Benvenuto Ospite

Forum Entomologi Italiani

www.entomologiitaliani.net/forum
 
Oggi è 03/11/2025, 7:32

Tutti gli orari sono UTC + 1 ora [ ora legale ]

Staphylinidae indeterminati


[ AFROTROPICALE ] [ ANTARTICO ] [ AUSTRALASIANO ] [ NEARTICO ] [ NEOTROPICALE ] [ ORIENTALE ] [ PALEARTICO ]


nuovo argomento
Vai alla pagina Precedente  1 ... 8, 9, 10, 11, 12
Pagina 12 di 12 [ 572 argomenti ]
 Argomenti   Ordine   Autore   Risposte   Visite    Ultimo messaggio 
Annunci
Nessun messaggio da leggere
Allegato(i)
Incontri entomologici telematici organizzati dalla Società Entomologica Italiana nel 2022 e nel 2023

[ Vai alla paginaVai alla pagina: 1, 2, 3 ]

 

Velvet Ant

44

1401540

03/03/2023, 15:55

Velvet Ant Vedi ultimo messaggio

Nessun messaggio da leggere  
Allegato(i)
Sondaggio sul declino dell'entomofauna in Italia

[ Vai alla paginaVai alla pagina: 1, 2, 3, 4 ]

 

Velvet Ant

52

1725906

22/10/2022, 19:18

Acquarius Vedi ultimo messaggio

Nessun messaggio da leggere  
Allegato(i)
Progetto: Bibliografia ragionata dei lavori entomologici nei quali sono citati reperti apparsi su FEI

[ Vai alla paginaVai alla pagina: 1, 2, 3 ]

 

Velvet Ant

33

1148977

06/07/2023, 18:31

Orotrechus Vedi ultimo messaggio

Nessun messaggio da leggere
Allegato(i)
Mimesi, il primo documentario cinematografico sull’entomologia in Italia: casting
 

mazzeip

1

453022

28/02/2019, 20:26

mazzeip Vedi ultimo messaggio

Questo argomento è bloccato, non puoi modificare o inviare ulteriori messaggi.
Allegato(i)
ISTRUZIONI PUBBLICAZIONE NUOVI ARGOMENTI E FOTO

 
Altri Ordini di Insetti

Julodis

4

861590

13/05/2015, 19:37

Julodis Vedi ultimo messaggio

Nessun messaggio da leggere
Allegato(i)
Limitatore giornaliero di messaggi, uno strumento utile e ormai indispensabile

[ Vai alla paginaVai alla pagina: 1 ... 14, 15, 16 ]

 

Velvet Ant

233

8704682

25/09/2014, 14:31

Inachis Vedi ultimo messaggio

Nessun messaggio da leggere  
NORME PER I COLLABORATORI DEL FORUM

 
 

Velvet Ant

0

476248

02/06/2011, 12:05

Velvet Ant Vedi ultimo messaggio

Nessun messaggio da leggere
Allegato(i)
NORME PER GLI UTENTI DEL FORUM

[ Vai alla paginaVai alla pagina: 1, 2, 3 ]



 
 

Velvet Ant

30

2326039

23/09/2014, 23:54

Maurizio Bollino Vedi ultimo messaggio

Nessun messaggio da leggere  
Lista degli utenti del "Forum entomologi italiani" per campi di interesse e specializzazione

 
Altri Ordini di Insetti

Velvet Ant

13

935204

07/09/2023, 17:14

Roberto-07 Vedi ultimo messaggio

Argomenti
Nessun messaggio da leggere
Philonthus sp. - Staphylinidae. Lazio
27.VIII.2010 - ITALIA - Lazio - FR
Allegato(i)
Philonthus sp. - Staphylinidae. Lazio

27.VIII.2010 - ITALIA - Lazio - FR
Coleoptera

Julodis

4

410

31/08/2010, 14:30

Julodis Vedi ultimo messaggio

Nessun messaggio da leggere
Lathrobium sp. (cf.) - Staphilinide
15.VIII.2010 - ITALIA - Trentino-Alto Adige - BZ
Allegato(i)
Lathrobium sp. (cf.) - Staphilinide

15.VIII.2010 - ITALIA - Trentino-Alto Adige - BZ
Coleoptera

Loriscola

2

2317

25/08/2010, 22:45

Tenebrio Vedi ultimo messaggio

Nessun messaggio da leggere
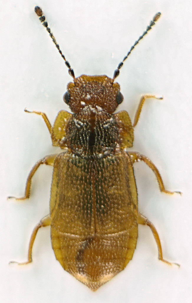
Pselaphydae 01 - Lazio (Poggio Nativo)
11.IV.2010 - ITALIA - Lazio - RM
Allegato(i)
Pselaphydae 01 - Lazio (Poggio Nativo)

11.IV.2010 - ITALIA - Lazio - RM
Coleoptera

Julodis

1

274

30/07/2010, 18:29

Liptaster Vedi ultimo messaggio

Nessun messaggio da leggere
Pselaphydae 03 - Lazio (Poggio Nativo)
14.IV.2010 - ITALIA - Lazio - RM
Allegato(i)
Pselaphydae 03 - Lazio (Poggio Nativo)

14.IV.2010 - ITALIA - Lazio - RM
Coleoptera

Julodis

1

245

30/07/2010, 18:27

Liptaster Vedi ultimo messaggio

Nessun messaggio da leggere
Quedius (Raphirus) sp.? - Staphylinidae - Lazio
28.IV.2010 - ITALIA - Lazio - RM
Allegato(i)
Quedius (Raphirus) sp.? - Staphylinidae - Lazio

28.IV.2010 - ITALIA - Lazio - RM
Coleoptera

soken

3

302

30/04/2010, 18:14

soken Vedi ultimo messaggio

Nessun messaggio da leggere
Quedius sp. - Staphylinidae. Lazio (Marcigliana)
9.IV.2010 - ITALIA - Lazio - RM
Allegato(i)
Quedius sp. - Staphylinidae. Lazio (Marcigliana)

9.IV.2010 - ITALIA - Lazio - RM
Coleoptera

Julodis

5

406

29/04/2010, 20:07

Honza Vedi ultimo messaggio

Nessun messaggio da leggere
Allegato(i)
Rugilus rufipes (Germar, 1836) - Staphylinidae - Lazio (Marcigliana)

9.IV.2010 - ITALIA - Lazio - RM
Coleoptera

Julodis

4

362

29/04/2010, 20:05

Daniele Sechi Vedi ultimo messaggio

Nessun messaggio da leggere
Allegato(i)
Euconnus (Cladoconnus) sp. ♀ - Staphylinidae Scydmeninae - Casalecchio (BO)

III.2010 - ITALIA - Emilia-Romagna - BO
Coleoptera

Loriscola

2

539

06/04/2010, 20:41

Glaphyrus Vedi ultimo messaggio

Nessun messaggio da leggere
Eutheia sp. - Staphylinidae Scydmeninae - Monteveglio (BO)
III.2010 - ITALIA - Emilia-Romagna - BO
Allegato(i)
Eutheia sp. - Staphylinidae Scydmeninae - Monteveglio (BO)

III.2010 - ITALIA - Emilia-Romagna - BO
Coleoptera

Loriscola

2

437

06/04/2010, 12:23

pedux Vedi ultimo messaggio

Nessun messaggio da leggere
Metopsia clypeata (Müller, 1821) - Staphilinidae - Lazio
19.III.2010 - ITALIA - Lazio - RM
Allegato(i)
Metopsia clypeata (Müller, 1821) - Staphilinidae - Lazio

19.III.2010 - ITALIA - Lazio - RM
Coleoptera

Julodis

11

884

29/03/2010, 12:40

Glaphyrus Vedi ultimo messaggio

Nessun messaggio da leggere
Staphylinidae - Lazio (Fiano)
15.III.2010 - ITALIA - Lazio - RM
Allegato(i)
Staphylinidae - Lazio (Fiano)

15.III.2010 - ITALIA - Lazio - RM
Coleoptera

Julodis

1

332

22/03/2010, 12:20

pedux Vedi ultimo messaggio

Nessun messaggio da leggere
Xantholinus sp. - Staphylinidae
VI.1997 - ITALIA - Marche - PU
Allegato(i)
Xantholinus sp. - Staphylinidae

VI.1997 - ITALIA - Marche - PU
Coleoptera

marco paglialunga

5

530

10/03/2010, 22:11

Liptaster Vedi ultimo messaggio

Nessun messaggio da leggere
Staphylinidae Micropeplinae - Lazio
6.III.2010 - ITALIA - Lazio - RM
Allegato(i)
Staphylinidae Micropeplinae - Lazio

6.III.2010 - ITALIA - Lazio - RM
Coleoptera

Julodis

0

308

10/03/2010, 2:45

Julodis Vedi ultimo messaggio

Nessun messaggio da leggere
Staphylinidae - Lazio: San Vittorino
6.III.2010 - ITALIA - Lazio - RM
Allegato(i)
Staphylinidae - Lazio: San Vittorino

6.III.2010 - ITALIA - Lazio - RM
Coleoptera

Julodis

0

286

09/03/2010, 1:28

Julodis Vedi ultimo messaggio

Nessun messaggio da leggere
Staphylinidae 04 - Lazio
7.III.2010 - ITALIA - Lazio - FR
Allegato(i)
Staphylinidae 04 - Lazio

7.III.2010 - ITALIA - Lazio - FR
Coleoptera

Julodis

0

290

08/03/2010, 9:43

Julodis Vedi ultimo messaggio

Nessun messaggio da leggere
Staphylinidae 03 - Lazio
7.III.2010 - ITALIA - Lazio - FR
Allegato(i)
Staphylinidae 03 - Lazio

7.III.2010 - ITALIA - Lazio - FR
Coleoptera

Julodis

0

271

08/03/2010, 9:40

Julodis Vedi ultimo messaggio

Nessun messaggio da leggere
Staphylinidae 01 - Lazio
7.III.2010 - ITALIA - Lazio - FR
Allegato(i)
Staphylinidae 01 - Lazio

7.III.2010 - ITALIA - Lazio - FR
Coleoptera

Julodis

0

311

08/03/2010, 9:37

Julodis Vedi ultimo messaggio

Nessun messaggio da leggere
Quedius sp. - Staphylinidae
X.1995 - ITALIA - Umbria - PG
Allegato(i)
Quedius sp. - Staphylinidae

X.1995 - ITALIA - Umbria - PG
Coleoptera

marco paglialunga

4

608

06/03/2010, 23:56

Liptaster Vedi ultimo messaggio

Nessun messaggio da leggere
Quedius sp. - Staphylinidae
X.1997 - ITALIA - Marche - PU
Allegato(i)
Quedius sp. - Staphylinidae

X.1997 - ITALIA - Marche - PU
Coleoptera

marco paglialunga

3

503

06/03/2010, 23:54

Liptaster Vedi ultimo messaggio

Nessun messaggio da leggere
Staphylinidae Tachyporinae - Lazio - n°2
25.II.2010 - ITALIA - Lazio - RM
Allegato(i)
Staphylinidae Tachyporinae - Lazio - n°2

25.II.2010 - ITALIA - Lazio - RM
Coleoptera

Julodis

0

259

28/02/2010, 23:28

Julodis Vedi ultimo messaggio

Nessun messaggio da leggere
Staphylinidae Tachyporinae - Lazio
25.II.2010 - ITALIA - Lazio - RM
Allegato(i)
Staphylinidae Tachyporinae - Lazio

25.II.2010 - ITALIA - Lazio - RM
Coleoptera

Julodis

0

240

28/02/2010, 23:24

Julodis Vedi ultimo messaggio

Nessun messaggio da leggere
Allegato(i)
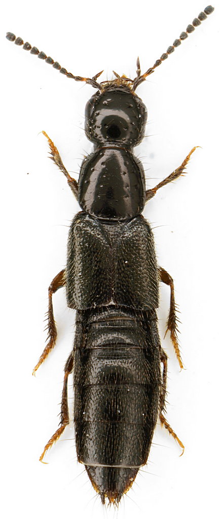
Rugilus (Rugilus) cf. subtilis (Erichson 1840) - Staphylinidae

VIII.1995 - ITALIA - Toscana - FI
Coleoptera

marco paglialunga

4

656

10/02/2010, 13:19

pierone950 Vedi ultimo messaggio

Visualizza ultimi argomenti:  Ordina per  Ordine:  
nuovo argomento
Vai alla pagina Precedente  1 ... 8, 9, 10, 11, 12
Pagina 12 di 12 [ 572 argomenti ]

Tutti gli orari sono UTC + 1 ora [ ora legale ]


Chi c’è in linea

Visitano il forum: Nessuno e 1 ospite


Legenda
Messaggi da leggere Messaggi da leggere Nessun messaggio da leggere Nessun messaggio da leggere Annuncio Annuncio
 
Specie indeterminata / discussione generica
Messaggi non letti [ Popolari ] Messaggi non letti [ Popolari ] Nessun messaggio da leggere [ Popolare ] Nessun messaggio da leggere [ Popolare ] Importante Importante
 
Specie determinata fino al genere o cf.
Messaggi non letti [ Bloccati ] Messaggi non letti [ Bloccati ] No messaggi non letti [ Bloccati ] No messaggi non letti [ Bloccati ] Argomento spostato Argomento spostato
 
Specie correttamente determinata
Permessi
Non puoi aprire nuovi argomenti
Non puoi rispondere negli argomenti
Non puoi modificare i tuoi messaggi
Non puoi cancellare i tuoi messaggi
Non puoi inviare allegati

Cerca per:
Vai a: