Benvenuto Ospite

Forum Entomologi Italiani

www.entomologiitaliani.net/forum
 
Oggi è 26/12/2025, 2:44

Tutti gli orari sono UTC + 1 ora [ ora legale ]

Cantharidae


[ AFROTROPICALE ] [ ANTARTICO ] [ AUSTRALASIANO ] [ NEARTICO ] [ NEOTROPICALE ] [ ORIENTALE ] [ PALEARTICO ]


nuovo argomento
Vai alla pagina Precedente  1, 2, 3, 4, 5, 6, 7  Prossimo
Pagina 5 di 7 [ 338 argomenti ]
 Argomenti   Ordine   Autore   Risposte   Visite    Ultimo messaggio 
Annunci
Nessun messaggio da leggere
Allegato(i)
Incontri entomologici della Società Entomologica Italiana 2025-2026
 

Velvet Ant

0

14699

17/11/2025, 19:41

Velvet Ant Vedi ultimo messaggio

Nessun messaggio da leggere
Allegato(i)
Incontri entomologici telematici organizzati dalla Società Entomologica Italiana nel 2022 e nel 2023

[ Vai alla paginaVai alla pagina: 1, 2, 3 ]

 

Velvet Ant

44

1709788

03/03/2023, 15:55

Velvet Ant Vedi ultimo messaggio

Nessun messaggio da leggere  
Allegato(i)
Sondaggio sul declino dell'entomofauna in Italia

[ Vai alla paginaVai alla pagina: 1, 2, 3, 4 ]

 

Velvet Ant

52

2335020

22/10/2022, 19:18

Acquarius Vedi ultimo messaggio

Nessun messaggio da leggere  
Allegato(i)
Progetto: Bibliografia ragionata dei lavori entomologici nei quali sono citati reperti apparsi su FEI

[ Vai alla paginaVai alla pagina: 1, 2, 3 ]

 

Velvet Ant

33

1372942

06/07/2023, 18:31

Orotrechus Vedi ultimo messaggio

Nessun messaggio da leggere
Allegato(i)
Mimesi, il primo documentario cinematografico sull’entomologia in Italia: casting
 

mazzeip

1

1089843

28/02/2019, 20:26

mazzeip Vedi ultimo messaggio

Questo argomento è bloccato, non puoi modificare o inviare ulteriori messaggi.
Allegato(i)
ISTRUZIONI PUBBLICAZIONE NUOVI ARGOMENTI E FOTO

 
Altri Ordini di Insetti

Julodis

4

2888737

13/05/2015, 19:37

Julodis Vedi ultimo messaggio

Nessun messaggio da leggere
Allegato(i)
Limitatore giornaliero di messaggi, uno strumento utile e ormai indispensabile

[ Vai alla paginaVai alla pagina: 1 ... 14, 15, 16 ]

 

Velvet Ant

233

12471595

25/09/2014, 14:31

Inachis Vedi ultimo messaggio

Nessun messaggio da leggere  
NORME PER I COLLABORATORI DEL FORUM

 
 

Velvet Ant

0

634144

02/06/2011, 12:05

Velvet Ant Vedi ultimo messaggio

Nessun messaggio da leggere
Allegato(i)
NORME PER GLI UTENTI DEL FORUM

[ Vai alla paginaVai alla pagina: 1, 2, 3 ]



 
 

Velvet Ant

30

3489554

23/09/2014, 23:54

Maurizio Bollino Vedi ultimo messaggio

Nessun messaggio da leggere  
Lista degli utenti del "Forum entomologi italiani" per campi di interesse e specializzazione

 
Altri Ordini di Insetti

Velvet Ant

13

1012536

07/09/2023, 17:14

Roberto-07 Vedi ultimo messaggio

Argomenti
Nessun messaggio da leggere
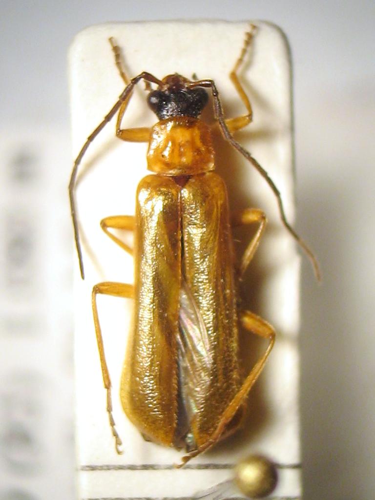
Cantharis (Cantharis) nigricans (O. F. Müller, 1776) - Cantharidae
27.VII.2014 - ITALIA - Trentino-Alto Adige - TN
Allegato(i)
Cantharis (Cantharis) nigricans (O. F. Müller, 1776) - Cantharidae

27.VII.2014 - ITALIA - Trentino-Alto Adige - TN
Coleoptera

Mikiphasmide

2

719

28/08/2014, 20:05

Mikiphasmide Vedi ultimo messaggio

Nessun messaggio da leggere
Cantharidae
31.VII.2014 - ITALIA - Trentino-Alto Adige - TN
Allegato(i)
Cantharidae

31.VII.2014 - ITALIA - Trentino-Alto Adige - TN
Coleoptera

Mikiphasmide

3

706

27/08/2014, 20:46

hutia Vedi ultimo messaggio

Nessun messaggio da leggere
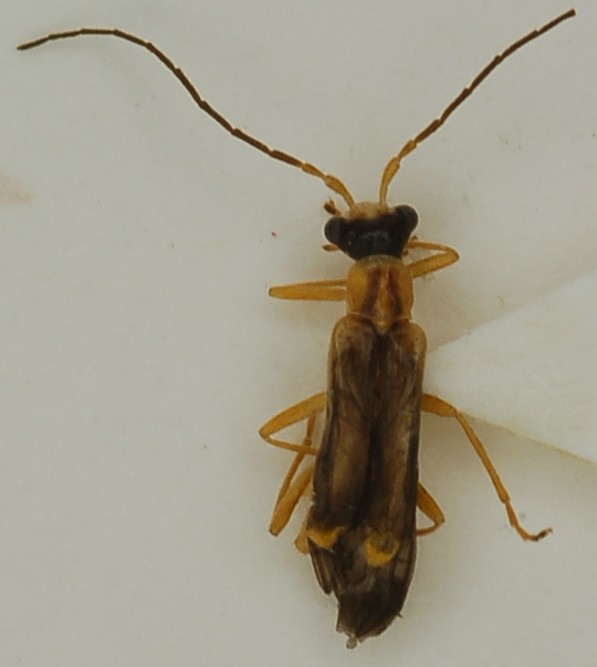
Rhagonycha (Rhagonycha) nigripes (W. Redtenbacher, 1842) - Cantharidae
31.VII.2014 - ITALIA - Trentino-Alto Adige - TN
Allegato(i)
Rhagonycha (Rhagonycha) nigripes (W. Redtenbacher, 1842) - Cantharidae

31.VII.2014 - ITALIA - Trentino-Alto Adige - TN
Coleoptera

Mikiphasmide

2

531

27/08/2014, 20:10

Mikiphasmide Vedi ultimo messaggio

Nessun messaggio da leggere
Rhagonycha (Rhagonycha) maculicollis Maerkel, 1852 - Cantharidae
1.VIII.2014 - ITALIA - Trentino-Alto Adige - BZ
Allegato(i)
Rhagonycha (Rhagonycha) maculicollis Maerkel, 1852 - Cantharidae

1.VIII.2014 - ITALIA - Trentino-Alto Adige - BZ
Coleoptera

Mikiphasmide

9

991

26/08/2014, 21:25

Julodis Vedi ultimo messaggio

Nessun messaggio da leggere
Rhagonycha sp. - Cantharidae
1.VIII.2008 - BULGARIA - EE
Allegato(i)
Rhagonycha sp. - Cantharidae

1.VIII.2008 - BULGARIA - EE
Coleoptera

Joro

1

648

20/08/2014, 7:41

hutia Vedi ultimo messaggio

Nessun messaggio da leggere
Allegato(i)
Chauliognathus nigrocinctus Gorham, 1881 - Cantharidae

8.X.2012 - MESSICO - EE
Coleoptera

Julodis

6

1465

13/08/2014, 23:26

Julodis Vedi ultimo messaggio

Nessun messaggio da leggere
Malthodes umbrosus Kiesenwetter, 1871 - Cantharidae
18.V.2014 - ITALIA - Lazio - RM
Allegato(i)
Malthodes umbrosus Kiesenwetter, 1871 - Cantharidae

18.V.2014 - ITALIA - Lazio - RM
Coleoptera

giuseppe55

7

945

12/07/2014, 19:13

giuseppe55 Vedi ultimo messaggio

Nessun messaggio da leggere
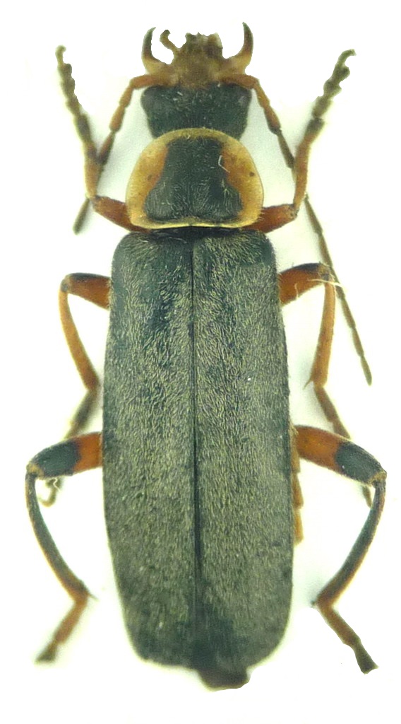
Cratosilis sp. - Cantharidae
12.V.2012 - ITALIA - Umbria - PG
Allegato(i)
Cratosilis sp. - Cantharidae

12.V.2012 - ITALIA - Umbria - PG
Coleoptera

Maura

7

1056

21/06/2014, 7:29

hutia Vedi ultimo messaggio

Nessun messaggio da leggere
Allegato(i)
Rhagonycha (Rhagonycha) fulva (Scopoli, 1763) - Cantharidae

20.V.2014 - ITALIA - Lazio - RM
Coleoptera

aesalus37

2

517

17/06/2014, 6:48

aesalus37 Vedi ultimo messaggio

Nessun messaggio da leggere
Allegato(i)
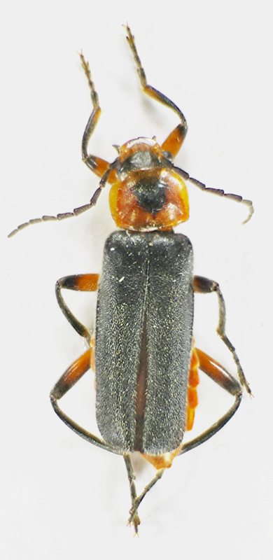
Rhagonycha (Rhagonycha) nigriceps (Waltl, 1838) ♀ - Cantharidae

8.VI.2014 - ITALIA - Marche - MC
Coleoptera

marco paglialunga

4

714

12/06/2014, 14:30

marco paglialunga Vedi ultimo messaggio

Nessun messaggio da leggere
Malthinus sp. - Cantharidae
24.V.2014 - TURCHIA - EE
Allegato(i)
Malthinus sp. - Cantharidae

24.V.2014 - TURCHIA - EE
Coleoptera

ozgur70

1

422

26/05/2014, 7:57

hutia Vedi ultimo messaggio

Nessun messaggio da leggere
Cantharis (Cantharis) inculta Gené, 1839 - Cantharidae
17.V.2014 - ITALIA - Sardegna - SS
Allegato(i)
Cantharis (Cantharis) inculta Gené, 1839 - Cantharidae

17.V.2014 - ITALIA - Sardegna - SS
Coleoptera

Palaemonetes

3

559

22/05/2014, 16:34

hutia Vedi ultimo messaggio

Nessun messaggio da leggere
Cratosilis sicula (Marseul, 1864) (cf.) - Cantharidae
4.V.2014 - ITALIA - Lazio - RM
Allegato(i)
Cratosilis sicula (Marseul, 1864) (cf.) - Cantharidae

4.V.2014 - ITALIA - Lazio - RM
Coleoptera

aesalus37

2

586

14/05/2014, 6:50

aesalus37 Vedi ultimo messaggio

Nessun messaggio da leggere
Cantharis decipiens (cf.) - Cantharidae
1.VII.2013 - ITALIA - Campania - SA
Allegato(i)
Cantharis decipiens (cf.) - Cantharidae

[ Vai alla paginaVai alla pagina: 1, 2 ]



1.VII.2013 - ITALIA - Campania - SA
Coleoptera

francescoparisi

16

2091

13/05/2014, 17:06

hutia Vedi ultimo messaggio

Nessun messaggio da leggere
Rhagonycha (Rhagonycha) nigriceps (Waltl, 1838) - Cantharidae
11.VIII.2013 - ITALIA - Abruzzo - TE
Allegato(i)
Rhagonycha (Rhagonycha) nigriceps (Waltl, 1838) - Cantharidae

11.VIII.2013 - ITALIA - Abruzzo - TE
Coleoptera

francescoparisi

2

649

12/05/2014, 8:15

francescoparisi Vedi ultimo messaggio

Nessun messaggio da leggere
Cantharis (Cantharis) rustica Fallén, 1807 - Cantharidae
20.IV.2014 - ITALIA - Lombardia - BS
Allegato(i)
Cantharis (Cantharis) rustica Fallén, 1807 - Cantharidae

20.IV.2014 - ITALIA - Lombardia - BS
Coleoptera

Peter

4

793

01/05/2014, 10:44

Peter Vedi ultimo messaggio

Nessun messaggio da leggere
Cratosilis sp. - Cantharidae
29.IV.2014 - ITALIA - Emilia-Romagna - RA
Allegato(i)
Cratosilis sp. - Cantharidae

29.IV.2014 - ITALIA - Emilia-Romagna - RA
Coleoptera

Carlo A.

4

803

29/04/2014, 19:42

hutia Vedi ultimo messaggio

Nessun messaggio da leggere
Rhagonycha gr. femoralis - Cantharidae
24.IV.2014 - ITALIA - Veneto - TV
Allegato(i)
Rhagonycha gr. femoralis - Cantharidae

24.IV.2014 - ITALIA - Veneto - TV
Coleoptera

Jacopo

2

673

28/04/2014, 17:21

Jacopo Vedi ultimo messaggio

Nessun messaggio da leggere
Cantharis rustica Fallén, 1807 - Cantharidae
21.IV.2011 - ITALIA - Umbria - PG
Allegato(i)
Cantharis rustica Fallén, 1807 - Cantharidae

21.IV.2011 - ITALIA - Umbria - PG
Coleoptera

ilio

4

915

26/04/2014, 22:19

Dioli Vedi ultimo messaggio

Nessun messaggio da leggere
Malthinus sp. - Cantharidae
10.VII.2013 - ITALIA - Molise - IS
Allegato(i)
Malthinus sp. - Cantharidae

10.VII.2013 - ITALIA - Molise - IS
Coleoptera

francescoparisi

4

552

03/04/2014, 10:48

francescoparisi Vedi ultimo messaggio

Nessun messaggio da leggere
Cantharis (Cantharis) rustica Fallén, 1807 - Cantharidae
30.III.2014 - ITALIA - Veneto - PD
Allegato(i)
Cantharis (Cantharis) rustica Fallén, 1807 - Cantharidae

30.III.2014 - ITALIA - Veneto - PD
Coleoptera

Umbro

3

614

02/04/2014, 11:20

Umbro Vedi ultimo messaggio

Nessun messaggio da leggere
Rhagonycha (Rhagonycha) fulva (Scopoli, 1763) - Cantharidae
8.VI.2013 - ITALIA - Piemonte - AL
Allegato(i)
Rhagonycha (Rhagonycha) fulva (Scopoli, 1763) - Cantharidae

8.VI.2013 - ITALIA - Piemonte - AL
Coleoptera

Danilo Bausano

4

664

26/03/2014, 21:03

hutia Vedi ultimo messaggio

Nessun messaggio da leggere
Cantharis sp. - Cantharidae (gr. tristis)
6.VI.2011 - ITALIA - Emilia-Romagna - BO
Allegato(i)
Cantharis sp. - Cantharidae (gr. tristis)

6.VI.2011 - ITALIA - Emilia-Romagna - BO
Coleoptera

sarsar09

2

504

03/03/2014, 17:22

sarsar09 Vedi ultimo messaggio

Nessun messaggio da leggere
Allegato(i)
Cantharis (Cantharis) annularis Ménétriés, 1836 - Cantharidae

V.2011 - TURCHIA - EE
Coleoptera

Fumea crassiorella

2

531

02/03/2014, 17:34

Fumea crassiorella Vedi ultimo messaggio

Nessun messaggio da leggere
Allegato(i)
Cantharis (Cantharis) decipiens Baudi, 1871 (cf.) - Cantharidae

16.VI.2013 - ITALIA - Molise - IS
Coleoptera

francescoparisi

2

448

23/02/2014, 18:08

hutia Vedi ultimo messaggio

Nessun messaggio da leggere
Allegato(i)
Cantharis (Cantharis) decipiens Baudi, 1871 (cf.) - Cantharidae

16.VI.2013 - ITALIA - Molise - IS
Coleoptera

francescoparisi

2

471

22/02/2014, 19:28

francescoparisi Vedi ultimo messaggio

Nessun messaggio da leggere
Allegato(i)
Rhagonycha (Rhagonycha) lignosa (O. F. Muller, 1764) - Cantharidae

6.VIII.2013 - ITALIA - Molise - IS
Coleoptera

francescoparisi

2

485

22/02/2014, 19:28

francescoparisi Vedi ultimo messaggio

Nessun messaggio da leggere
Cantharidae
6.VIII.2013 - ITALIA - Molise - IS
Allegato(i)
Cantharidae

6.VIII.2013 - ITALIA - Molise - IS
Coleoptera

francescoparisi

3

581

20/02/2014, 19:12

francescoparisi Vedi ultimo messaggio

Nessun messaggio da leggere
Rhagonycha (Rhagonycha) nigriceps (Waltl, 1838) - Cantharidae
6.VIII.2013 - ITALIA - Molise - IS
Allegato(i)
Rhagonycha (Rhagonycha) nigriceps (Waltl, 1838) - Cantharidae

6.VIII.2013 - ITALIA - Molise - IS
Coleoptera

francescoparisi

2

518

20/02/2014, 18:38

francescoparisi Vedi ultimo messaggio

Nessun messaggio da leggere
Cantharis livida Linnaeus, 1758 - Cantharidae
30.VI.2013 - ITALIA - Lombardia - BS
Allegato(i)
Cantharis livida Linnaeus, 1758 - Cantharidae

30.VI.2013 - ITALIA - Lombardia - BS
Coleoptera

Livio

12

1508

17/02/2014, 15:18

hutia Vedi ultimo messaggio

Nessun messaggio da leggere
Allegato(i)
Cantharis (Cantharis) paganettii (Flach 1907) (cf.) - Cantharidae

18.IV.2012 - ITALIA - Molise - IS
Coleoptera

Franco ROSSI

13

1846

10/02/2014, 20:10

hutia Vedi ultimo messaggio

Nessun messaggio da leggere
Malthodes sp. - Cantharidae
VII.2014 - DANIMARCA - EE
Allegato(i)
Malthodes sp. - Cantharidae

VII.2014 - DANIMARCA - EE
Coleoptera

Marco Ferrante

4

730

09/02/2014, 14:57

hutia Vedi ultimo messaggio

Nessun messaggio da leggere
Rhagonycha (Rhagonycha) fulva (Scopoli, 1763) - Cantharidae
16.VIII.2013 - ITALIA - Emilia-Romagna - BO
Allegato(i)
Rhagonycha (Rhagonycha) fulva (Scopoli, 1763) - Cantharidae

16.VIII.2013 - ITALIA - Emilia-Romagna - BO
Coleoptera

sarsar09

2

537

08/02/2014, 19:59

sarsar09 Vedi ultimo messaggio

Nessun messaggio da leggere
Cantharidae
16.VI.2011 - GEORGIA - EE
Allegato(i)
Cantharidae

16.VI.2011 - GEORGIA - EE
Coleoptera

togaspain

5

1229

12/01/2014, 22:48

AetherisIgnis Vedi ultimo messaggio

Nessun messaggio da leggere
Malthodes sp. - Cantharidae
V.2013 - ITALIA - Lazio - RM
Allegato(i)
Malthodes sp. - Cantharidae

V.2013 - ITALIA - Lazio - RM
Coleoptera

aesalus37

6

827

27/12/2013, 7:51

aesalus37 Vedi ultimo messaggio

Nessun messaggio da leggere
Malthodes sp. - Cantharidae
IV.2013 - ITALIA - Lazio - RM
Allegato(i)
Malthodes sp. - Cantharidae

IV.2013 - ITALIA - Lazio - RM
Coleoptera

aesalus37

5

732

24/12/2013, 21:47

aesalus37 Vedi ultimo messaggio

Nessun messaggio da leggere
Cantharis (Cantharis) sp. gruppo tristis - Cantharidae
18.VI.2013 - ITALIA - Abruzzo - AQ
Allegato(i)
Cantharis (Cantharis) sp. gruppo tristis - Cantharidae

18.VI.2013 - ITALIA - Abruzzo - AQ
Coleoptera

venturini

6

827

23/12/2013, 13:26

hutia Vedi ultimo messaggio

Nessun messaggio da leggere
Cantharis (Cantharis) sp. gruppo tristis - Cantharidae
18.VI.2013 - ITALIA - Abruzzo - AQ
Allegato(i)
Cantharis (Cantharis) sp. gruppo tristis - Cantharidae

18.VI.2013 - ITALIA - Abruzzo - AQ
Coleoptera

venturini

12

1222

23/12/2013, 13:24

hutia Vedi ultimo messaggio

Nessun messaggio da leggere
Cantharis gr. tristis - Cantharidae
11.VII.2013 - ITALIA - Lombardia - PV
Allegato(i)
Cantharis gr. tristis - Cantharidae

11.VII.2013 - ITALIA - Lombardia - PV
Coleoptera

PAOLO BIELLA

9

945

24/11/2013, 21:52

PAOLO BIELLA Vedi ultimo messaggio

Nessun messaggio da leggere
Allegato(i)
Cantharis (Cantharis) livida Linnaeus, 1758 - Cantharidae

5.V.1954 - ITALIA - Lazio - RM
Coleoptera

Valerio

2

626

21/11/2013, 23:21

Valerio Vedi ultimo messaggio

Nessun messaggio da leggere
Allegato(i)
Rhagonycha (Rhagonycha) nigriceps (Waltl, 1838) - Cantharidae Cantharinae

19.VI.2011 - ITALIA - Lazio - RI
Coleoptera

Valerio

4

916

21/11/2013, 0:47

Valerio Vedi ultimo messaggio

Nessun messaggio da leggere
Malthodes (cf.) - Cantharidae.
27.IV.2012 - ITALIA - Sicilia - ME
Allegato(i)
Malthodes (cf.) - Cantharidae.

27.IV.2012 - ITALIA - Sicilia - ME
Coleoptera

Valerio

3

614

20/11/2013, 17:16

hutia Vedi ultimo messaggio

Nessun messaggio da leggere
Allegato(i)
Cantharis (Cantharis) rustica Fallen, 1807 - Cantharidae

27.V.2013 - GERMANIA - EE
Coleoptera

Olaffio

5

702

02/11/2013, 18:52

Olaffio Vedi ultimo messaggio

Nessun messaggio da leggere
Cantharis (Cantharis) nigricans (O.F. Müller, 1776) - Cantharidae
11.VII.2013 - ITALIA - Lombardia - PV
Allegato(i)
Cantharis (Cantharis) nigricans (O.F. Müller, 1776) - Cantharidae

11.VII.2013 - ITALIA - Lombardia - PV
Coleoptera

PAOLO BIELLA

5

809

02/11/2013, 16:42

hutia Vedi ultimo messaggio

Nessun messaggio da leggere
Cantharis obscura (Linnaeus 1758) - Cantharidae
1.IV.2012 - ITALIA - Lazio - RM
Allegato(i)
Cantharis obscura (Linnaeus 1758) - Cantharidae

1.IV.2012 - ITALIA - Lazio - RM
Coleoptera

soken

6

877

27/10/2013, 21:13

hutia Vedi ultimo messaggio

Nessun messaggio da leggere
Allegato(i)
Cantharis (Cantharis) figurata Mannerheim, 1843 - Cantharidae

25.V.2012 - ITALIA - Umbria - PG
Coleoptera

Maura

1

577

27/10/2013, 15:25

hutia Vedi ultimo messaggio

Nessun messaggio da leggere
Allegato(i)
Cantharis (Cantharis) paganettii (Flach 1907) (cf.) - Cantharidae

2.IV.2011 - ITALIA - Basilicata - MT
Coleoptera

Mimmo011

8

1951

27/10/2013, 15:22

hutia Vedi ultimo messaggio

Nessun messaggio da leggere
Rhagonycha (Rhagonycha) fulva (Scopoli, 1763) - Cantharidae
1.VI.2013 - ITALIA - Sicilia - CT
Allegato(i)
Rhagonycha (Rhagonycha) fulva (Scopoli, 1763) - Cantharidae

1.VI.2013 - ITALIA - Sicilia - CT
Coleoptera

Lucanus tetraodon

1

565

11/09/2013, 18:55

hutia Vedi ultimo messaggio

Nessun messaggio da leggere
Cantharis tristis (Fabricius, 1797) - Cantharidae
2.VI.2012 - ITALIA - Toscana - PT
Allegato(i)
Cantharis tristis (Fabricius, 1797) - Cantharidae

2.VI.2012 - ITALIA - Toscana - PT
Coleoptera

sarsar09

6

1541

01/09/2013, 10:29

sarsar09 Vedi ultimo messaggio

Nessun messaggio da leggere
Cantharis sp. - Cantharidae
10.IV.2013 - CIPRO - EE
Allegato(i)
Cantharis sp. - Cantharidae

10.IV.2013 - CIPRO - EE
Coleoptera

T_18

3

695

19/08/2013, 16:23

hutia Vedi ultimo messaggio

Visualizza ultimi argomenti:  Ordina per  Ordine:  
nuovo argomento
Vai alla pagina Precedente  1, 2, 3, 4, 5, 6, 7  Prossimo
Pagina 5 di 7 [ 338 argomenti ]

Tutti gli orari sono UTC + 1 ora [ ora legale ]


Chi c’è in linea

Visitano il forum: Nessuno e 1 ospite


Legenda
Messaggi da leggere Messaggi da leggere Nessun messaggio da leggere Nessun messaggio da leggere Annuncio Annuncio
 
Specie indeterminata / discussione generica
Messaggi non letti [ Popolari ] Messaggi non letti [ Popolari ] Nessun messaggio da leggere [ Popolare ] Nessun messaggio da leggere [ Popolare ] Importante Importante
 
Specie determinata fino al genere o cf.
Messaggi non letti [ Bloccati ] Messaggi non letti [ Bloccati ] No messaggi non letti [ Bloccati ] No messaggi non letti [ Bloccati ] Argomento spostato Argomento spostato
 
Specie correttamente determinata
Permessi
Non puoi aprire nuovi argomenti
Non puoi rispondere negli argomenti
Non puoi modificare i tuoi messaggi
Non puoi cancellare i tuoi messaggi
Non puoi inviare allegati

Cerca per:
Vai a: