Benvenuto Ospite

Forum Entomologi Italiani

www.entomologiitaliani.net/forum
 
Oggi è 22/12/2025, 0:35

Tutti gli orari sono UTC + 1 ora [ ora legale ]

Elateridae


[ AFROTROPICALE ] [ ANTARTICO ] [ AUSTRALASIANO ] [ NEARTICO ] [ NEOTROPICALE ] [ ORIENTALE ] [ PALEARTICO ]


nuovo argomento
Vai alla pagina 1, 2, 3, 4, 5 ... 40  Prossimo
Pagina 1 di 40 [ 1953 argomenti ]
 Argomenti   Ordine   Autore   Risposte   Visite    Ultimo messaggio 
Annunci
Nessun messaggio da leggere
Allegato(i)
Incontri entomologici della Società Entomologica Italiana 2025-2026
 

Velvet Ant

0

13413

17/11/2025, 19:41

Velvet Ant Vedi ultimo messaggio

Nessun messaggio da leggere
Allegato(i)
Incontri entomologici telematici organizzati dalla Società Entomologica Italiana nel 2022 e nel 2023

[ Vai alla paginaVai alla pagina: 1, 2, 3 ]

 

Velvet Ant

44

1688748

03/03/2023, 15:55

Velvet Ant Vedi ultimo messaggio

Nessun messaggio da leggere  
Allegato(i)
Sondaggio sul declino dell'entomofauna in Italia

[ Vai alla paginaVai alla pagina: 1, 2, 3, 4 ]

 

Velvet Ant

52

2309361

22/10/2022, 19:18

Acquarius Vedi ultimo messaggio

Nessun messaggio da leggere  
Allegato(i)
Progetto: Bibliografia ragionata dei lavori entomologici nei quali sono citati reperti apparsi su FEI

[ Vai alla paginaVai alla pagina: 1, 2, 3 ]

 

Velvet Ant

33

1356080

06/07/2023, 18:31

Orotrechus Vedi ultimo messaggio

Nessun messaggio da leggere
Allegato(i)
Mimesi, il primo documentario cinematografico sull’entomologia in Italia: casting
 

mazzeip

1

1087267

28/02/2019, 20:26

mazzeip Vedi ultimo messaggio

Questo argomento è bloccato, non puoi modificare o inviare ulteriori messaggi.
Allegato(i)
ISTRUZIONI PUBBLICAZIONE NUOVI ARGOMENTI E FOTO

 
Altri Ordini di Insetti

Julodis

4

2885103

13/05/2015, 19:37

Julodis Vedi ultimo messaggio

Nessun messaggio da leggere
Allegato(i)
Limitatore giornaliero di messaggi, uno strumento utile e ormai indispensabile

[ Vai alla paginaVai alla pagina: 1 ... 14, 15, 16 ]

 

Velvet Ant

233

12314962

25/09/2014, 14:31

Inachis Vedi ultimo messaggio

Nessun messaggio da leggere  
NORME PER I COLLABORATORI DEL FORUM

 
 

Velvet Ant

0

632520

02/06/2011, 12:05

Velvet Ant Vedi ultimo messaggio

Nessun messaggio da leggere
Allegato(i)
NORME PER GLI UTENTI DEL FORUM

[ Vai alla paginaVai alla pagina: 1, 2, 3 ]



 
 

Velvet Ant

30

3473627

23/09/2014, 23:54

Maurizio Bollino Vedi ultimo messaggio

Nessun messaggio da leggere  
Lista degli utenti del "Forum entomologi italiani" per campi di interesse e specializzazione

 
Altri Ordini di Insetti

Velvet Ant

13

1006188

07/09/2023, 17:14

Roberto-07 Vedi ultimo messaggio

Argomenti
Nessun messaggio da leggere
Allegato(i)
Melanotus zappii Platia, 2018 - Elateridae - HOLOTYPUS

4.VII.2012 - MAROCCO - EE
Coleoptera

Enoplium

7

2128

21/01/2019, 17:08

Enoplium Vedi ultimo messaggio

Nessun messaggio da leggere
Allegato(i)
Lanelater zappii Platia, 2018 - Elateridae - HOLOTYPUS

9.VII.2012 - MAROCCO - EE
Coleoptera

Enoplium

10

2362

21/01/2019, 17:07

Enoplium Vedi ultimo messaggio

Nessun messaggio da leggere
Anostirus maccapanii Platia, 2017 - Elateridae - HOLOTYPUS
20.VI.2016 - ITALIA - Emilia-Romagna - MO
Allegato(i)
Anostirus maccapanii Platia, 2017 - Elateridae - HOLOTYPUS

[ Vai alla paginaVai alla pagina: 1, 2 ]



20.VI.2016 - ITALIA - Emilia-Romagna - MO
Coleoptera

Daniele Maccapani

26

5243

08/08/2017, 22:59

Gianfranco Vedi ultimo messaggio

Nessun messaggio da leggere
Allegato(i)
Cebrio (Tibesia) melonii Rattu, 2014 - Elateridae Cebrioninae - nuova specie di Sardegna, con foto dell'holotipo

[ Vai alla paginaVai alla pagina: 1, 2 ]



3.VI.2014 - ITALIA - Sardegna - VS
Coleoptera

Fumea crassiorella

26

5183

14/11/2014, 9:31

Loriscola Vedi ultimo messaggio

Nessun messaggio da leggere
Allegato(i)
Anostirus (Pseudostirus) colacurcioi Platia & Pedroni, 2010 - Elateridae. Emilia Romagna

[ Vai alla paginaVai alla pagina: 1, 2, 3 ]



ITALIA - Emilia-Romagna - BO
Coleoptera

Loriscola

33

4704

25/03/2010, 9:01

Isotomus Vedi ultimo messaggio

Nessun messaggio da leggere
Allegato(i)
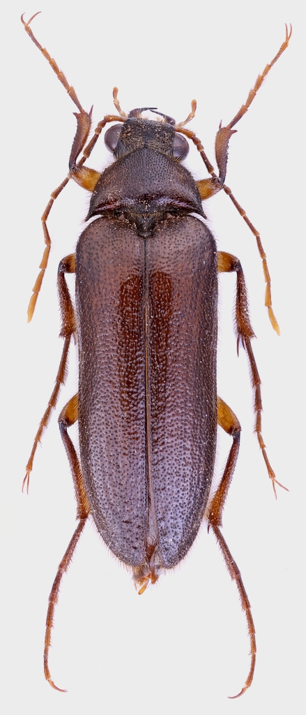
Cardiophorus goezei Sanchez-Ruiz,1996 (cf.) - Elateridae

22.X.2025 - ROMANIA - EE
Coleoptera

cosmln

5

355

13/11/2025, 17:41

Anostirus Vedi ultimo messaggio

Nessun messaggio da leggere
Agriotes sordidus (Illiger, 1807) - Elateridae
28.X.2025 - ITALIA - Sicilia - TP
Allegato(i)
Agriotes sordidus (Illiger, 1807) - Elateridae

28.X.2025 - ITALIA - Sicilia - TP
Coleoptera

angelo.ditta

2

249

11/11/2025, 20:26

angelo.ditta Vedi ultimo messaggio

Nessun messaggio da leggere
Drasterius bimaculatus (Rossi, 1790) - Elateridae
28.IX.2025 - ITALIA - Veneto - VI
Allegato(i)
Drasterius bimaculatus (Rossi, 1790) - Elateridae

28.IX.2025 - ITALIA - Veneto - VI
Coleoptera

Syrio

3

364

13/10/2025, 15:29

Syrio Vedi ultimo messaggio

Nessun messaggio da leggere
Elateridae sp.
10.VI.2025 - TAIWAN, CINA PROVINCIA DI - EE
Allegato(i)
Elateridae sp.

10.VI.2025 - TAIWAN, CINA PROVINCIA DI - EE
Coleoptera

cosmln

8

2488

02/09/2025, 10:11

soken Vedi ultimo messaggio

Nessun messaggio da leggere
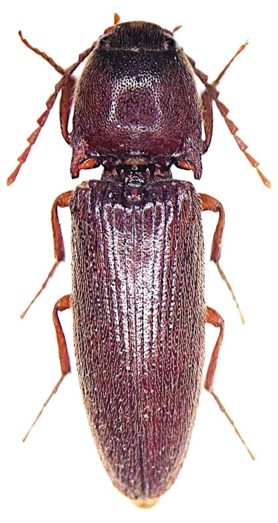
Cardiotarsus sp. - Elateridae
10.VI.2025 - TAIWAN, CINA PROVINCIA DI - EE
Allegato(i)
Cardiotarsus sp. - Elateridae

10.VI.2025 - TAIWAN, CINA PROVINCIA DI - EE
Coleoptera

cosmln

2

679

01/09/2025, 22:15

cosmln Vedi ultimo messaggio

Nessun messaggio da leggere
Glyphonyx sp. - Elateridae
10.VI.2025 - TAIWAN, CINA PROVINCIA DI - EE
Allegato(i)
Glyphonyx sp. - Elateridae

10.VI.2025 - TAIWAN, CINA PROVINCIA DI - EE
Coleoptera

cosmln

4

580

30/08/2025, 18:23

cosmln Vedi ultimo messaggio

Nessun messaggio da leggere
Glyphonyx sp. - Elateridae
10.VI.2025 - TAIWAN, CINA PROVINCIA DI - EE
Allegato(i)
Glyphonyx sp. - Elateridae

10.VI.2025 - TAIWAN, CINA PROVINCIA DI - EE
Coleoptera

cosmln

2

337

27/08/2025, 17:36

cosmln Vedi ultimo messaggio

Nessun messaggio da leggere
Zorochros demustoides (Herbst, 1806) - Elateridae
19.VIII.2025 - ITALIA - Friuli-Venezia Giulia - PN
Allegato(i)
Zorochros demustoides (Herbst, 1806) - Elateridae

19.VIII.2025 - ITALIA - Friuli-Venezia Giulia - PN
Coleoptera

Gabriele

2

304

21/08/2025, 20:44

Gabriele Vedi ultimo messaggio

Nessun messaggio da leggere
Agriotes sputator (Linnaeus, 1758) - Elateridae
15.VII.2025 - UNGHERIA - EE
Allegato(i)
Agriotes sputator (Linnaeus, 1758) - Elateridae

15.VII.2025 - UNGHERIA - EE
Coleoptera

curci

2

319

20/08/2025, 11:26

curci Vedi ultimo messaggio

Nessun messaggio da leggere
Agriotes obscurus (Linnaeus, 1758) - Elateridae
15.VII.2025 - UNGHERIA - EE
Allegato(i)
Agriotes obscurus (Linnaeus, 1758) - Elateridae

15.VII.2025 - UNGHERIA - EE
Coleoptera

curci

2

338

20/08/2025, 11:26

curci Vedi ultimo messaggio

Nessun messaggio da leggere
Allegato(i)
Athous (Orthatous) stefani Platia & Pintilioaie, 2025 - Elateridae

30.VI.2024 - BULGARIA - EE
Coleoptera

alexaandru

3

658

12/08/2025, 11:31

alexaandru Vedi ultimo messaggio

Nessun messaggio da leggere
Elater ferrugineus Linnaeus, 1758 - Elateridae
3.VII.2025 - GRECIA - EE
Allegato(i)
Elater ferrugineus Linnaeus, 1758 - Elateridae

3.VII.2025 - GRECIA - EE
Coleoptera

Michele A

2

343

06/08/2025, 10:00

Michele A Vedi ultimo messaggio

Nessun messaggio da leggere
Ampedus cinnabarinus (Eschscholtz, 1829) (cf.) - Elateridae
20.VIII.2000 - ITALIA - Lombardia - CO
Allegato(i)
Ampedus cinnabarinus (Eschscholtz, 1829) (cf.) - Elateridae

20.VIII.2000 - ITALIA - Lombardia - CO
Coleoptera

Giuseppe

7

512

29/07/2025, 23:19

Giuseppe Vedi ultimo messaggio

Nessun messaggio da leggere
Athous (Haplathous) flavipennis Candèze, 1860 ♀ - Elateridae
9.VI.2017 - ITALIA - Lombardia - CO
Allegato(i)
Athous (Haplathous) flavipennis Candèze, 1860 ♀ - Elateridae

9.VI.2017 - ITALIA - Lombardia - CO
Coleoptera

Giuseppe

2

301

28/07/2025, 19:27

Giuseppe Vedi ultimo messaggio

Nessun messaggio da leggere
Allegato(i)
Athous (Haplathous) flavipennis Candèze, 1860 ♂ -Elateridae

20.VI.2017 - ITALIA - Liguria - SV
Coleoptera

Giuseppe

2

282

28/07/2025, 19:27

Giuseppe Vedi ultimo messaggio

Nessun messaggio da leggere
Allegato(i)
Cidnopus pseudopilosus Platia & Gudenzi, 1985 - Elateridae

VI.2005 - ITALIA - Marche - PU
Coleoptera

Giuseppe

2

283

27/07/2025, 22:03

Giuseppe Vedi ultimo messaggio

Nessun messaggio da leggere
Agriotes (Agriotes) brevis Candèze, 1863 - Elateridae
16.VI.2014 - ITALIA - Lombardia - SO
Allegato(i)
Agriotes (Agriotes) brevis Candèze, 1863 - Elateridae

16.VI.2014 - ITALIA - Lombardia - SO
Coleoptera

Giuseppe

2

267

27/07/2025, 22:01

Giuseppe Vedi ultimo messaggio

Nessun messaggio da leggere
Synaptus filiformis (Fabricius, 1781) - Elateridae
23.VI.2002 - ITALIA - Lombardia - PV
Allegato(i)
Synaptus filiformis (Fabricius, 1781) - Elateridae

23.VI.2002 - ITALIA - Lombardia - PV
Coleoptera

Giuseppe

2

278

26/07/2025, 23:52

Giuseppe Vedi ultimo messaggio

Nessun messaggio da leggere
Athous (Haplathous) subfuscus (O.F. Muller, 1764) - Elateridae
11.VI.2002 - ITALIA - Lombardia - SO
Allegato(i)
Athous (Haplathous) subfuscus (O.F. Muller, 1764) - Elateridae

11.VI.2002 - ITALIA - Lombardia - SO
Coleoptera

Giuseppe

2

265

26/07/2025, 17:55

Giuseppe Vedi ultimo messaggio

Nessun messaggio da leggere
Synaptus filiformis (Fabricius 1781) (cf.) - Elateridae
27.V.2001 - ITALIA - Piemonte - VB
Allegato(i)
Synaptus filiformis (Fabricius 1781) (cf.) - Elateridae

27.V.2001 - ITALIA - Piemonte - VB
Coleoptera

Giuseppe

2

313

26/07/2025, 9:20

Giuseppe Vedi ultimo messaggio

Nessun messaggio da leggere
Ampedus sanguinolentus (Schrank, 1776) - Elateridae
VI.2025 - ITALIA - Lombardia - CO
Allegato(i)
Ampedus sanguinolentus (Schrank, 1776) - Elateridae

VI.2025 - ITALIA - Lombardia - CO
Coleoptera

Giuseppe

2

313

21/07/2025, 22:46

Giuseppe Vedi ultimo messaggio

Nessun messaggio da leggere
Quasimus minutissimus (Germar, 1817) - Elateridae
23.V.2002 - ITALIA - Emilia-Romagna - PC
Allegato(i)
Quasimus minutissimus (Germar, 1817) - Elateridae

23.V.2002 - ITALIA - Emilia-Romagna - PC
Coleoptera

Giuseppe

2

303

21/07/2025, 10:09

Giuseppe Vedi ultimo messaggio

Nessun messaggio da leggere
Agriotes litigiosus (Rossi, 1792) - Elateridae
1.VI.2025 - ITALIA - Marche - FM
Allegato(i)
Agriotes litigiosus (Rossi, 1792) - Elateridae

1.VI.2025 - ITALIA - Marche - FM
Coleoptera

Flaffy

2

625

20/07/2025, 11:53

Flaffy Vedi ultimo messaggio

Nessun messaggio da leggere
Diacanthous undulatus (Degeer, 1774) - Elateridae
28.VI.2011 - ITALIA - Lombardia - SO
Allegato(i)
Diacanthous undulatus (Degeer, 1774) - Elateridae

28.VI.2011 - ITALIA - Lombardia - SO
Coleoptera

Giuseppe

3

408

19/07/2025, 15:18

Giuseppe Vedi ultimo messaggio

Nessun messaggio da leggere
Athous (Athous) haemorrhoidalis (Fabricius, 1801) - Elateridae
19.V.2002 - ITALIA - Lombardia - VA
Allegato(i)
Athous (Athous) haemorrhoidalis (Fabricius, 1801) - Elateridae

19.V.2002 - ITALIA - Lombardia - VA
Coleoptera

Giuseppe

2

260

19/07/2025, 15:14

Giuseppe Vedi ultimo messaggio

Nessun messaggio da leggere
Agriotes litigiosus (Rossi, 1792) - Elateridae
VIII.2001 - ITALIA - Lombardia - CO
Allegato(i)
Agriotes litigiosus (Rossi, 1792) - Elateridae

VIII.2001 - ITALIA - Lombardia - CO
Coleoptera

Giuseppe

2

267

18/07/2025, 15:43

Giuseppe Vedi ultimo messaggio

Nessun messaggio da leggere
Stenagostus rhombeus (Olivier, 1790) - Elateridae
2.VIII.2011 - ITALIA - Lombardia - CO
Allegato(i)
Stenagostus rhombeus (Olivier, 1790) - Elateridae

2.VIII.2011 - ITALIA - Lombardia - CO
Coleoptera

Giuseppe

2

274

18/07/2025, 15:42

Giuseppe Vedi ultimo messaggio

Nessun messaggio da leggere
Melanotus tenebrosus (Erichson, 1841) - Elateridae
1.VI.2025 - ITALIA - Marche - FM
Allegato(i)
Melanotus tenebrosus (Erichson, 1841) - Elateridae

1.VI.2025 - ITALIA - Marche - FM
Coleoptera

Flaffy

2

268

18/07/2025, 8:52

Flaffy Vedi ultimo messaggio

Nessun messaggio da leggere
Agriotes litigiosus (Rossi, 1792) - Elateridae
1.VI.2025 - ITALIA - Marche - FM
Allegato(i)
Agriotes litigiosus (Rossi, 1792) - Elateridae

1.VI.2025 - ITALIA - Marche - FM
Coleoptera

Flaffy

2

263

18/07/2025, 8:51

Flaffy Vedi ultimo messaggio

Nessun messaggio da leggere
Melanotus crassicollis (Erichson, 1841) - Elateridae
10.VI.2025 - ITALIA - Marche - FM
Allegato(i)
Melanotus crassicollis (Erichson, 1841) - Elateridae

10.VI.2025 - ITALIA - Marche - FM
Coleoptera

Flaffy

2

311

17/07/2025, 11:18

Flaffy Vedi ultimo messaggio

Nessun messaggio da leggere
Selatosomus amplicollis (Germar, 1843) - Elateridae
29.VI.2025 - ITALIA - Marche - MC
Allegato(i)
Selatosomus amplicollis (Germar, 1843) - Elateridae

29.VI.2025 - ITALIA - Marche - MC
Coleoptera

Flaffy

2

324

17/07/2025, 11:17

Flaffy Vedi ultimo messaggio

Nessun messaggio da leggere
Athous (Haplathous) flavipennis Candèze, 1860 - Elateridae
15.V.2025 - ITALIA - Toscana - LU
Allegato(i)
Athous (Haplathous) flavipennis Candèze, 1860 - Elateridae

15.V.2025 - ITALIA - Toscana - LU
Coleoptera

Max10

4

417

16/07/2025, 9:30

Max10 Vedi ultimo messaggio

Nessun messaggio da leggere
Agriotes acuminatus (Stephens, 1830) - Elateridae Agriotini
14.VI.2003 - ITALIA - Lombardia - CO
Allegato(i)
Agriotes acuminatus (Stephens, 1830) - Elateridae Agriotini

14.VI.2003 - ITALIA - Lombardia - CO
Coleoptera

Giuseppe

3

381

09/07/2025, 21:16

Giuseppe Vedi ultimo messaggio

Nessun messaggio da leggere
Melanotus villosus (Geoffroy, 1785) - Elateridae
21.VIII.2002 - ITALIA - Lombardia - CO
Allegato(i)
Melanotus villosus (Geoffroy, 1785) - Elateridae

21.VIII.2002 - ITALIA - Lombardia - CO
Coleoptera

Giuseppe

4

493

09/07/2025, 17:29

Giuseppe Vedi ultimo messaggio

Nessun messaggio da leggere
Allegato(i)
Pseudathous (= Hemicrepidius) hirtus (Herbst, 1784) ♂ - Elateridae

V.2025 - ITALIA - Liguria - SV
Coleoptera

Giuseppe

2

389

07/07/2025, 18:55

Giuseppe Vedi ultimo messaggio

Nessun messaggio da leggere
Melanotus sp., - Elateridae
17.VI.2025 - GRECIA - EE
Allegato(i)
Melanotus sp., - Elateridae

17.VI.2025 - GRECIA - EE
Coleoptera

Honza

1

403

06/07/2025, 18:35

Anostirus Vedi ultimo messaggio

Nessun messaggio da leggere
Allegato(i)
Athous (Athous) haemorrhoidalis (Fabricius, 1801) - Elateridae

V.2025 - ITALIA - Liguria - SV
Coleoptera

Giuseppe

2

361

05/07/2025, 22:11

Giuseppe Vedi ultimo messaggio

Nessun messaggio da leggere
Melanotus villosus (Geoffroy, 1785) - Elateridae
V.2025 - ITALIA - Liguria - SV
Allegato(i)
Melanotus villosus (Geoffroy, 1785) - Elateridae

V.2025 - ITALIA - Liguria - SV
Coleoptera

Giuseppe

4

447

05/07/2025, 22:10

Giuseppe Vedi ultimo messaggio

Nessun messaggio da leggere
Cidnopus pilosus (Leske, 1785) - Elateridae
V.2025 - ITALIA - Liguria - SV
Allegato(i)
Cidnopus pilosus (Leske, 1785) - Elateridae

V.2025 - ITALIA - Liguria - SV
Coleoptera

Giuseppe

2

348

03/07/2025, 18:59

Giuseppe Vedi ultimo messaggio

Nessun messaggio da leggere
Limonius minutus (Linnaeus, 1758) ♀ - Elateridae
V.2025 - ITALIA - Liguria - SV
Allegato(i)
Limonius minutus (Linnaeus, 1758) ♀ - Elateridae

V.2025 - ITALIA - Liguria - SV
Coleoptera

Giuseppe

2

339

03/07/2025, 18:58

Giuseppe Vedi ultimo messaggio

Nessun messaggio da leggere
Selatosomus sp. - Elateridae
22.VI.2025 - ITALIA - Emilia-Romagna - PR
Allegato(i)
Selatosomus sp. - Elateridae

22.VI.2025 - ITALIA - Emilia-Romagna - PR
Coleoptera

picollo

3

370

25/06/2025, 10:43

plumipes Vedi ultimo messaggio

Nessun messaggio da leggere
Pseudathous (= Hemicrepidius) hirtus (Herbst, 1784) ♂ - Elateridae
5.VI.2025 - ITALIA - Friuli-Venezia Giulia - PN
Allegato(i)
Pseudathous (= Hemicrepidius) hirtus (Herbst, 1784) ♂ - Elateridae

5.VI.2025 - ITALIA - Friuli-Venezia Giulia - PN
Coleoptera

Gabriele

2

2548

06/06/2025, 22:29

Gabriele Vedi ultimo messaggio

Nessun messaggio da leggere
Melanotus tenebrosus (Erichson, 1841) ♂ - Elateridae
1.VI.2025 - ITALIA - Molise - IS
Allegato(i)
Melanotus tenebrosus (Erichson, 1841) ♂ - Elateridae

1.VI.2025 - ITALIA - Molise - IS
Coleoptera

Franco ROSSI

3

2390

05/06/2025, 17:40

Franco ROSSI Vedi ultimo messaggio

Nessun messaggio da leggere
Drasterius bimaculatus (Rossi, 1790) - Elateridae
6.XI.2024 - ITALIA - Sardegna - CA
Allegato(i)
Drasterius bimaculatus (Rossi, 1790) - Elateridae

6.XI.2024 - ITALIA - Sardegna - CA
Coleoptera

Daniele Sechi

3

735

10/05/2025, 13:17

Anostirus Vedi ultimo messaggio

Nessun messaggio da leggere
Cidnopus pilosus (Leske, 1785) - Elateridae
28.IV.2025 - ITALIA - Friuli-Venezia Giulia - PN
Allegato(i)
Cidnopus pilosus (Leske, 1785) - Elateridae

28.IV.2025 - ITALIA - Friuli-Venezia Giulia - PN
Coleoptera

Gabriele

2

579

05/05/2025, 15:00

Gabriele Vedi ultimo messaggio

Visualizza ultimi argomenti:  Ordina per  Ordine:  
nuovo argomento
Vai alla pagina 1, 2, 3, 4, 5 ... 40  Prossimo
Pagina 1 di 40 [ 1953 argomenti ]

Tutti gli orari sono UTC + 1 ora [ ora legale ]


Chi c’è in linea

Visitano il forum: Nessuno e 1 ospite


Legenda
Messaggi da leggere Messaggi da leggere Nessun messaggio da leggere Nessun messaggio da leggere Annuncio Annuncio
 
Specie indeterminata / discussione generica
Messaggi non letti [ Popolari ] Messaggi non letti [ Popolari ] Nessun messaggio da leggere [ Popolare ] Nessun messaggio da leggere [ Popolare ] Importante Importante
 
Specie determinata fino al genere o cf.
Messaggi non letti [ Bloccati ] Messaggi non letti [ Bloccati ] No messaggi non letti [ Bloccati ] No messaggi non letti [ Bloccati ] Argomento spostato Argomento spostato
 
Specie correttamente determinata
Permessi
Non puoi aprire nuovi argomenti
Non puoi rispondere negli argomenti
Non puoi modificare i tuoi messaggi
Non puoi cancellare i tuoi messaggi
Non puoi inviare allegati

Cerca per:
Vai a: