Benvenuto Ospite

Forum Entomologi Italiani

www.entomologiitaliani.net/forum
 
Oggi è 03/11/2025, 7:32

Tutti gli orari sono UTC + 1 ora [ ora legale ]

Staphylinidae indeterminati


[ AFROTROPICALE ] [ ANTARTICO ] [ AUSTRALASIANO ] [ NEARTICO ] [ NEOTROPICALE ] [ ORIENTALE ] [ PALEARTICO ]


nuovo argomento
Vai alla pagina Precedente  1, 2, 3, 4, 5, 6, 7, 8 ... 12  Prossimo
Pagina 5 di 12 [ 572 argomenti ]
 Argomenti   Ordine   Autore   Risposte   Visite    Ultimo messaggio 
Annunci
Nessun messaggio da leggere
Allegato(i)
Incontri entomologici telematici organizzati dalla Società Entomologica Italiana nel 2022 e nel 2023

[ Vai alla paginaVai alla pagina: 1, 2, 3 ]

 

Velvet Ant

44

1401540

03/03/2023, 15:55

Velvet Ant Vedi ultimo messaggio

Nessun messaggio da leggere  
Allegato(i)
Sondaggio sul declino dell'entomofauna in Italia

[ Vai alla paginaVai alla pagina: 1, 2, 3, 4 ]

 

Velvet Ant

52

1725906

22/10/2022, 19:18

Acquarius Vedi ultimo messaggio

Nessun messaggio da leggere  
Allegato(i)
Progetto: Bibliografia ragionata dei lavori entomologici nei quali sono citati reperti apparsi su FEI

[ Vai alla paginaVai alla pagina: 1, 2, 3 ]

 

Velvet Ant

33

1148977

06/07/2023, 18:31

Orotrechus Vedi ultimo messaggio

Nessun messaggio da leggere
Allegato(i)
Mimesi, il primo documentario cinematografico sull’entomologia in Italia: casting
 

mazzeip

1

453022

28/02/2019, 20:26

mazzeip Vedi ultimo messaggio

Questo argomento è bloccato, non puoi modificare o inviare ulteriori messaggi.
Allegato(i)
ISTRUZIONI PUBBLICAZIONE NUOVI ARGOMENTI E FOTO

 
Altri Ordini di Insetti

Julodis

4

861590

13/05/2015, 19:37

Julodis Vedi ultimo messaggio

Nessun messaggio da leggere
Allegato(i)
Limitatore giornaliero di messaggi, uno strumento utile e ormai indispensabile

[ Vai alla paginaVai alla pagina: 1 ... 14, 15, 16 ]

 

Velvet Ant

233

8704683

25/09/2014, 14:31

Inachis Vedi ultimo messaggio

Nessun messaggio da leggere  
NORME PER I COLLABORATORI DEL FORUM

 
 

Velvet Ant

0

476248

02/06/2011, 12:05

Velvet Ant Vedi ultimo messaggio

Nessun messaggio da leggere
Allegato(i)
NORME PER GLI UTENTI DEL FORUM

[ Vai alla paginaVai alla pagina: 1, 2, 3 ]



 
 

Velvet Ant

30

2326039

23/09/2014, 23:54

Maurizio Bollino Vedi ultimo messaggio

Nessun messaggio da leggere  
Lista degli utenti del "Forum entomologi italiani" per campi di interesse e specializzazione

 
Altri Ordini di Insetti

Velvet Ant

13

935204

07/09/2023, 17:14

Roberto-07 Vedi ultimo messaggio

Argomenti
Nessun messaggio da leggere
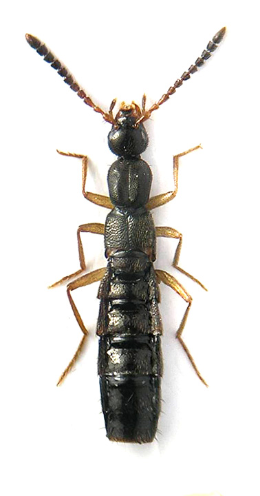
Larve e adulti di Staphilinidae
15.XII.2016 - ITALIA - Lazio - RM
Allegato(i)
Larve e adulti di Staphilinidae

15.XII.2016 - ITALIA - Lazio - RM
Coleoptera

elleelle

1

609

29/07/2017, 14:07

marco villa Vedi ultimo messaggio

Nessun messaggio da leggere
Quedius sp. - Staphylinidae
20.V.2017 - ITALIA - Puglia - LE
Allegato(i)
Quedius sp. - Staphylinidae

20.V.2017 - ITALIA - Puglia - LE
Coleoptera

Mony

5

580

18/07/2017, 9:49

mascalzonepadano Vedi ultimo messaggio

Nessun messaggio da leggere
Eusphalerum sp. - Staphylinidae Omaliinae
12.V.2017 - ITALIA - Trentino-Alto Adige - TN
Allegato(i)
Eusphalerum sp. - Staphylinidae Omaliinae

12.V.2017 - ITALIA - Trentino-Alto Adige - TN
Coleoptera

Pippistrello

3

634

18/07/2017, 8:10

Lech Borowiec Vedi ultimo messaggio

Nessun messaggio da leggere
Ocypus sp. - Staphylinidae
3.VI.2017 - ITALIA - Sicilia - ME
Allegato(i)
Ocypus sp. - Staphylinidae

3.VI.2017 - ITALIA - Sicilia - ME
Coleoptera

skapc66

1

473

07/06/2017, 21:48

Lucanus tetraodon Vedi ultimo messaggio

Nessun messaggio da leggere
Microstafilinide
11.V.2017 - ITALIA - Lombardia - BS
Allegato(i)
Microstafilinide

11.V.2017 - ITALIA - Lombardia - BS
Coleoptera

Rothari

0

483

11/05/2017, 21:25

Rothari Vedi ultimo messaggio

Nessun messaggio da leggere
Amphichroum canaliculatum (Erichson, 1840) - Staphylinidae - Omaliinae.
9.IV.2012 - ITALIA - Trentino-Alto Adige - TN
Allegato(i)
Amphichroum canaliculatum (Erichson, 1840) - Staphylinidae - Omaliinae.

9.IV.2012 - ITALIA - Trentino-Alto Adige - TN
Coleoptera

Valerio

2

1229

06/04/2017, 20:10

Valerio Vedi ultimo messaggio

Nessun messaggio da leggere
Allegato(i)
Ocypus (Pseudocypus) orientis Smetana et Davies, 2000 - Staphylinidae - Staphylininae - Staphylinini - Staphylinina

14.IX.2011 - GRECIA - EE
Coleoptera

Tenebrio

3

839

26/03/2017, 18:09

Honza Vedi ultimo messaggio

Nessun messaggio da leggere
Euaesthetus sp. - Staphylinidae
2.III.2017 - ITALIA - Friuli-Venezia Giulia - GO
Allegato(i)
Euaesthetus sp. - Staphylinidae

2.III.2017 - ITALIA - Friuli-Venezia Giulia - GO
Coleoptera

Agdistis

2

856

03/03/2017, 21:52

Agdistis Vedi ultimo messaggio

Nessun messaggio da leggere
Zyras sp. - Staphylinidae
21.VIII.2013 - ITALIA - Trentino-Alto Adige - TN
Allegato(i)
Zyras sp. - Staphylinidae

21.VIII.2013 - ITALIA - Trentino-Alto Adige - TN
Coleoptera

Andrea Pergine

7

1643

01/03/2017, 11:21

Andrea Pergine Vedi ultimo messaggio

Nessun messaggio da leggere
Quedius (Raphirus) sp. - Staphylinidae
16.XI.2013 - ITALIA - Lombardia - BS
Allegato(i)
Quedius (Raphirus) sp. - Staphylinidae

16.XI.2013 - ITALIA - Lombardia - BS
Coleoptera

Livio

11

1826

05/02/2017, 9:25

Honza Vedi ultimo messaggio

Nessun messaggio da leggere
Identificazione stafilinide
24.XII.2016 - ITALIA - Lazio - RM
Allegato(i)
Identificazione stafilinide

24.XII.2016 - ITALIA - Lazio - RM
Coleoptera

Edo

0

477

03/02/2017, 19:57

Edo Vedi ultimo messaggio

Nessun messaggio da leggere
Allegato(i)
Carpelimus erichsoni (Sharp 1871) - Staphylinidae Oxyteninae Oxytelini

20.VI.2012 - ITALIA - Lombardia - BS
Coleoptera

Livio

4

817

02/02/2017, 0:09

Livio Vedi ultimo messaggio

Nessun messaggio da leggere
Allegato(i)
Anotylus rugosus (Fabricius, 1775) - Staphylinidae Oxyteninae Oxytelini

20.VI.2012 - ITALIA - Lombardia - BS
Coleoptera

Livio

4

886

01/02/2017, 1:28

Livio Vedi ultimo messaggio

Nessun messaggio da leggere
Atheta aeneicollis (Sharp, 1869) - Staphylinidae
23.IX.2012 - ITALIA - Lombardia - BS
Allegato(i)
Atheta aeneicollis (Sharp, 1869) - Staphylinidae

23.IX.2012 - ITALIA - Lombardia - BS
Coleoptera

Livio

5

952

01/02/2017, 0:06

Livio Vedi ultimo messaggio

Nessun messaggio da leggere
Aleochara curtula (Goeze, 1777) - Staphylinidae
6.I.2016 - ITALIA - Lombardia - BS
Allegato(i)
Aleochara curtula (Goeze, 1777) - Staphylinidae

6.I.2016 - ITALIA - Lombardia - BS
Coleoptera

Livio

4

1144

31/01/2017, 23:42

Livio Vedi ultimo messaggio

Nessun messaggio da leggere
Larva di Ocypus sp. - Staphylinidae
3.I.2017 - ITALIA - Sicilia - TP
Allegato(i)
Larva di Ocypus sp. - Staphylinidae

3.I.2017 - ITALIA - Sicilia - TP
Coleoptera

angelo.ditta

2

502

04/01/2017, 17:39

angelo.ditta Vedi ultimo messaggio

Nessun messaggio da leggere
Quedius (Quedius) sp. - Staphylinidae
14.X.2016 - ITALIA - Veneto - VE
Allegato(i)
Quedius (Quedius) sp. - Staphylinidae

14.X.2016 - ITALIA - Veneto - VE
Coleoptera

ghebo

3

585

21/12/2016, 16:22

ghebo Vedi ultimo messaggio

Nessun messaggio da leggere
Xantholinus sp. - Staphylinidae
23.VI.2016 - ITALIA - Calabria - CS
Allegato(i)
Xantholinus sp. - Staphylinidae

23.VI.2016 - ITALIA - Calabria - CS
Coleoptera

Valerio

2

613

17/12/2016, 13:59

Valerio Vedi ultimo messaggio

Nessun messaggio da leggere
Quedius sp. - Staphylinidae
30.X.2016 - ITALIA - Piemonte - CN
Allegato(i)
Quedius sp. - Staphylinidae

30.X.2016 - ITALIA - Piemonte - CN
Coleoptera

michelebutta

5

973

03/12/2016, 9:19

Honza Vedi ultimo messaggio

Nessun messaggio da leggere
Xantholinus sp. - Staphylinidae
24.XI.2016 - ITALIA - Veneto - VE
Allegato(i)
Xantholinus sp. - Staphylinidae

24.XI.2016 - ITALIA - Veneto - VE
Coleoptera

ghebo

2

509

02/12/2016, 14:43

ghebo Vedi ultimo messaggio

Nessun messaggio da leggere
Platystethus sp. - Staphylinidae Oxytelinae
25.III.2013 - ITALIA - Lazio - RM
Allegato(i)
Platystethus sp. - Staphylinidae Oxytelinae

25.III.2013 - ITALIA - Lazio - RM
Coleoptera

Valerio

2

558

27/11/2016, 15:25

Valerio Vedi ultimo messaggio

Nessun messaggio da leggere
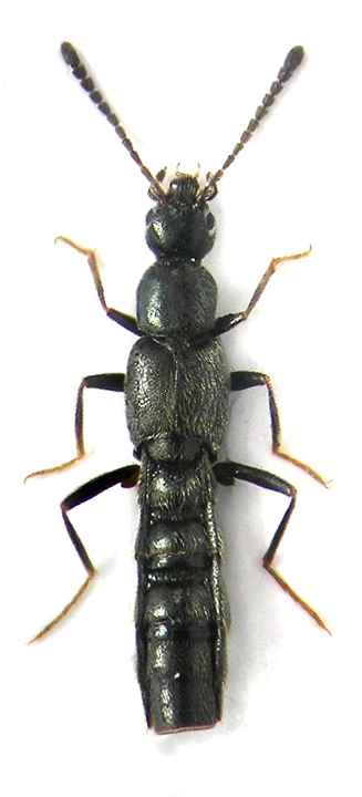
Staphylinidae indet. 7
13.VI.2014 - ITALIA - Lazio - RM
Allegato(i)
Staphylinidae indet. 7

13.VI.2014 - ITALIA - Lazio - RM
Coleoptera

Valerio

0

932

22/11/2016, 20:32

Valerio Vedi ultimo messaggio

Nessun messaggio da leggere
Bledius sp. (cf.) - Staphylinidae
17.VI.2009 - ITALIA - Puglia - LE
Allegato(i)
Bledius sp. (cf.) - Staphylinidae

17.VI.2009 - ITALIA - Puglia - LE
Coleoptera

Valerio

0

1193

17/11/2016, 21:10

Valerio Vedi ultimo messaggio

Nessun messaggio da leggere
Bledius sp. (cf.) - Staphylinidae
IX.2009 - ITALIA - Toscana - GR
Allegato(i)
Bledius sp. (cf.) - Staphylinidae

IX.2009 - ITALIA - Toscana - GR
Coleoptera

Valerio

0

1214

17/11/2016, 21:10

Valerio Vedi ultimo messaggio

Nessun messaggio da leggere
Bledius sp. (cf.) - Staphylinidae
17.VI.2009 - ITALIA - Puglia - LE
Allegato(i)
Bledius sp. (cf.) - Staphylinidae

17.VI.2009 - ITALIA - Puglia - LE
Coleoptera

Valerio

0

1188

16/11/2016, 21:22

Valerio Vedi ultimo messaggio

Nessun messaggio da leggere
Bledius sp. (cf.) - Staphylinidae
IX.2009 - ITALIA - Toscana - GR
Allegato(i)
Bledius sp. (cf.) - Staphylinidae

IX.2009 - ITALIA - Toscana - GR
Coleoptera

Valerio

0

1137

16/11/2016, 21:22

Valerio Vedi ultimo messaggio

Nessun messaggio da leggere
Xantholinus sp. (cf.) - Staphylinidae
1.V.2013 - ITALIA - Lazio - RM
Allegato(i)
Xantholinus sp. (cf.) - Staphylinidae

1.V.2013 - ITALIA - Lazio - RM
Coleoptera

Valerio

4

849

16/11/2016, 21:00

Valerio Vedi ultimo messaggio

Nessun messaggio da leggere
Paederus sp. - Staphylinidae
17.VI.2009 - ITALIA - Puglia - LE
Allegato(i)
Paederus sp. - Staphylinidae

17.VI.2009 - ITALIA - Puglia - LE
Coleoptera

Valerio

0

1273

15/11/2016, 21:28

Valerio Vedi ultimo messaggio

Nessun messaggio da leggere
cfr Quedius cfr ctrl molochinus - Staphylinidae
1.V.1998 - ITALIA - Lazio - RM
Allegato(i)
cfr Quedius cfr ctrl molochinus - Staphylinidae

1.V.1998 - ITALIA - Lazio - RM
Coleoptera

Valerio

7

891

14/11/2016, 20:19

Honza Vedi ultimo messaggio

Nessun messaggio da leggere
Tachyporus sp. - Staphylinidae
VI.2014 - ITALIA - Lazio - RM
Allegato(i)
Tachyporus sp. - Staphylinidae

VI.2014 - ITALIA - Lazio - RM
Coleoptera

Valerio

3

449

13/11/2016, 18:54

Valerio Vedi ultimo messaggio

Nessun messaggio da leggere
Sepedophilus sp. - Staphylinidae
15.III.2013 - ITALIA - Lazio - RM
Allegato(i)
Sepedophilus sp. - Staphylinidae

15.III.2013 - ITALIA - Lazio - RM
Coleoptera

Valerio

1

320

10/11/2016, 9:28

togaspain Vedi ultimo messaggio

Nessun messaggio da leggere
Quedius sp. - Staphylinidae
4.XI.2016 - ITALIA - Emilia-Romagna - BO
Allegato(i)
Quedius sp. - Staphylinidae

4.XI.2016 - ITALIA - Emilia-Romagna - BO
Coleoptera

lorenzo12

6

506

07/11/2016, 21:48

lorenzo12 Vedi ultimo messaggio

Nessun messaggio da leggere
Eusphalerum sp. - Staphylinidae Omaliinae
4.VI.2013 - ITALIA - Calabria - CS
Allegato(i)
Eusphalerum sp. - Staphylinidae Omaliinae

4.VI.2013 - ITALIA - Calabria - CS
Coleoptera

Valerio

2

679

06/11/2016, 12:49

Valerio Vedi ultimo messaggio

Nessun messaggio da leggere
Astrapaeus ulmi (Rossi, 1790) - Staphylinidae Staphylininae
14.X.2016 - ITALIA - Sicilia - PA
Allegato(i)
Astrapaeus ulmi (Rossi, 1790) - Staphylinidae Staphylininae

14.X.2016 - ITALIA - Sicilia - PA
Coleoptera

Velvet Ant

2

446

16/10/2016, 11:57

Velvet Ant Vedi ultimo messaggio

Nessun messaggio da leggere
Staphylinidae Id
17.VII.2013 - GERMANIA - EE
Allegato(i)
Staphylinidae Id

17.VII.2013 - GERMANIA - EE
Coleoptera

gstalker

1

411

16/09/2016, 22:11

gstalker Vedi ultimo messaggio

Nessun messaggio da leggere
Tasgius sp. - Staphylinidae
28.VIII.2016 - ITALIA - Lazio - RM
Allegato(i)
Tasgius sp. - Staphylinidae

28.VIII.2016 - ITALIA - Lazio - RM
Coleoptera

Edo

2

389

06/09/2016, 12:40

Edo Vedi ultimo messaggio

Nessun messaggio da leggere
Xantholinus sp. - Staphylinidae
20.VIII.2016 - ITALIA - Lazio - RI
Allegato(i)
Xantholinus sp. - Staphylinidae

20.VIII.2016 - ITALIA - Lazio - RI
Coleoptera

Palaemonetes

2

561

29/08/2016, 17:16

Palaemonetes Vedi ultimo messaggio

Nessun messaggio da leggere
Staphilinidae Oxytelinae sp.
17.IV.2016 - ITALIA - Emilia-Romagna - PR
Allegato(i)
Staphilinidae Oxytelinae sp.

17.IV.2016 - ITALIA - Emilia-Romagna - PR
Coleoptera

fornaeffe

4

928

15/08/2016, 16:16

fornaeffe Vedi ultimo messaggio

Nessun messaggio da leggere
Oxypoda sp. - Staphylinidae Aleocharinae
2.XI.2015 - ITALIA - Emilia-Romagna - FE
Allegato(i)
Oxypoda sp. - Staphylinidae Aleocharinae

2.XI.2015 - ITALIA - Emilia-Romagna - FE
Coleoptera

Alessio89

4

1030

06/08/2016, 21:03

Honza Vedi ultimo messaggio

Nessun messaggio da leggere
Drusilla sp. - Staphylinidae Aleocharinae
17.III.2015 - ITALIA - Abruzzo - PE
Allegato(i)
Drusilla sp. - Staphylinidae Aleocharinae

17.III.2015 - ITALIA - Abruzzo - PE
Coleoptera

Alessio89

4

1287

11/07/2016, 17:58

Honza Vedi ultimo messaggio

Nessun messaggio da leggere
Scaphisoma sp. - Staphylinidae Scaphidiinae
III.2011 - ITALIA - Veneto - BL
Allegato(i)
Scaphisoma sp. - Staphylinidae Scaphidiinae

III.2011 - ITALIA - Veneto - BL
Coleoptera

Maw89

2

656

22/06/2016, 23:32

Maw89 Vedi ultimo messaggio

Nessun messaggio da leggere
Stenus (Hemistenus) sp. - Staphylinidae Steninae
7.V.2016 - ITALIA - Lombardia - BS
Allegato(i)
Stenus (Hemistenus) sp. - Staphylinidae Steninae

7.V.2016 - ITALIA - Lombardia - BS
Coleoptera

Livio

3

886

27/05/2016, 19:15

Honza Vedi ultimo messaggio

Nessun messaggio da leggere
Oxytelus sp. - Staphylinidae
25.V.2016 - ITALIA - Basilicata - MT
Allegato(i)
Oxytelus sp. - Staphylinidae

25.V.2016 - ITALIA - Basilicata - MT
Coleoptera

aguaplano

3

656

27/05/2016, 6:57

aguaplano Vedi ultimo messaggio

Nessun messaggio da leggere
Tachyusa sp. - Staphylinidae Aleocharinae
20.III.2016 - ITALIA - Emilia-Romagna - FE
Allegato(i)
Tachyusa sp. - Staphylinidae Aleocharinae

20.III.2016 - ITALIA - Emilia-Romagna - FE
Coleoptera

Alessio89

1

355

30/04/2016, 23:30

Honza Vedi ultimo messaggio

Nessun messaggio da leggere
Lathrobium sp. - Staphylinidae Paederinae
20.III.2016 - ITALIA - Emilia-Romagna - FE
Allegato(i)
Lathrobium sp. - Staphylinidae Paederinae

20.III.2016 - ITALIA - Emilia-Romagna - FE
Coleoptera

Alessio89

3

487

28/04/2016, 23:51

Honza Vedi ultimo messaggio

Nessun messaggio da leggere
Sepedophilus sp. - Staphylinidae Tachyporinae
28.IX.2015 - ITALIA - Emilia-Romagna - FE
Allegato(i)
Sepedophilus sp. - Staphylinidae Tachyporinae

28.IX.2015 - ITALIA - Emilia-Romagna - FE
Coleoptera

Alessio89

3

662

26/04/2016, 21:52

Alessio89 Vedi ultimo messaggio

Nessun messaggio da leggere
Anotylus sp. - Staphylinidae Oxytelinae
6.XII.2015 - ITALIA - Abruzzo - PE
Allegato(i)
Anotylus sp. - Staphylinidae Oxytelinae

6.XII.2015 - ITALIA - Abruzzo - PE
Coleoptera

Alessio89

1

656

20/03/2016, 23:14

deryastenus Vedi ultimo messaggio

Nessun messaggio da leggere
Staphylinidae sp.
5.III.2016 - ITALIA - Veneto - TV
Allegato(i)
Staphylinidae sp.

5.III.2016 - ITALIA - Veneto - TV
Coleoptera

stefano tasca

0

545

06/03/2016, 19:49

stefano tasca Vedi ultimo messaggio

Nessun messaggio da leggere
Proteinus sp. - Staphylinidae Proteininae
3.III.2016 - ITALIA - Veneto - TV
Allegato(i)
Proteinus sp. - Staphylinidae Proteininae

3.III.2016 - ITALIA - Veneto - TV
Coleoptera

stefano tasca

8

878

05/03/2016, 10:44

stefano tasca Vedi ultimo messaggio

Nessun messaggio da leggere
Tasgius sp. - Staphylinidae
3.III.2013 - GERMANIA - EE
Allegato(i)
Tasgius sp. - Staphylinidae

3.III.2013 - GERMANIA - EE
Coleoptera

gstalker

6

657

29/02/2016, 20:21

Honza Vedi ultimo messaggio

Visualizza ultimi argomenti:  Ordina per  Ordine:  
nuovo argomento
Vai alla pagina Precedente  1, 2, 3, 4, 5, 6, 7, 8 ... 12  Prossimo
Pagina 5 di 12 [ 572 argomenti ]

Tutti gli orari sono UTC + 1 ora [ ora legale ]


Chi c’è in linea

Visitano il forum: Nessuno e 1 ospite


Legenda
Messaggi da leggere Messaggi da leggere Nessun messaggio da leggere Nessun messaggio da leggere Annuncio Annuncio
 
Specie indeterminata / discussione generica
Messaggi non letti [ Popolari ] Messaggi non letti [ Popolari ] Nessun messaggio da leggere [ Popolare ] Nessun messaggio da leggere [ Popolare ] Importante Importante
 
Specie determinata fino al genere o cf.
Messaggi non letti [ Bloccati ] Messaggi non letti [ Bloccati ] No messaggi non letti [ Bloccati ] No messaggi non letti [ Bloccati ] Argomento spostato Argomento spostato
 
Specie correttamente determinata
Permessi
Non puoi aprire nuovi argomenti
Non puoi rispondere negli argomenti
Non puoi modificare i tuoi messaggi
Non puoi cancellare i tuoi messaggi
Non puoi inviare allegati

Cerca per:
Vai a: