Benvenuto Ospite

Forum Entomologi Italiani

www.entomologiitaliani.net/forum
 
Oggi è 03/11/2025, 7:32

Tutti gli orari sono UTC + 1 ora [ ora legale ]

Staphylinidae indeterminati


[ AFROTROPICALE ] [ ANTARTICO ] [ AUSTRALASIANO ] [ NEARTICO ] [ NEOTROPICALE ] [ ORIENTALE ] [ PALEARTICO ]


nuovo argomento
Vai alla pagina Precedente  1 ... 7, 8, 9, 10, 11, 12, 13  Prossimo
Pagina 10 di 13 [ 636 argomenti ]
 Argomenti   Ordine   Autore   Risposte   Visite    Ultimo messaggio 
Annunci
Nessun messaggio da leggere
Allegato(i)
Incontri entomologici telematici organizzati dalla Società Entomologica Italiana nel 2022 e nel 2023

[ Vai alla paginaVai alla pagina: 1, 2, 3 ]

 

Velvet Ant

44

1401541

03/03/2023, 15:55

Velvet Ant Vedi ultimo messaggio

Nessun messaggio da leggere  
Allegato(i)
Sondaggio sul declino dell'entomofauna in Italia

[ Vai alla paginaVai alla pagina: 1, 2, 3, 4 ]

 

Velvet Ant

52

1725906

22/10/2022, 19:18

Acquarius Vedi ultimo messaggio

Nessun messaggio da leggere  
Allegato(i)
Progetto: Bibliografia ragionata dei lavori entomologici nei quali sono citati reperti apparsi su FEI

[ Vai alla paginaVai alla pagina: 1, 2, 3 ]

 

Velvet Ant

33

1148978

06/07/2023, 18:31

Orotrechus Vedi ultimo messaggio

Nessun messaggio da leggere
Allegato(i)
Mimesi, il primo documentario cinematografico sull’entomologia in Italia: casting
 

mazzeip

1

453022

28/02/2019, 20:26

mazzeip Vedi ultimo messaggio

Questo argomento è bloccato, non puoi modificare o inviare ulteriori messaggi.
Allegato(i)
ISTRUZIONI PUBBLICAZIONE NUOVI ARGOMENTI E FOTO

 
Altri Ordini di Insetti

Julodis

4

861590

13/05/2015, 19:37

Julodis Vedi ultimo messaggio

Nessun messaggio da leggere
Allegato(i)
Limitatore giornaliero di messaggi, uno strumento utile e ormai indispensabile

[ Vai alla paginaVai alla pagina: 1 ... 14, 15, 16 ]

 

Velvet Ant

233

8704683

25/09/2014, 14:31

Inachis Vedi ultimo messaggio

Nessun messaggio da leggere  
NORME PER I COLLABORATORI DEL FORUM

 
 

Velvet Ant

0

476248

02/06/2011, 12:05

Velvet Ant Vedi ultimo messaggio

Nessun messaggio da leggere
Allegato(i)
NORME PER GLI UTENTI DEL FORUM

[ Vai alla paginaVai alla pagina: 1, 2, 3 ]



 
 

Velvet Ant

30

2326039

23/09/2014, 23:54

Maurizio Bollino Vedi ultimo messaggio

Nessun messaggio da leggere  
Lista degli utenti del "Forum entomologi italiani" per campi di interesse e specializzazione

 
Altri Ordini di Insetti

Velvet Ant

13

935204

07/09/2023, 17:14

Roberto-07 Vedi ultimo messaggio

Argomenti
Nessun messaggio da leggere
Allegato(i)
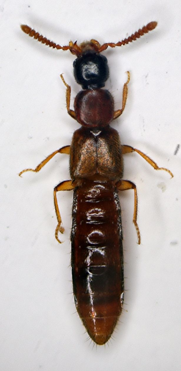
Vulda (Typhlodes) italica (Sharp, 1873) (cf.) - Staphylinidae

29.XII.2011 - ITALIA - Lazio - RM
Coleoptera

Fabio Turchetti

13

940

26/01/2012, 9:36

marco paglialunga Vedi ultimo messaggio

Nessun messaggio da leggere
Platydomene sp.
29.IV.2008 - ITALIA - Calabria - CS
Allegato(i)
Platydomene sp.

29.IV.2008 - ITALIA - Calabria - CS
Coleoptera

marion

0

515

24/01/2012, 17:39

marion Vedi ultimo messaggio

Nessun messaggio da leggere
Lathrobium sp. - Staphylinidae
10.I.2012 - ITALIA - Lombardia - MN
Allegato(i)
Lathrobium sp. - Staphylinidae

10.I.2012 - ITALIA - Lombardia - MN
Coleoptera

MAPKOΣ

5

985

16/01/2012, 23:42

MAPKOΣ Vedi ultimo messaggio

Nessun messaggio da leggere
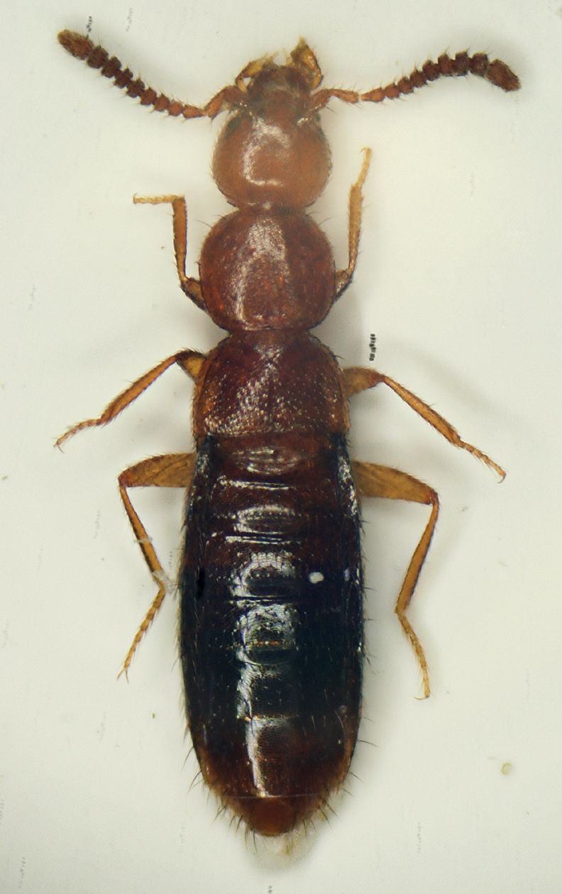
Gauropterus fulgidus (Fabricius 1787) cf. - Staphylinidae
11.I.2012 - ITALIA - Veneto - RO
Allegato(i)
Gauropterus fulgidus (Fabricius 1787) cf. - Staphylinidae

11.I.2012 - ITALIA - Veneto - RO
Coleoptera

Umbro

2

383

13/01/2012, 18:27

Umbro Vedi ultimo messaggio

Nessun messaggio da leggere
Ocypus sp. - Staphylinidae
17.VII.2010 - SPAGNA - EE
Allegato(i)
Ocypus sp. - Staphylinidae

17.VII.2010 - SPAGNA - EE
Coleoptera

Isidro

4

447

13/01/2012, 17:56

Isidro Vedi ultimo messaggio

Nessun messaggio da leggere
Lathrobium sp. - Staphylinidae
7.I.2012 - ITALIA - Toscana - GR
Allegato(i)
Lathrobium sp. - Staphylinidae

7.I.2012 - ITALIA - Toscana - GR
Coleoptera

hypotyphlus

2

438

11/01/2012, 22:33

hypotyphlus Vedi ultimo messaggio

Nessun messaggio da leggere
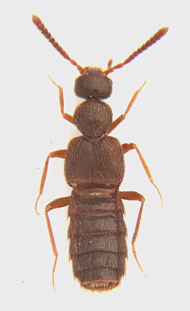
Planeustomus sp. - Staphylinidae
31.XII.2011 - ITALIA - Emilia-Romagna - BO
Allegato(i)
Planeustomus sp. - Staphylinidae

31.XII.2011 - ITALIA - Emilia-Romagna - BO
Coleoptera

Loriscola

8

715

10/01/2012, 11:12

Loriscola Vedi ultimo messaggio

Nessun messaggio da leggere
Lordithon sp. (cfr.) - Staphylinidae Tachyporinae
7.I.2012 - ITALIA - Sardegna - CA
Allegato(i)
Lordithon sp. (cfr.) - Staphylinidae Tachyporinae

7.I.2012 - ITALIA - Sardegna - CA
Coleoptera

Fumea crassiorella

2

331

07/01/2012, 23:37

Fumea crassiorella Vedi ultimo messaggio

Nessun messaggio da leggere
Scaphisoma sp. - Staphylinidae Scaphidiinae
6.I.2012 - ITALIA - Toscana - GR
Allegato(i)
Scaphisoma sp. - Staphylinidae Scaphidiinae

6.I.2012 - ITALIA - Toscana - GR
Coleoptera

hypotyphlus

4

442

07/01/2012, 11:13

hypotyphlus Vedi ultimo messaggio

Nessun messaggio da leggere
Leptusa sp. - Staphylinidae Aleocharinae Bolitocharini
1.I.2012 - ITALIA - Emilia-Romagna - BO
Allegato(i)
Leptusa sp. - Staphylinidae Aleocharinae Bolitocharini

1.I.2012 - ITALIA - Emilia-Romagna - BO
Coleoptera

Loriscola

3

412

05/01/2012, 10:36

Honza Vedi ultimo messaggio

Nessun messaggio da leggere
Stafilinide da vaglio 2 - Staphylinidae
1.I.2012 - ITALIA - Emilia-Romagna - BO
Allegato(i)
Stafilinide da vaglio 2 - Staphylinidae

1.I.2012 - ITALIA - Emilia-Romagna - BO
Coleoptera

Loriscola

0

285

03/01/2012, 22:58

Loriscola Vedi ultimo messaggio

Nessun messaggio da leggere
Eusphalerum sp. - Staphylinidae Omaliinae Eusphalerini
13.VI.2009 - ITALIA - Trentino-Alto Adige - BZ
Allegato(i)
Eusphalerum sp. - Staphylinidae Omaliinae Eusphalerini

13.VI.2009 - ITALIA - Trentino-Alto Adige - BZ
Coleoptera

aug

4

468

28/12/2011, 18:04

aug Vedi ultimo messaggio

Nessun messaggio da leggere
Scotonomus sp. - Staphylinidae Paederinae
11.XII.1993 - ITALIA - Sardegna - SS
Allegato(i)
Scotonomus sp. - Staphylinidae Paederinae

11.XII.1993 - ITALIA - Sardegna - SS
Coleoptera

aug

2

449

28/12/2011, 14:34

aug Vedi ultimo messaggio

Nessun messaggio da leggere
Quedius tristis (Gravenhorst, 1802) (cf.) - Staphylinidae
15.XII.2011 - ITALIA - Veneto - RO
Allegato(i)
Quedius tristis (Gravenhorst, 1802) (cf.) - Staphylinidae

15.XII.2011 - ITALIA - Veneto - RO
Coleoptera

Umbro

6

698

27/12/2011, 17:00

Umbro Vedi ultimo messaggio

Nessun messaggio da leggere
Oligota sp. - Staphylinidae Aleocharinae Oligotini
5.XII.2011 - ITALIA - Lazio - RM
Allegato(i)
Oligota sp. - Staphylinidae Aleocharinae Oligotini

5.XII.2011 - ITALIA - Lazio - RM
Coleoptera

Julodis

6

700

24/12/2011, 12:55

Julodis Vedi ultimo messaggio

Nessun messaggio da leggere
Staphylinidae sp. – Coleoptera da identificare.
20.XII.2011 - ITALIA - Veneto - VE
Allegato(i)
Staphylinidae sp. – Coleoptera da identificare.

20.XII.2011 - ITALIA - Veneto - VE
Coleoptera

ghebo

0

410

22/12/2011, 17:19

ghebo Vedi ultimo messaggio

Nessun messaggio da leggere
Paederus sp. - Staphylinidae
23.X.2011 - ITALIA - Toscana - LU
Allegato(i)
Paederus sp. - Staphylinidae

23.X.2011 - ITALIA - Toscana - LU
Coleoptera

Marchino

4

672

21/12/2011, 21:54

Marchino Vedi ultimo messaggio

Nessun messaggio da leggere
Vulda (Typhlodes) sp. - Staphylinidae
17.XII.2011 - ITALIA - Emilia-Romagna - BO
Allegato(i)
Vulda (Typhlodes) sp. - Staphylinidae

17.XII.2011 - ITALIA - Emilia-Romagna - BO
Coleoptera

Loriscola

8

899

19/12/2011, 23:18

Agdistis Vedi ultimo messaggio

Nessun messaggio da leggere
Boreaphilus sp. - Stafilinidae
10.IV.2011 - ITALIA - Sicilia - PA
Allegato(i)
Boreaphilus sp. - Stafilinidae

[ Vai alla paginaVai alla pagina: 1, 2 ]



10.IV.2011 - ITALIA - Sicilia - PA
Coleoptera

Notoxus59

16

1448

18/12/2011, 20:37

Notoxus59 Vedi ultimo messaggio

Nessun messaggio da leggere
Tasgius sp. - Staphylinidae
29.X.2011 - ITALIA - Veneto - RO
Allegato(i)
Tasgius sp. - Staphylinidae

29.X.2011 - ITALIA - Veneto - RO
Altri Ordini di Insetti

Umbro

8

650

16/12/2011, 19:44

Umbro Vedi ultimo messaggio

Nessun messaggio da leggere
Staphylinidae Omaliinae
VIII.2011 - ITALIA - Piemonte - CN
Allegato(i)
Staphylinidae Omaliinae

VIII.2011 - ITALIA - Piemonte - CN
Coleoptera

simo

2

415

15/12/2011, 23:31

simo Vedi ultimo messaggio

Nessun messaggio da leggere
Staphylinidae - Aleocharinae - Falagriini
5.XII.2011 - ITALIA - Lazio - RM
Allegato(i)
Staphylinidae - Aleocharinae - Falagriini

5.XII.2011 - ITALIA - Lazio - RM
Coleoptera

Julodis

1

343

15/12/2011, 20:28

Honza Vedi ultimo messaggio

Nessun messaggio da leggere
Xantholinus sp. - Xantholininae Xantholini
18.III.2011 - ITALIA - Emilia-Romagna - RE
Allegato(i)
Xantholinus sp. - Xantholininae Xantholini

18.III.2011 - ITALIA - Emilia-Romagna - RE
Coleoptera

Mikiphasmide

5

636

14/12/2011, 17:51

Honza Vedi ultimo messaggio

Nessun messaggio da leggere
Octavius sp. - Staphylinidae Euaesthetinae
10.XII.2011 - ITALIA - Sardegna - CA
Allegato(i)
Octavius sp. - Staphylinidae Euaesthetinae

10.XII.2011 - ITALIA - Sardegna - CA
Coleoptera

Fumea crassiorella

4

557

14/12/2011, 16:52

Loriscola Vedi ultimo messaggio

Nessun messaggio da leggere
Astenus sp. - Staphylinidae
3.XII.2011 - ITALIA - Sardegna - CA
Allegato(i)
Astenus sp. - Staphylinidae

3.XII.2011 - ITALIA - Sardegna - CA
Coleoptera

Fumea crassiorella

2

747

09/12/2011, 23:01

Fumea crassiorella Vedi ultimo messaggio

Nessun messaggio da leggere
Ischnosoma sp. (cf.) - Staphylinidae
10.X.2011 - ITALIA - Marche - PU
Allegato(i)
Ischnosoma sp. (cf.) - Staphylinidae

10.X.2011 - ITALIA - Marche - PU
Coleoptera

marco paglialunga

3

565

06/12/2011, 9:45

marco paglialunga Vedi ultimo messaggio

Nessun messaggio da leggere
Tachyporus abner Saulcy, 1864 (cf.) - Satphylinidae
26.X.2011 - ITALIA - Puglia - BA
Allegato(i)
Tachyporus abner Saulcy, 1864 (cf.) - Satphylinidae

26.X.2011 - ITALIA - Puglia - BA
Coleoptera

Mimmo011

6

753

06/12/2011, 0:53

Mimmo011 Vedi ultimo messaggio

Nessun messaggio da leggere
Paederus sp. - Staphylinidae
26.II.2011 - ITALIA - Emilia-Romagna - RE
Allegato(i)
Paederus sp. - Staphylinidae

26.II.2011 - ITALIA - Emilia-Romagna - RE
Coleoptera

Mikiphasmide

4

515

05/12/2011, 22:56

Mikiphasmide Vedi ultimo messaggio

Nessun messaggio da leggere
Mini Staphylinidae
3.XII.2011 - ITALIA - Lazio - RM
Allegato(i)
Mini Staphylinidae

3.XII.2011 - ITALIA - Lazio - RM
Coleoptera

elleelle

1

303

04/12/2011, 9:51

marco paglialunga Vedi ultimo messaggio

Nessun messaggio da leggere
Proteinus sp. (cf.) - Staphylinidae
3.XII.2011 - ITALIA - Sardegna - CA
Allegato(i)
Proteinus sp. (cf.) - Staphylinidae

3.XII.2011 - ITALIA - Sardegna - CA
Coleoptera

Fumea crassiorella

2

326

03/12/2011, 23:04

Fumea crassiorella Vedi ultimo messaggio

Nessun messaggio da leggere
Staphylinidae Staphylininae Xantholinini
24.XI.2011 - ITALIA - Lazio - RM
Allegato(i)
Staphylinidae Staphylininae Xantholinini

24.XI.2011 - ITALIA - Lazio - RM
Coleoptera

Claude54

1

250

30/11/2011, 10:45

Andricus Vedi ultimo messaggio

Nessun messaggio da leggere
Allegato(i)
Paederus (Poederomorphus) cf. littoralis Gravenhorst, 1802 - Staphylinidae Paederini Paederina

24.XI.2011 - ITALIA - Lazio - RM
Coleoptera

Fabio Turchetti

6

461

25/11/2011, 21:30

Apoderus Vedi ultimo messaggio

Nessun messaggio da leggere
Tychobythinus sp. - Staphylinidae Pselaphinae
25.X.2011 - ITALIA - Marche - PU
Allegato(i)
Tychobythinus sp. - Staphylinidae Pselaphinae

25.X.2011 - ITALIA - Marche - PU
Coleoptera

marco paglialunga

2

356

22/11/2011, 9:18

Loriscola Vedi ultimo messaggio

Nessun messaggio da leggere
Ocypus (Tasgius) sp. - Staphylinidae
20.XI.2011 - ITALIA - Lazio - RM
Allegato(i)
Ocypus (Tasgius) sp. - Staphylinidae

20.XI.2011 - ITALIA - Lazio - RM
Coleoptera

Fabio Turchetti

3

402

21/11/2011, 15:49

mascalzonepadano Vedi ultimo messaggio

Nessun messaggio da leggere
Leptolinus sp. (cf.) - Staphylinidae
1.XI.2011 - ITALIA - Sardegna - CA
Allegato(i)
Leptolinus sp. (cf.) - Staphylinidae

1.XI.2011 - ITALIA - Sardegna - CA
Coleoptera

Fumea crassiorella

12

699

19/11/2011, 22:00

Liptaster Vedi ultimo messaggio

Nessun messaggio da leggere
Quedius sp. - Staphylinidae
2.XI.2011 - ITALIA - Lazio - VT
Allegato(i)
Quedius sp. - Staphylinidae

2.XI.2011 - ITALIA - Lazio - VT
Coleoptera

Andricus

4

355

19/11/2011, 21:59

Andricus Vedi ultimo messaggio

Nessun messaggio da leggere
Geostiba sp. - Staphylinidae
12.XI.2011 - ITALIA - Sardegna - CA
Allegato(i)
Geostiba sp. - Staphylinidae

12.XI.2011 - ITALIA - Sardegna - CA
Coleoptera

Fumea crassiorella

14

1105

19/11/2011, 21:52

Liptaster Vedi ultimo messaggio

Nessun messaggio da leggere
Stenus sp. - Staphylinidae
25.X.2011 - ITALIA - Marche - PU
Allegato(i)
Stenus sp. - Staphylinidae

25.X.2011 - ITALIA - Marche - PU
Coleoptera

marco paglialunga

0

296

19/11/2011, 9:10

marco paglialunga Vedi ultimo messaggio

Nessun messaggio da leggere
Acidota cf. cruentata (Mannerheim, 1831) - Staphylinidae
10.XI.2011 - ITALIA - Emilia-Romagna - BO
Allegato(i)
Acidota cf. cruentata (Mannerheim, 1831) - Staphylinidae

10.XI.2011 - ITALIA - Emilia-Romagna - BO
Coleoptera

Loriscola

0

738

18/11/2011, 22:38

Loriscola Vedi ultimo messaggio

Nessun messaggio da leggere
Allegato(i)
Tachyporus hypnorum (Fabricius, 1775) - Staphylinidae (da confermare)

2.XI.2011 - ITALIA - Lazio - VT
Coleoptera

Andricus

1

396

15/11/2011, 0:55

Andricus Vedi ultimo messaggio

Nessun messaggio da leggere
Leptusa sp. - Staphylinidae Aeocharinae
30.X.2011 - ITALIA - Emilia-Romagna - BO
Allegato(i)
Leptusa sp. - Staphylinidae Aeocharinae

30.X.2011 - ITALIA - Emilia-Romagna - BO
Coleoptera

Loriscola

0

314

12/11/2011, 20:53

Loriscola Vedi ultimo messaggio

Nessun messaggio da leggere
Staphylinidae - Lazio
6.XI.2011 - ITALIA - Lazio - RM
Allegato(i)
Staphylinidae - Lazio

6.XI.2011 - ITALIA - Lazio - RM
Coleoptera

Julodis

12

764

10/11/2011, 0:37

marco paglialunga Vedi ultimo messaggio

Nessun messaggio da leggere
Staphylinidae Xantholininae
29.X.2011 - ITALIA - Lazio - VT
Allegato(i)
Staphylinidae Xantholininae

29.X.2011 - ITALIA - Lazio - VT
Coleoptera

Andricus

2

406

09/11/2011, 23:47

Andricus Vedi ultimo messaggio

Nessun messaggio da leggere
Allegato(i)
Philonthus (Philonthus) tenuicornis Mulsant & Rey 1853 - Staphylinidae (???)

21.VI.2011 - GERMANIA - EE
Coleoptera

Lenny

0

486

09/11/2011, 0:12

Lenny Vedi ultimo messaggio

Nessun messaggio da leggere
Staphylinidae da id.
23.X.2011 - ITALIA - Friuli-Venezia Giulia - GO
Allegato(i)
Staphylinidae da id.

23.X.2011 - ITALIA - Friuli-Venezia Giulia - GO
Coleoptera

Agdistis

1

743

05/11/2011, 11:11

Agdistis Vedi ultimo messaggio

Nessun messaggio da leggere
Staphylinidae - Lazio
10.X.2011 - ITALIA - Lazio - RM
Allegato(i)
Staphylinidae - Lazio

10.X.2011 - ITALIA - Lazio - RM
Coleoptera

Julodis

0

462

05/11/2011, 10:44

Julodis Vedi ultimo messaggio

Nessun messaggio da leggere
Staphylinidae Lazio
10.X.2011 - ITALIA - Lazio - RM
Allegato(i)
Staphylinidae Lazio

10.X.2011 - ITALIA - Lazio - RM
Coleoptera

Julodis

0

329

04/11/2011, 10:44

Julodis Vedi ultimo messaggio

Nessun messaggio da leggere
Staphylinidae Aleocharinae
30.X.2011 - ITALIA - Toscana - GR
Allegato(i)
Staphylinidae Aleocharinae

30.X.2011 - ITALIA - Toscana - GR
Coleoptera

hypotyphlus

2

437

03/11/2011, 21:16

hypotyphlus Vedi ultimo messaggio

Nessun messaggio da leggere
Phyllodrepa sp. (cf.) - Staphylinidae
30.X.2011 - ITALIA - Toscana - GR
Allegato(i)
Phyllodrepa sp. (cf.) - Staphylinidae

30.X.2011 - ITALIA - Toscana - GR
Coleoptera

hypotyphlus

1

426

03/11/2011, 20:21

giuseppe55 Vedi ultimo messaggio

Nessun messaggio da leggere
Medon sp- - Paederinae Paederini Medonina
4.IX.2011 - ITALIA - Lazio - LT
Allegato(i)
Medon sp- - Paederinae Paederini Medonina

4.IX.2011 - ITALIA - Lazio - LT
Coleoptera

Anillus

3

717

01/11/2011, 21:36

Anillus Vedi ultimo messaggio

Visualizza ultimi argomenti:  Ordina per  Ordine:  
nuovo argomento
Vai alla pagina Precedente  1 ... 7, 8, 9, 10, 11, 12, 13  Prossimo
Pagina 10 di 13 [ 636 argomenti ]

Tutti gli orari sono UTC + 1 ora [ ora legale ]


Chi c’è in linea

Visitano il forum: Nessuno e 1 ospite


Legenda
Messaggi da leggere Messaggi da leggere Nessun messaggio da leggere Nessun messaggio da leggere Annuncio Annuncio
 
Specie indeterminata / discussione generica
Messaggi non letti [ Popolari ] Messaggi non letti [ Popolari ] Nessun messaggio da leggere [ Popolare ] Nessun messaggio da leggere [ Popolare ] Importante Importante
 
Specie determinata fino al genere o cf.
Messaggi non letti [ Bloccati ] Messaggi non letti [ Bloccati ] No messaggi non letti [ Bloccati ] No messaggi non letti [ Bloccati ] Argomento spostato Argomento spostato
 
Specie correttamente determinata
Permessi
Non puoi aprire nuovi argomenti
Non puoi rispondere negli argomenti
Non puoi modificare i tuoi messaggi
Non puoi cancellare i tuoi messaggi
Non puoi inviare allegati

Cerca per:
Vai a: