Benvenuto Ospite

Forum Entomologi Italiani

www.entomologiitaliani.net/forum
 
Oggi è 11/11/2025, 13:14

Tutti gli orari sono UTC + 1 ora [ ora legale ]

 Forum   Argomenti   Messaggi   Ultimo messaggio 
Nessun messaggio da leggere
Filtro località
Staphylinidae indeterminati

637

2554

07/10/2025, 9:15

mascalzonepadano Vedi ultimo messaggio

Nessun messaggio da leggere
Filtro località
Staphylinidae Pselaphinae

427

2216

29/05/2025, 15:52

Daniele Sechi Vedi ultimo messaggio

Nessun messaggio da leggere
Filtro località
Staphylinidae Scydmaeninae

162

1018

25/10/2025, 23:15

marco villa Vedi ultimo messaggio



Staphylinidae


[ AFROTROPICALE ] [ ANTARTICO ] [ AUSTRALASIANO ] [ NEARTICO ] [ NEOTROPICALE ] [ ORIENTALE ] [ PALEARTICO ]


nuovo argomento
Vai alla pagina Precedente  1, 2, 3, 4, 5, 6 ... 23  Prossimo
Pagina 3 di 23 [ 1126 argomenti ]
 Argomenti   Ordine   Autore   Risposte   Visite    Ultimo messaggio 
Annunci
Nessun messaggio da leggere
Allegato(i)
Incontri entomologici telematici organizzati dalla Società Entomologica Italiana nel 2022 e nel 2023

[ Vai alla paginaVai alla pagina: 1, 2, 3 ]

 

Velvet Ant

44

1433535

03/03/2023, 15:55

Velvet Ant Vedi ultimo messaggio

Nessun messaggio da leggere  
Allegato(i)
Sondaggio sul declino dell'entomofauna in Italia

[ Vai alla paginaVai alla pagina: 1, 2, 3, 4 ]

 

Velvet Ant

52

1761906

22/10/2022, 19:18

Acquarius Vedi ultimo messaggio

Nessun messaggio da leggere  
Allegato(i)
Progetto: Bibliografia ragionata dei lavori entomologici nei quali sono citati reperti apparsi su FEI

[ Vai alla paginaVai alla pagina: 1, 2, 3 ]

 

Velvet Ant

33

1173492

06/07/2023, 18:31

Orotrechus Vedi ultimo messaggio

Nessun messaggio da leggere
Allegato(i)
Mimesi, il primo documentario cinematografico sull’entomologia in Italia: casting
 

mazzeip

1

458096

28/02/2019, 20:26

mazzeip Vedi ultimo messaggio

Questo argomento è bloccato, non puoi modificare o inviare ulteriori messaggi.
Allegato(i)
ISTRUZIONI PUBBLICAZIONE NUOVI ARGOMENTI E FOTO

 
Altri Ordini di Insetti

Julodis

4

929322

13/05/2015, 19:37

Julodis Vedi ultimo messaggio

Nessun messaggio da leggere
Allegato(i)
Limitatore giornaliero di messaggi, uno strumento utile e ormai indispensabile

[ Vai alla paginaVai alla pagina: 1 ... 14, 15, 16 ]

 

Velvet Ant

233

8851799

25/09/2014, 14:31

Inachis Vedi ultimo messaggio

Nessun messaggio da leggere  
NORME PER I COLLABORATORI DEL FORUM

 
 

Velvet Ant

0

479180

02/06/2011, 12:05

Velvet Ant Vedi ultimo messaggio

Nessun messaggio da leggere
Allegato(i)
NORME PER GLI UTENTI DEL FORUM

[ Vai alla paginaVai alla pagina: 1, 2, 3 ]



 
 

Velvet Ant

30

2348693

23/09/2014, 23:54

Maurizio Bollino Vedi ultimo messaggio

Nessun messaggio da leggere  
Lista degli utenti del "Forum entomologi italiani" per campi di interesse e specializzazione

 
Altri Ordini di Insetti

Velvet Ant

13

945565

07/09/2023, 17:14

Roberto-07 Vedi ultimo messaggio

Argomenti
Nessun messaggio da leggere
Allegato(i)
Bledius (Euceratobledius) furcatus (Olivier, 1811) - Staphylinidae

10.X.2020 - ITALIA - Sardegna - CI
Coleoptera

Adriana49

6

544

15/04/2022, 19:32

Honza Vedi ultimo messaggio

Nessun messaggio da leggere
Astenus (Astenus) lyonessius (Joy, 1908) - Staphylinidae
4.IV.2022 - ITALIA - Lombardia - CO
Allegato(i)
Astenus (Astenus) lyonessius (Joy, 1908) - Staphylinidae

4.IV.2022 - ITALIA - Lombardia - CO
Coleoptera

fasmidi

5

430

15/04/2022, 17:53

fasmidi Vedi ultimo messaggio

Nessun messaggio da leggere
Allegato(i)
Ocypus (Pseudocypus) fortunatarum Wollaston, 1871 (cf.) - Staphylinidae

9.IV.2022 - ITALIA - Sicilia - TP
Coleoptera

angelo.ditta

4

453

11/04/2022, 20:02

angelo.ditta Vedi ultimo messaggio

Nessun messaggio da leggere
Allegato(i)
Atanygnathus varicornis (Wollaston, 1867) - Staphylinidae

4.IX.2021 - FRANCIA - EE
Coleoptera

Sybaguasu

3

489

13/02/2022, 22:40

Sybaguasu Vedi ultimo messaggio

Nessun messaggio da leggere
Allegato(i)
Hypomedon debilicornis (Wollaston, 1857) - Staphylinidae Paederinae Paederini Medonina

28.X.2013 - ITALIA - Emilia-Romagna - FE
Coleoptera

Daniele Maccapani

4

732

13/02/2022, 15:47

Honza Vedi ultimo messaggio

Nessun messaggio da leggere
Allegato(i)
Bolitochara bella Märkel, 1844 cf. - Staphylinidae

13.X.2014 - BULGARIA - EE
Coleoptera

Joro

1

454

13/02/2022, 15:32

AetherisIgnis Vedi ultimo messaggio

Nessun messaggio da leggere
Leucitus sp. - Staphylinidae
26.XII.2014 - INDONESIA - EST - EE
Allegato(i)
Leucitus sp. - Staphylinidae

26.XII.2014 - INDONESIA - EST - EE
Coleoptera

Carlo A.

6

1083

13/02/2022, 15:32

Honza Vedi ultimo messaggio

Nessun messaggio da leggere
Lesteva (s. str.) - Staphylinidae
5.V.2011 - ITALIA - Toscana - MS
Allegato(i)
Lesteva (s. str.) - Staphylinidae

5.V.2011 - ITALIA - Toscana - MS
Coleoptera

Valerio

2

981

13/02/2022, 15:28

AetherisIgnis Vedi ultimo messaggio

Nessun messaggio da leggere
Allegato(i)
Lomechusa emarginata (Paykull, 1789) - Staphylinidae Aleocharinae Myrmedoniini

9.V.2014 - ROMANIA - EE
Coleoptera

cosmln

0

403

16/01/2022, 13:41

cosmln Vedi ultimo messaggio

Nessun messaggio da leggere
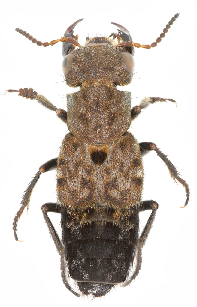
Dinothenarus pubescens (De Geer, 1774) - Staphylinidae
14.XI.2021 - ITALIA - Marche - MC
Allegato(i)
Dinothenarus pubescens (De Geer, 1774) - Staphylinidae

14.XI.2021 - ITALIA - Marche - MC
Coleoptera

StagBeetle

4

454

16/12/2021, 14:22

StagBeetle Vedi ultimo messaggio

Nessun messaggio da leggere
Ocypus (Ocypus) ophthalmicus (Scopoli, 1763) - Staphylinidae
25.III.2001 - ITALIA - Marche - MC
Allegato(i)
Ocypus (Ocypus) ophthalmicus (Scopoli, 1763) - Staphylinidae

25.III.2001 - ITALIA - Marche - MC
Coleoptera

StagBeetle

2

401

15/12/2021, 9:59

marco villa Vedi ultimo messaggio

Nessun messaggio da leggere
Othius punctulatus (Goeze, 1777) - Staphylinide
10.XII.2021 - ITALIA - Lazio - RM
Allegato(i)
Othius punctulatus (Goeze, 1777) - Staphylinide

10.XII.2021 - ITALIA - Lazio - RM
Coleoptera

wgliinsetti

2

305

13/12/2021, 18:31

wgliinsetti Vedi ultimo messaggio

Nessun messaggio da leggere
Othius laeviusculus Stephens, 1832 - Staphylinidae
23.XI.2021 - ITALIA - Sardegna - SS
Allegato(i)
Othius laeviusculus Stephens, 1832 - Staphylinidae

23.XI.2021 - ITALIA - Sardegna - SS
Coleoptera

Pietro Niolu

3

351

26/11/2021, 23:34

Pietro Niolu Vedi ultimo messaggio

Nessun messaggio da leggere
Quedius (Raphirus) semiobscurus Marsham, 1802 - Staphylinidae
20.XI.2021 - ITALIA - Sardegna - SS
Allegato(i)
Quedius (Raphirus) semiobscurus Marsham, 1802 - Staphylinidae

20.XI.2021 - ITALIA - Sardegna - SS
Coleoptera

Pietro Niolu

9

601

23/11/2021, 19:34

Pietro Niolu Vedi ultimo messaggio

Nessun messaggio da leggere
Stenus (Hemistenus) aceris Stephens, 1833 - Staphylinidae
17.XI.2021 - ITALIA - Sardegna - SS
Allegato(i)
Stenus (Hemistenus) aceris Stephens, 1833 - Staphylinidae

17.XI.2021 - ITALIA - Sardegna - SS
Coleoptera

Pietro Niolu

2

414

19/11/2021, 19:07

Pietro Niolu Vedi ultimo messaggio

Nessun messaggio da leggere
Allegato(i)
Othius laeviusculus Stephens, 1832 - Staphylinidae Xantholinae

1.IX.2019 - ITALIA - Marche - PU
Coleoptera

marco paglialunga

2

410

13/11/2021, 11:11

marco paglialunga Vedi ultimo messaggio

Nessun messaggio da leggere
Allegato(i)
Oxypoda (Deropoda) extensiceps Assing, 2010 - Staphyilinidae - Lazio

27.IV.2009 - ITALIA - Lazio - FR
Coleoptera

Notoxus59

6

1168

13/11/2021, 10:29

AetherisIgnis Vedi ultimo messaggio

Nessun messaggio da leggere
Allegato(i)
Achenium (Achenium) depressum (Gravenhorst, 1802) - Staphylinidae

20.II.2020 - ITALIA - Toscana - GR
Coleoptera

Apoderus

5

1906

30/10/2021, 10:20

Apoderus Vedi ultimo messaggio

Nessun messaggio da leggere
Ocypus (Pseudocypus) sericeicollis Menetries, 1832 - Staphylinidae
23.X.2021 - ITALIA - Emilia-Romagna - BO
Allegato(i)
Ocypus (Pseudocypus) sericeicollis Menetries, 1832 - Staphylinidae

23.X.2021 - ITALIA - Emilia-Romagna - BO
Coleoptera

Mammut

2

423

25/10/2021, 9:49

Mammut Vedi ultimo messaggio

Nessun messaggio da leggere
Phloeostiba plana (Paykull, 1792) - Staphylinidae
11.X.2021 - ITALIA - Friuli-Venezia Giulia - UD
Allegato(i)
Phloeostiba plana (Paykull, 1792) - Staphylinidae

11.X.2021 - ITALIA - Friuli-Venezia Giulia - UD
Coleoptera

Simox

2

359

22/10/2021, 19:02

Simox Vedi ultimo messaggio

Nessun messaggio da leggere
Allegato(i)
Anthophagus (Phaganthus) scutellaris (Erichson, 1840) - Staphylinidae

21.VIII.2021 - ITALIA - Lazio - RM
Coleoptera

wgliinsetti

12

854

20/10/2021, 19:06

wgliinsetti Vedi ultimo messaggio

Nessun messaggio da leggere
Ocypus (Ocypus) olens (O. Muller, 1764) - Staphylinidae
24.IX.2019 - ITALIA - Lazio - RM
Allegato(i)
Ocypus (Ocypus) olens (O. Muller, 1764) - Staphylinidae

24.IX.2019 - ITALIA - Lazio - RM
Coleoptera

soken

2

454

18/10/2021, 15:40

soken Vedi ultimo messaggio

Nessun messaggio da leggere
Megalinus hesperius Erichson, 1839 - Staphylinidae
25.IX.2019 - ITALIA - Sardegna - CA
Allegato(i)
Megalinus hesperius Erichson, 1839 - Staphylinidae

25.IX.2019 - ITALIA - Sardegna - CA
Coleoptera

Honza

2

530

13/10/2021, 19:21

Honza Vedi ultimo messaggio

Nessun messaggio da leggere
Phacophalus japonicus Cameron, 1933 - Staphylinidae
16.IV.2018 - ITALIA - Sardegna - CA
Allegato(i)
Phacophalus japonicus Cameron, 1933 - Staphylinidae

16.IV.2018 - ITALIA - Sardegna - CA
Coleoptera

Honza

0

434

13/10/2021, 12:22

Honza Vedi ultimo messaggio

Nessun messaggio da leggere
Allegato(i)
Micropeplus porcatus Paykull, 1789 - Staphylinidae

5.I.2017 - GRECIA - EE
Coleoptera

strepens

0

337

13/10/2021, 9:42

strepens Vedi ultimo messaggio

Nessun messaggio da leggere
Allegato(i)
Arrhenopeplus thracicus (Coiffait, 1958) - Staphylinidae Micropeplinae

11.X.2021 - GRECIA - EE
Coleoptera

strepens

5

667

12/10/2021, 20:50

strepens Vedi ultimo messaggio

Nessun messaggio da leggere
Allegato(i)
Ocypus (Matidus) brunnipes (Fabricius, 1781) (cf.) - Staphylinidae

18.IX.2021 - AUSTRIA - EE
Coleoptera

Isidro

2

373

12/10/2021, 17:33

Isidro Vedi ultimo messaggio

Nessun messaggio da leggere
Allegato(i)
Leptusa (Pachygluta) ruficollis (Erichson, 1839) - Staphylinidae

17.VIII.2021 - ITALIA - Lazio - RM
Coleoptera

wgliinsetti

4

596

08/10/2021, 15:28

wgliinsetti Vedi ultimo messaggio

Nessun messaggio da leggere
Allegato(i)
Leptusa (Pachygluta) ruficollis (Erichson, 1839) - Staphylinidae

21.VIII.2021 - ITALIA - Lazio - RM
Coleoptera

wgliinsetti

7

596

08/10/2021, 11:51

wgliinsetti Vedi ultimo messaggio

Nessun messaggio da leggere
Allegato(i)
Tachyporus (Tachyporus) hypnorum (Fabricius, 1775) - Staphylinidae

21.VIII.2021 - ITALIA - Lazio - RM
Coleoptera

wgliinsetti

2

430

05/10/2021, 11:56

wgliinsetti Vedi ultimo messaggio

Nessun messaggio da leggere
Allegato(i)
Tasgius (Rayacheila) morsitans (Rossi, 1790) - Staphylinidae

24.IX.2019 - ITALIA - Lazio - RM
Coleoptera

soken

2

459

04/10/2021, 11:36

soken Vedi ultimo messaggio

Nessun messaggio da leggere
Allegato(i)
Platydracus (Platydracus) stercorarius (Olivier, 1795) - Staphylinidae

24.IX.2019 - ITALIA - Lazio - RM
Coleoptera

soken

10

1063

02/10/2021, 18:31

soken Vedi ultimo messaggio

Nessun messaggio da leggere
Allegato(i)
Cyrtotyphlus convexus Dodero, 1900 - Staphylinidae Leptotyphlinae Entomoculini

IV.2021 - ITALIA - Emilia-Romagna - RA
Coleoptera

marco villa

0

497

02/10/2021, 15:30

marco villa Vedi ultimo messaggio

Nessun messaggio da leggere
Allegato(i)
Gyrohypnus (Gyrohypnus) punctulatus (Paykull, 1789) - Staphylinidae

20.VIII.2021 - ITALIA - Lazio - RM
Coleoptera

wgliinsetti

4

475

28/09/2021, 16:13

wgliinsetti Vedi ultimo messaggio

Nessun messaggio da leggere
Allegato(i)
Aleochara (Xenochara) lanuginosa Gravenhorst, 1802 - Staphylinidae, Aleocharinae

19.VIII.2021 - ITALIA - Lazio - RM
Coleoptera

wgliinsetti

13

1281

28/09/2021, 16:03

wgliinsetti Vedi ultimo messaggio

Nessun messaggio da leggere
Allegato(i)
Philonthus (Philonthus) cruentatus (Gmelin, 1789) - Staphylinidae

19.VIII.2021 - ITALIA - Lazio - RM
Coleoptera

wgliinsetti

2

346

28/09/2021, 13:35

wgliinsetti Vedi ultimo messaggio

Nessun messaggio da leggere
Tachyporus abner Saulcy, 1864 - Staphylinidae
19.VIII.2021 - ITALIA - Lazio - RM
Allegato(i)
Tachyporus abner Saulcy, 1864 - Staphylinidae

19.VIII.2021 - ITALIA - Lazio - RM
Coleoptera

wgliinsetti

6

556

23/09/2021, 15:14

wgliinsetti Vedi ultimo messaggio

Nessun messaggio da leggere
Allegato(i)
Platydracus (Platydracus) fulvipes (Scopoli, 1763) (cf.) - Staphylinidae

14.IX.2021 - ITALIA - Veneto - VE
Coleoptera

Lorenzo Zanella

6

607

16/09/2021, 13:17

Lorenzo Zanella Vedi ultimo messaggio

Nessun messaggio da leggere
Oxytelus (Oxytelus) piceus (Linnaeus, 1767) - Staphylinidae
17.VIII.2021 - ITALIA - Lazio - RM
Allegato(i)
Oxytelus (Oxytelus) piceus (Linnaeus, 1767) - Staphylinidae

17.VIII.2021 - ITALIA - Lazio - RM
Coleoptera

wgliinsetti

2

401

15/09/2021, 6:36

wgliinsetti Vedi ultimo messaggio

Nessun messaggio da leggere
Ontholestes murinus (Linnaeus, 1758) - Staphylinidae
20.VIII.2021 - ITALIA - Lazio - RM
Allegato(i)
Ontholestes murinus (Linnaeus, 1758) - Staphylinidae

20.VIII.2021 - ITALIA - Lazio - RM
Coleoptera

wgliinsetti

2

443

08/09/2021, 19:02

wgliinsetti Vedi ultimo messaggio

Nessun messaggio da leggere
Thamiaraea hospita (Märkel, 1844) - Staphylinidae
2.VII.2021 - ITALIA - Toscana - PI
Allegato(i)
Thamiaraea hospita (Märkel, 1844) - Staphylinidae

2.VII.2021 - ITALIA - Toscana - PI
Coleoptera

soken

11

1046

06/09/2021, 10:07

soken Vedi ultimo messaggio

Nessun messaggio da leggere
Allegato(i)
Platydracus (Platydracus) stercorarius fuscofemoratus (J. Muller, 1923) - Staphylinidae

19.VIII.2021 - ITALIA - Lazio - RM
Coleoptera

wgliinsetti

4

581

02/09/2021, 15:48

wgliinsetti Vedi ultimo messaggio

Nessun messaggio da leggere
Ocypus (Matidus) italicus (Aragona, 1830) - Staphylinidae
18.VIII.2021 - ITALIA - Lazio - RM
Allegato(i)
Ocypus (Matidus) italicus (Aragona, 1830) - Staphylinidae

18.VIII.2021 - ITALIA - Lazio - RM
Coleoptera

wgliinsetti

2

411

28/08/2021, 14:59

wgliinsetti Vedi ultimo messaggio

Nessun messaggio da leggere
Othius punctulatus (Goeze, 1777) (cf.) - Staphylinidae
5.VIII.2021 - ITALIA - Lazio - RM
Allegato(i)
Othius punctulatus (Goeze, 1777) (cf.) - Staphylinidae

5.VIII.2021 - ITALIA - Lazio - RM
Coleoptera

soken

0

296

26/08/2021, 0:21

soken Vedi ultimo messaggio

Nessun messaggio da leggere
Allegato(i)
Quedius (Raphirus) picipes (Mannerheim, 1830) - Staphylinidae

VIII.2021 - ITALIA - Lazio - RM
Coleoptera

wgliinsetti

6

467

24/08/2021, 17:43

wgliinsetti Vedi ultimo messaggio

Nessun messaggio da leggere
Allegato(i)
Dianous coerulescens coerulescens (Gyllenhal, 1810) - Staphylinidae, Steninae

12.VII.2021 - ITALIA - Piemonte - BI
Coleoptera

Notoxus59

3

588

18/07/2021, 13:18

Notoxus59 Vedi ultimo messaggio

Nessun messaggio da leggere
Gauropterus fulgidus (Fabricius, 1787) - Staphylinidae
4.VII.2021 - ITALIA - Lazio - RM
Allegato(i)
Gauropterus fulgidus (Fabricius, 1787) - Staphylinidae

4.VII.2021 - ITALIA - Lazio - RM
Coleoptera

karato

6

661

04/07/2021, 18:06

karato Vedi ultimo messaggio

Nessun messaggio da leggere
Atrecus affinis (Paykull, 1789)
10.IX.2020 - ITALIA - Piemonte - TO
Allegato(i)
Atrecus affinis (Paykull, 1789)

10.IX.2020 - ITALIA - Piemonte - TO
Coleoptera

37formichine

1

518

22/06/2021, 22:26

37formichine Vedi ultimo messaggio

Nessun messaggio da leggere
Ocypus (Ocypus) rhaeticus Eppelsheim, 1873 - Staphylinidae
15.VI.2021 - ITALIA - Lombardia - SO
Allegato(i)
Ocypus (Ocypus) rhaeticus Eppelsheim, 1873 - Staphylinidae

15.VI.2021 - ITALIA - Lombardia - SO
Coleoptera

Giuseppe

2

438

17/06/2021, 13:35

Giuseppe Vedi ultimo messaggio

Nessun messaggio da leggere
Ocypus (Matidus) nitens (Schrank, 1781) - Staphylinidae
23.IV.2021 - ITALIA - Lazio - RM
Allegato(i)
Ocypus (Matidus) nitens (Schrank, 1781) - Staphylinidae

23.IV.2021 - ITALIA - Lazio - RM
Coleoptera

wgliinsetti

2

433

12/05/2021, 21:28

wgliinsetti Vedi ultimo messaggio

Visualizza ultimi argomenti:  Ordina per  Ordine:  
nuovo argomento
Vai alla pagina Precedente  1, 2, 3, 4, 5, 6 ... 23  Prossimo
Pagina 3 di 23 [ 1126 argomenti ]

Tutti gli orari sono UTC + 1 ora [ ora legale ]


Chi c’è in linea

Visitano il forum: Nessuno e 2 ospiti


Legenda
Messaggi da leggere Messaggi da leggere Nessun messaggio da leggere Nessun messaggio da leggere Annuncio Annuncio
 
Specie indeterminata / discussione generica
Messaggi non letti [ Popolari ] Messaggi non letti [ Popolari ] Nessun messaggio da leggere [ Popolare ] Nessun messaggio da leggere [ Popolare ] Importante Importante
 
Specie determinata fino al genere o cf.
Messaggi non letti [ Bloccati ] Messaggi non letti [ Bloccati ] No messaggi non letti [ Bloccati ] No messaggi non letti [ Bloccati ] Argomento spostato Argomento spostato
 
Specie correttamente determinata
Permessi
Non puoi aprire nuovi argomenti
Non puoi rispondere negli argomenti
Non puoi modificare i tuoi messaggi
Non puoi cancellare i tuoi messaggi
Non puoi inviare allegati

Cerca per:
Vai a: