Benvenuto Ospite

Forum Entomologi Italiani

www.entomologiitaliani.net/forum
 
Oggi è 27/10/2025, 14:22

Tutti gli orari sono UTC + 1 ora [ ora legale ]

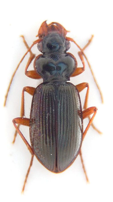
Leistus (Leistus) nitidus (Duftschmid, 1812) - Carabidae

7.VII.2010 - ITALIA - Lombardia - BG, Monte Pora


nuovo argomento
rispondi
Pagina 1 di 1 [ 15 messaggi ]
Autore Messaggio
MessaggioInviato: 22/12/2010, 20:34 
Avatar utente

Iscritto il: 21/05/2009, 14:59
Messaggi: 6994
Località: Parigi
Nome: Riccardo Poloni
Trovato sotto una pietra a sua volta sotto a un abete che a sua volta stava sotto un piccolo bordo di roccia :mrgreen: :mrgreen: . Maurizio (Gomphus) mi aveva detto una specie ma io non me la ricordo, ovviamente :lol: :lol: .

ITALY-LOMBARDIA (BG)
Mt.Pora, 1600 m
7.VII.2010, Riccardo Poloni legit
Leistus sp.jpg


_________________
Riccardo Poloni
La dignità degli elementi
la libertà della poesia,
al di là dei tradimenti degli uomini
è magia, è magia, è magia...
Negrita, Rotolando verso sud


Top
profilo
 Oggetto del messaggio: Re: Leistus sp. dal Molte Pora (BG)
MessaggioInviato: 22/12/2010, 20:44 
Avatar utente

Iscritto il: 10/05/2009, 15:30
Messaggi: 7182
Località: Ancona
Nome: Giacomo Giovagnoli
Leistus (Pogonophorus) rufomarginatus (Duftschmid, 1812)??? :roll:

Ciao :)

_________________
Immagine Giacomo


Top
profilo
 Oggetto del messaggio: Re: Leistus sp. dal Molte Pora (BG)
MessaggioInviato: 22/12/2010, 20:48 
Avatar utente

Iscritto il: 21/05/2009, 14:59
Messaggi: 6994
Località: Parigi
Nome: Riccardo Poloni
Non chiederlo a me...se non lo sai tu :lol: :lol: . Aspettiamo un "Carabo" più "ferrato"*

*adesso che c'è la neve anche i carabi come Pavesi montano le zampe da neve (perchè quelle chiodate sono proibite) :gh: :gh:

_________________
Riccardo Poloni
La dignità degli elementi
la libertà della poesia,
al di là dei tradimenti degli uomini
è magia, è magia, è magia...
Negrita, Rotolando verso sud


Top
profilo
 Oggetto del messaggio: Re: Leistus sp. dal Molte Pora (BG)
MessaggioInviato: 22/12/2010, 21:05 
Avatar utente

Iscritto il: 06/02/2009, 9:07
Messaggi: 1484
Località: Val Camonica (BS)
Nome: Davide Pedersoli
Leistus nitidus????

_________________
Pedux Camuno


Top
profilo
 Oggetto del messaggio: Re: Leistus sp. dal Molte Pora (BG)
MessaggioInviato: 22/12/2010, 21:36 
Avatar utente

Iscritto il: 05/02/2009, 17:44
Messaggi: 2682
Località: Garbagnate Milanese
Nome: Augusto Franzini
Un carattere diagnostico importante (la lunghezza relativa fra 3 e 5 articolo antennale) non si apprezza dalla foto. Il più comune fra quelli plausibili è il L. fulvibarbis Dejean...il nitidus Duft. mi pare più allungato.

_________________
Augusto (aug)
Prediction is very difficult, especially about the future (Niels Bohr, fisico)


Top
profilo
 Oggetto del messaggio: Re: Leistus sp. dal Molte Pora (BG)
MessaggioInviato: 22/12/2010, 21:42 
Avatar utente

Iscritto il: 06/02/2009, 9:07
Messaggi: 1484
Località: Val Camonica (BS)
Nome: Davide Pedersoli
ma il fulvibarbis dovrebbe esserci solo nelle Alpi occidentali e poi al centro sud......boooooooooo, aspettiamo gomphus......cmq non ho mai trovato Leistus sul Pora :cry: :cry:

_________________
Pedux Camuno


Top
profilo
 Oggetto del messaggio: Re: Leistus sp. dal Molte Pora (BG)
MessaggioInviato: 23/12/2010, 17:54 
Avatar utente

Iscritto il: 21/05/2009, 14:59
Messaggi: 6994
Località: Parigi
Nome: Riccardo Poloni
La prossima volta andiamo insieme. Sai te quante cose non ho trovato io? :mrgreen: :mrgreen: . Quando ho tempo faccio la foto delle antenne.

_________________
Riccardo Poloni
La dignità degli elementi
la libertà della poesia,
al di là dei tradimenti degli uomini
è magia, è magia, è magia...
Negrita, Rotolando verso sud


Top
profilo
 Oggetto del messaggio: Re: Leistus sp. dal Molte Pora (BG)
MessaggioInviato: 23/12/2010, 20:45 
Avatar utente

Iscritto il: 06/02/2009, 9:07
Messaggi: 1484
Località: Val Camonica (BS)
Nome: Davide Pedersoli
:ok:

_________________
Pedux Camuno


Top
profilo
MessaggioInviato: 28/12/2010, 12:03 
Avatar utente

Iscritto il: 06/02/2009, 9:07
Messaggi: 1484
Località: Val Camonica (BS)
Nome: Davide Pedersoli
ma non si è ancora scoperto che specie è.... :(

_________________
Pedux Camuno


Top
profilo
MessaggioInviato: 28/12/2010, 16:37 
Avatar utente

Iscritto il: 21/05/2009, 14:59
Messaggi: 6994
Località: Parigi
Nome: Riccardo Poloni
Perchè io non posso ancora modificare le immagini. Siccome il computer dove ho i programmi di grafica è rotto, non posso inserire le foto che forse farò oggi sul forum. Appenna quel pirla di mio fratello lo aggiusta le inserisco :ok: :ok:

_________________
Riccardo Poloni
La dignità degli elementi
la libertà della poesia,
al di là dei tradimenti degli uomini
è magia, è magia, è magia...
Negrita, Rotolando verso sud


Top
profilo
MessaggioInviato: 28/12/2010, 17:16 
Avatar utente

Iscritto il: 26/03/2010, 14:55
Messaggi: 5973
Località: Romania
Nome: Cosmin-Ovidiu Manci
Plagionotus ha scritto:
Perchè io non posso ancora modificare le immagini. Siccome il computer dove ho i programmi di grafica è rotto, non posso inserire le foto che forse farò oggi sul forum. Appenna quel pirla di mio fratello lo aggiusta le inserisco :ok: :ok:


maybe this can help... hope that you don't mind ;)

Leistus sp.jpg


_________________
Cosmin-Ovidiu Manci
**********************
cosmln's place - my blog
just insects
Dragonflies of Romania


Top
profilo
 Oggetto del messaggio: Re: Leistus sp. dal Molte Pora (BG)
MessaggioInviato: 28/12/2010, 18:02 
Avatar utente

Iscritto il: 05/02/2009, 17:31
Messaggi: 9527
Località: milano
Nome: maurizio pavesi
allora, mi sono finalmente deciso :oops: a fare qualche confrontucchio :mrgreen: , dato che dalla foto non era così facile

bene, anzi male :( ... temo che non sia esattamente una grande rarità :oooner:

Leistus (s. str.) nitidus (Duftschmid, 1812) :cry:

nota
Plagionotus ha scritto:
... Aspettiamo un "Carabo" più "ferrato"*

*adesso che c'è la neve anche i carabi come Pavesi montano le zampe da neve (perchè quelle chiodate sono proibite) :gh: :gh:

ti contraddico :no: ... adesso che c'è la neve i carabi come il C. pavesii ;) , specie spiccatamente termofila e... frigofoba :D si sono fatti una celletta foderata con tutto ciò che di caldo e morbido sono riusciti a trovare :mrgreen: , ci si sono chiusi dentro e ne escono solo quando finiscono le provviste :lol1: ...

_________________
*****************
Immagine maurizio


Top
profilo
MessaggioInviato: 28/12/2010, 18:06 
Avatar utente

Iscritto il: 06/02/2009, 9:07
Messaggi: 1484
Località: Val Camonica (BS)
Nome: Davide Pedersoli
invece i temerari carabari amatoriali come me ora che fa freddo se ne vanno sulle alte cime a vedere se riescono a rimanere sotto a qualche slavina.....sperom de no!!!! :twisted: :twisted: :twisted:

_________________
Pedux Camuno


Top
profilo
 Oggetto del messaggio: Re: Leistus sp. dal Molte Pora (BG)
MessaggioInviato: 28/12/2010, 18:23 
Avatar utente

Iscritto il: 26/03/2010, 14:55
Messaggi: 5973
Località: Romania
Nome: Cosmin-Ovidiu Manci
gomphus ha scritto:
Plagionotus ha scritto:
*adesso che c'è la neve anche i carabi come Pavesi montano le zampe da neve (perchè quelle chiodate sono proibite) :gh: :gh:

ti contraddico :no: ... adesso che c'è la neve i carabi come il C. pavesii ;) , specie spiccatamente termofila e... frigofoba :D si sono fatti una celletta foderata con tutto ciò che di caldo e morbido sono riusciti a trovare :mrgreen: , ci si sono chiusi dentro e ne escono solo quando finiscono le provviste :lol1: ...


:D :ok: :ok: :ok: :D

_________________
Cosmin-Ovidiu Manci
**********************
cosmln's place - my blog
just insects
Dragonflies of Romania


Top
profilo
MessaggioInviato: 28/12/2010, 23:39 
Avatar utente

Iscritto il: 21/05/2009, 14:59
Messaggi: 6994
Località: Parigi
Nome: Riccardo Poloni
Grazie Maurizio :hp: :hp: :lov1: :lov1: :birra: :birra: :lov2: :lov2: . Io sono della pasta di Davide, giro SEMPRE, anche con mezzo metro di neve :mrgreen: :mrgreen: :gh: :gh:

_________________
Riccardo Poloni
La dignità degli elementi
la libertà della poesia,
al di là dei tradimenti degli uomini
è magia, è magia, è magia...
Negrita, Rotolando verso sud


Top
profilo
Visualizza ultimi messaggi:  Ordina per  
nuovo argomento
rispondi
Pagina 1 di 1 [ 15 messaggi ]

Tutti gli orari sono UTC + 1 ora [ ora legale ]


Chi c’è in linea

Visitano il forum: Nessuno e 17 ospiti


Non puoi aprire nuovi argomenti
Non puoi rispondere negli argomenti
Non puoi modificare i tuoi messaggi
Non puoi cancellare i tuoi messaggi
Non puoi inviare allegati

Cerca per:
Vai a:  
cron