM

 
 

Velvet Ant

0

633810

02/06/2011, 12:05

Velvet Ant Vedi ultimo messaggio

Nessun messaggio da leggere
Allegato(i)
NORME PER GLI UTENTI DEL FORUM

[ Vai alla paginaVai alla pagina: 1, 2, 3 ]



 
 

Velvet Ant

30

3487319

23/09/2014, 23:54

Maurizio Bollino Vedi ultimo messaggio

Nessun messaggio da leggere  
Lista degli utenti del "Forum entomologi italiani" per campi di interesse e specializzazione

 
Altri Ordini di Insetti

Velvet Ant

13

1011294

07/09/2023, 17:14

Roberto-07 Vedi ultimo messaggio

Argomenti
Nessun messaggio da leggere
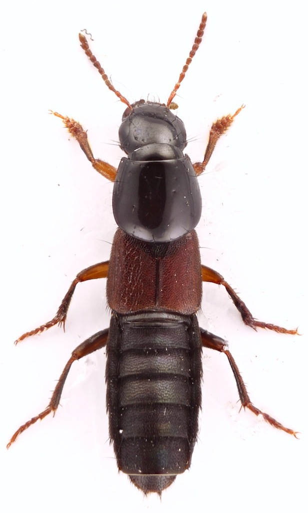
Tasgius sp. - Staphylinidae
6.X.2025 - ITALIA - Molise - CB
Allegato(i)
Tasgius sp. - Staphylinidae

6.X.2025 - ITALIA - Molise - CB
Coleoptera

Franco ROSSI

2

330

07/10/2025, 9:15

mascalzonepadano Vedi ultimo messaggio

Nessun messaggio da leggere
Paederus (Harpopaederus) sp. (cf.) - Staphylinidae
8.VIII.2024 - ITALIA - Toscana - LU
Allegato(i)
Paederus (Harpopaederus) sp. (cf.) - Staphylinidae

8.VIII.2024 - ITALIA - Toscana - LU
Coleoptera

Lorenzo Tagliaferri

3

358

30/07/2025, 15:09

giuseppe55 Vedi ultimo messaggio

Nessun messaggio da leggere
Ocypus sp. - Staphylinidae
20.IV.2025 - ITALIA - Friuli-Venezia Giulia - UD
Allegato(i)
Ocypus sp. - Staphylinidae

20.IV.2025 - ITALIA - Friuli-Venezia Giulia - UD
Coleoptera

Michele A

2

2448

06/06/2025, 15:23

Michele A Vedi ultimo messaggio

Nessun messaggio da leggere
Philonthus sp. (cf.) - Staphylinidae
22.IV.2025 - ITALIA - Sicilia - TP
Allegato(i)
Philonthus sp. (cf.) - Staphylinidae

22.IV.2025 - ITALIA - Sicilia - TP
Coleoptera

angelo.ditta

2

335

23/04/2025, 14:31

angelo.ditta Vedi ultimo messaggio

Nessun messaggio da leggere
Staphylinidae Aleocharinae sp.
25.III.2025 - ITALIA - Sicilia - TP
Allegato(i)
Staphylinidae Aleocharinae sp.

25.III.2025 - ITALIA - Sicilia - TP
Coleoptera

angelo.ditta

2

282

28/03/2025, 9:31

angelo.ditta Vedi ultimo messaggio

Nessun messaggio da leggere
Bledius sp. - Staphylinidae
28.III.2014 - TUNISIA - EE
Allegato(i)
Bledius sp. - Staphylinidae

28.III.2014 - TUNISIA - EE
Coleoptera

pietro lo cascio

6

959

27/12/2024, 12:24

pietro lo cascio Vedi ultimo messaggio

Nessun messaggio da leggere
Xantholinus sp. - Staphylinidae
3.VI.2020 - ITALIA - Friuli-Venezia Giulia - UD
Allegato(i)
Xantholinus sp. - Staphylinidae

3.VI.2020 - ITALIA - Friuli-Venezia Giulia - UD
Coleoptera

Simox

3

635

27/11/2024, 18:08

wgliinsetti Vedi ultimo messaggio

Nessun messaggio da leggere
Ocypus (Matidus) sp. - Staphylinidae
20.X.2024 - ITALIA - Veneto - TV
Allegato(i)
Ocypus (Matidus) sp. - Staphylinidae

20.X.2024 - ITALIA - Veneto - TV
Altri Artropodi

La.gil

6

809

01/11/2024, 22:41

Lorenzo Locati Vedi ultimo messaggio

Nessun messaggio da leggere
Xanthilinus sp. - Staphylinidae
18.II.2024 - ITALIA - Sicilia - TP
Allegato(i)
Xanthilinus sp. - Staphylinidae

18.II.2024 - ITALIA - Sicilia - TP
Coleoptera

angelo.ditta

6

682

28/09/2024, 9:03

angelo.ditta Vedi ultimo messaggio

Nessun messaggio da leggere
Othius sp. - Staphylinide
15.XI.2014 - ITALIA - Sardegna - NU
Allegato(i)
Othius sp. - Staphylinide

15.XI.2014 - ITALIA - Sardegna - NU
Coleoptera

Adriana49

5

1153

20/09/2024, 8:14

Adriana49 Vedi ultimo messaggio

Nessun messaggio da leggere
Quedius (Raphirus) sp. - Staphylinidae
29.V.2009 - SPAGNA - EE
Allegato(i)
Quedius (Raphirus) sp. - Staphylinidae

29.V.2009 - SPAGNA - EE
Coleoptera

Isidro

1

561

06/09/2024, 9:41

Lorenzo Locati Vedi ultimo messaggio

Nessun messaggio da leggere
Quedius (Raphirus) sp. - Staphylinidae
20.IV.2024 - ITALIA - Emilia-Romagna - PR
Allegato(i)
Quedius (Raphirus) sp. - Staphylinidae

20.IV.2024 - ITALIA - Emilia-Romagna - PR
Coleoptera

marco paglialunga

2

554

06/09/2024, 9:39

Lorenzo Locati Vedi ultimo messaggio

Nessun messaggio da leggere
Ocypus (Pseudocypus) sp. - Staphyilinidae
16.XI.2015 - SPAGNA - EE
Allegato(i)
Ocypus (Pseudocypus) sp. - Staphyilinidae

16.XI.2015 - SPAGNA - EE
Coleoptera

ruzzpa

6

1002

05/09/2024, 11:36

Lorenzo Locati Vedi ultimo messaggio

Nessun messaggio da leggere
Gen. sp. - Staphylinidae Xantholinae
VI.2012 - FILIPPINE - EE
Allegato(i)
Gen. sp. - Staphylinidae Xantholinae

VI.2012 - FILIPPINE - EE
Coleoptera

Andricus

3

796

05/09/2024, 11:28

Lorenzo Locati Vedi ultimo messaggio

Nessun messaggio da leggere
Philonthus sp. - Staphylinidae
3.VII.2024 - ITALIA - Toscana - SI
Allegato(i)
Philonthus sp. - Staphylinidae

3.VII.2024 - ITALIA - Toscana - SI
Coleoptera

angelo.ditta

2

459

07/07/2024, 19:23

angelo.ditta Vedi ultimo messaggio

Nessun messaggio da leggere
Geostiba sp. - Staphylinidae Aleocharinae
20.IV.2024 - ITALIA - Toscana - MS
Allegato(i)
Geostiba sp. - Staphylinidae Aleocharinae

20.IV.2024 - ITALIA - Toscana - MS
Coleoptera

marco paglialunga

2

508

09/05/2024, 14:49

marco paglialunga Vedi ultimo messaggio

Nessun messaggio da leggere
Staphylinidae Pselaphinae sp.
14.III.2024 - ITALIA - Lombardia - CO
Allegato(i)
Staphylinidae Pselaphinae sp.

14.III.2024 - ITALIA - Lombardia - CO
Coleoptera

fasmidi

2

519

30/03/2024, 15:27

fasmidi Vedi ultimo messaggio

Nessun messaggio da leggere
Carpelimus sp. - Staphylinidae Oxytelini
14.III.2024 - ITALIA - Lombardia - CO
Allegato(i)
Carpelimus sp. - Staphylinidae Oxytelini

14.III.2024 - ITALIA - Lombardia - CO
Coleoptera

fasmidi

7

710

30/03/2024, 13:59

fasmidi Vedi ultimo messaggio

Nessun messaggio da leggere
Xantholinus sp. (cf.) - Staphylinidae
24.II.2024 - ROMANIA - EE
Allegato(i)
Xantholinus sp. (cf.) - Staphylinidae

24.II.2024 - ROMANIA - EE
Coleoptera

alexaandru

2

450

20/03/2024, 9:12

alexaandru Vedi ultimo messaggio

Nessun messaggio da leggere
Atheta (Mocyta) sp. - Staphylinidae Athetini
29.I.2024 - ITALIA - Lazio - RM
Allegato(i)
Atheta (Mocyta) sp. - Staphylinidae Athetini

[ Vai alla paginaVai alla pagina: 1, 2 ]



29.I.2024 - ITALIA - Lazio - RM
Coleoptera

soken

16

1169

10/02/2024, 20:27

soken Vedi ultimo messaggio

Nessun messaggio da leggere
Tasgius sp. - Staphylinidae
5.II.2024 - ROMANIA - EE
Allegato(i)
Tasgius sp. - Staphylinidae

5.II.2024 - ROMANIA - EE
Coleoptera

alexaandru

7

636

08/02/2024, 21:25

alexaandru Vedi ultimo messaggio

Nessun messaggio da leggere
Larva di Ocypus sp. (cf.) - Staphylinidae
6.II.2024 - ITALIA - Marche - PU
Allegato(i)
Larva di Ocypus sp. (cf.) - Staphylinidae

6.II.2024 - ITALIA - Marche - PU
Coleoptera

plumipes

2

372

07/02/2024, 9:34

plumipes Vedi ultimo messaggio

Nessun messaggio da leggere
Xantholinus sp. (cf.) - Staphylinidae
11.IX.2023 - ITALIA - Lazio - RM
Allegato(i)
Xantholinus sp. (cf.) - Staphylinidae

11.IX.2023 - ITALIA - Lazio - RM
Coleoptera

soken

3

561

06/01/2024, 20:20

soken Vedi ultimo messaggio

Nessun messaggio da leggere
Bledius sp. - Staphylinidae Oxytelinae
7.VIII.2023 - ITALIA - Friuli-Venezia Giulia - PN
Allegato(i)
Bledius sp. - Staphylinidae Oxytelinae

7.VIII.2023 - ITALIA - Friuli-Venezia Giulia - PN
Coleoptera

Gabriele

2

435

01/12/2023, 20:19

Gabriele Vedi ultimo messaggio

Nessun messaggio da leggere
Philonthus (Philonthus) sp. - Staphylinidae
16.IX.2021 - ITALIA - Lazio - RM
Allegato(i)
Philonthus (Philonthus) sp. - Staphylinidae

16.IX.2021 - ITALIA - Lazio - RM
Coleoptera

wgliinsetti

9

795

17/11/2023, 16:57

wgliinsetti Vedi ultimo messaggio

Nessun messaggio da leggere
Gabrius sp. - Staphylinidae
15.X.2023 - ITALIA - Lombardia - SO
Allegato(i)
Gabrius sp. - Staphylinidae

15.X.2023 - ITALIA - Lombardia - SO
Coleoptera

Davide Ambrosioni

3

503

07/11/2023, 0:09

AetherisIgnis Vedi ultimo messaggio

Nessun messaggio da leggere
Aloconota sp. (cf.) - Staphylinidae
1.X.2023 - ITALIA - Lombardia - SO
Allegato(i)
Aloconota sp. (cf.) - Staphylinidae

1.X.2023 - ITALIA - Lombardia - SO
Coleoptera

Davide Ambrosioni

3

521

06/11/2023, 23:34

Davide Ambrosioni Vedi ultimo messaggio

Nessun messaggio da leggere
Quedius (Raphirus) sp. - Staphylinidae
1.X.2023 - ITALIA - Lombardia - SO
Allegato(i)
Quedius (Raphirus) sp. - Staphylinidae

1.X.2023 - ITALIA - Lombardia - SO
Coleoptera

Davide Ambrosioni

3

496

06/11/2023, 21:06

Davide Ambrosioni Vedi ultimo messaggio

Nessun messaggio da leggere
Stenus (Hemistenus) sp. - Staphylinidae
5.X.2023 - ITALIA - Friuli-Venezia Giulia - PN
Allegato(i)
Stenus (Hemistenus) sp. - Staphylinidae

5.X.2023 - ITALIA - Friuli-Venezia Giulia - PN
Coleoptera

Gabriele

2

402

12/10/2023, 23:00

Gabriele Vedi ultimo messaggio

Nessun messaggio da leggere
Atheta (Atheta) sp. - Staphylinidae
16.IX.2023 - ITALIA - Lazio - FR
Allegato(i)
Atheta (Atheta) sp. - Staphylinidae

16.IX.2023 - ITALIA - Lazio - FR
Coleoptera

wgliinsetti

14

1169

20/09/2023, 21:08

wgliinsetti Vedi ultimo messaggio

Nessun messaggio da leggere
Philonthus sp. - Staphylinidae
10.IX.2023 - ITALIA - Friuli-Venezia Giulia - PN
Allegato(i)
Philonthus sp. - Staphylinidae

10.IX.2023 - ITALIA - Friuli-Venezia Giulia - PN
Coleoptera

Gabriele

3

520

14/09/2023, 15:05

Gabriele Vedi ultimo messaggio

Nessun messaggio da leggere
Quedius sp. - Staphylinidae - sfarfallamento
6.IV.2011 - ITALIA - Lazio - RM
Allegato(i)
Quedius sp. - Staphylinidae - sfarfallamento

6.IV.2011 - ITALIA - Lazio - RM
Coleoptera

soken

6

1026

28/07/2023, 13:02

soken Vedi ultimo messaggio

Nessun messaggio da leggere
Heterothops sp. - Staphylinidae - Sardegna
24.X.2010 - ITALIA - Sardegna - SS
Allegato(i)
Heterothops sp. - Staphylinidae - Sardegna

24.X.2010 - ITALIA - Sardegna - SS
Coleoptera

Pietro Niolu

2

498

25/07/2023, 11:48

Honza Vedi ultimo messaggio

Nessun messaggio da leggere
Sepedophilus sp. - Staphylinidae
III.2014 - ITALIA - Lazio - RM
Allegato(i)
Sepedophilus sp. - Staphylinidae

III.2014 - ITALIA - Lazio - RM
Coleoptera

aesalus37

1

421

25/07/2023, 1:38

Lorenzo Locati Vedi ultimo messaggio

Nessun messaggio da leggere
Staphylinidae Omaliinae sp.
10.X.2014 - BULGARIA - EE
Allegato(i)
Staphylinidae Omaliinae sp.

10.X.2014 - BULGARIA - EE
Coleoptera

Joro

1

580

25/07/2023, 1:36

Lorenzo Locati Vedi ultimo messaggio

Nessun messaggio da leggere
Tasgius sp. - Staphylinidae
4.V.2011 - SPAGNA - EE
Allegato(i)
Tasgius sp. - Staphylinidae

4.V.2011 - SPAGNA - EE
Coleoptera

Carlos Galan

1

430

25/07/2023, 1:19

Lorenzo Locati Vedi ultimo messaggio

Nessun messaggio da leggere
Quedius sp. - Staphylinidae
17.III.2012 - ITALIA - Emilia-Romagna - RE
Allegato(i)
Quedius sp. - Staphylinidae

17.III.2012 - ITALIA - Emilia-Romagna - RE
Coleoptera

Mikiphasmide

1

427

25/07/2023, 1:17

Lorenzo Locati Vedi ultimo messaggio

Nessun messaggio da leggere
Staphylinidae da ID (2)
18.III.2012 - ITALIA - Lombardia - MN
Allegato(i)
Staphylinidae da ID (2)

18.III.2012 - ITALIA - Lombardia - MN
Coleoptera

Mikiphasmide

1

456

25/07/2023, 1:17

Lorenzo Locati Vedi ultimo messaggio

Nessun messaggio da leggere
Paederus sp. - Staphylinidae Paederinae
8.XI.2011 - TIMOR EST - EE
Allegato(i)
Paederus sp. - Staphylinidae Paederinae

8.XI.2011 - TIMOR EST - EE
Coleoptera

cosmln

1

918

25/07/2023, 1:10

Lorenzo Locati Vedi ultimo messaggio

Nessun messaggio da leggere
Staphylinidae da identificare 2
15.VIII.1986 - FRANCIA - EE
Allegato(i)
Staphylinidae da identificare 2

15.VIII.1986 - FRANCIA - EE
Coleoptera

D & JP Balmer

3

625

25/07/2023, 0:57

Lorenzo Locati Vedi ultimo messaggio

Nessun messaggio da leggere
Quedius sp, - Staphylinidae
13.XII.2010 - ITALIA - Lazio - RM
Allegato(i)
Quedius sp, - Staphylinidae

13.XII.2010 - ITALIA - Lazio - RM
Coleoptera

Julodis

2

480

25/07/2023, 0:46

Lorenzo Locati Vedi ultimo messaggio

Nessun messaggio da leggere
Staphylinidae Paederinae Lathrobiini sp.
17.XII.2018 - ITALIA - Campania - SA
Allegato(i)
Staphylinidae Paederinae Lathrobiini sp.

17.XII.2018 - ITALIA - Campania - SA
Coleoptera

Mattia D'Amato

1

886

24/07/2023, 23:17

Lorenzo Locati Vedi ultimo messaggio

Nessun messaggio da leggere
Paederus sp. - Staphylinidae Paederinae
17.IV.2023 - ITALIA - Friuli-Venezia Giulia - UD
Allegato(i)
Paederus sp. - Staphylinidae Paederinae

17.IV.2023 - ITALIA - Friuli-Venezia Giulia - UD
Coleoptera

Michele A

2

628

08/06/2023, 9:18

Michele A Vedi ultimo messaggio

Nessun messaggio da leggere
Lesteva sp. - Staphylinidae
27.VI.2021 - ITALIA - Piemonte - VB
Allegato(i)
Lesteva sp. - Staphylinidae

27.VI.2021 - ITALIA - Piemonte - VB
Coleoptera

Bantorp

2

626

24/05/2023, 14:07

Bantorp Vedi ultimo messaggio

Nessun messaggio da leggere
Philonthus sp. - Staphylinidae
27.VI.2021 - ITALIA - Piemonte - VB
Allegato(i)
Philonthus sp. - Staphylinidae

27.VI.2021 - ITALIA - Piemonte - VB
Coleoptera

Bantorp

2

612

22/05/2023, 22:01

Bantorp Vedi ultimo messaggio

Nessun messaggio da leggere
Philonthus sp. - Staphylinidae
2.VI.2022 - ITALIA - Trentino-Alto Adige - TN
Allegato(i)
Philonthus sp. - Staphylinidae

2.VI.2022 - ITALIA - Trentino-Alto Adige - TN
Coleoptera

N.antiopa

1

506

20/04/2023, 15:44

Lorenzo Locati Vedi ultimo messaggio

Nessun messaggio da leggere
Allegato(i)
Astenus sp. - Staphylinidae micro

 
Coleoptera

dorbodervus

3

830

16/04/2023, 8:04

dorbodervus Vedi ultimo messaggio

Nessun messaggio da leggere
Quedius sp. - Staphylinidae
5.X.2015 - ITALIA - Toscana - FI
Allegato(i)
Quedius sp. - Staphylinidae

5.X.2015 - ITALIA - Toscana - FI
Coleoptera

cennino

2

795

07/04/2023, 5:46

cennino Vedi ultimo messaggio

Nessun messaggio da leggere
Sepedophilus sp. - Staphylinidae Tachyporinae
2.I.2012 - ITALIA - Sardegna - CA
Allegato(i)
Sepedophilus sp. - Staphylinidae Tachyporinae

2.I.2012 - ITALIA - Sardegna - CA
Coleoptera

Fumea crassiorella

3

721

06/04/2023, 23:53

Lorenzo Locati Vedi ultimo messaggio

Nessun messaggio da leggere
Mycetoporus sp. (cf.) - Staphylinidae Tachyporinae
29.I.2012 - ITALIA - Lazio - RM
Allegato(i)
Mycetoporus sp. (cf.) - Staphylinidae Tachyporinae

29.I.2012 - ITALIA - Lazio - RM
Coleoptera

Fabio Turchetti

4

887

06/04/2023, 23:49

Lorenzo Locati Vedi ultimo messaggio

Visualizza ultimi argomenti:  Ordina per  Ordine:  
nuovo argomento
Vai alla pagina 1, 2, 3, 4, 5 ... 13  Prossimo
Pagina 1 di 13 [ 637 argomenti ]

Tutti gli orari sono UTC + 1 ora [ ora legale ]


Chi c’è in linea

Visitano il forum: Nessuno e 1 ospite


Legenda
Messaggi da leggere Messaggi da leggere Nessun messaggio da leggere Nessun messaggio da leggere Annuncio Annuncio
 
Specie indeterminata / discussione generica
Messaggi non letti [ Popolari ] Messaggi non letti [ Popolari ] Nessun messaggio da leggere [ Popolare ] Nessun messaggio da leggere [ Popolare ] Importante Importante
 
Specie determinata fino al genere o cf.
Messaggi non letti [ Bloccati ] Messaggi non letti [ Bloccati ] No messaggi non letti [ Bloccati ] No messaggi non letti [ Bloccati ] Argomento spostato Argomento spostato
 
Specie correttamente determinata
Permessi
Non puoi aprire nuovi argomenti
Non puoi rispondere negli argomenti
Non puoi modificare i tuoi messaggi
Non puoi cancellare i tuoi messaggi
Non puoi inviare allegati

Cerca per:
Vai a: