| Autore |
Messaggio |
|
alexaandru
|
Inviato: 05/07/2011, 17:14 |
|
Iscritto il: 31/08/2010, 7:16 Messaggi: 3040 Località: Romania
Nome: Pintilioaie Alexandru Mihai
|
|
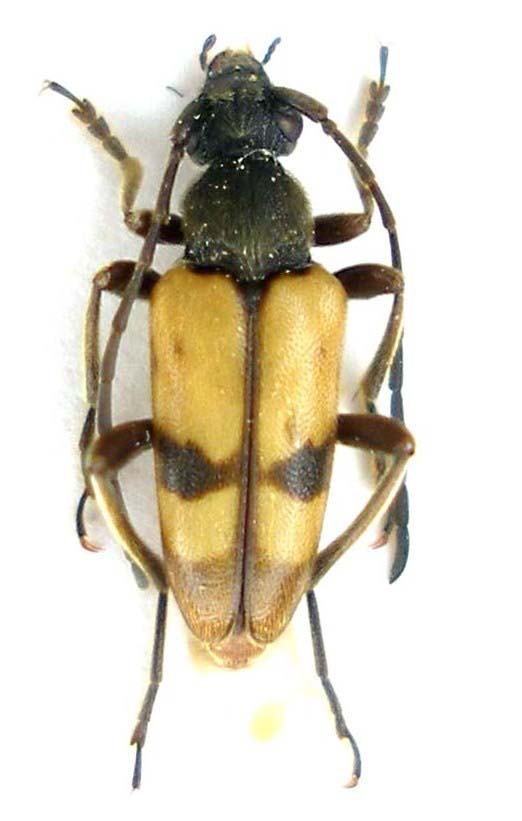
This is the first time when I found this species and only this specimen. It is Pachytodes erraticus ?
_________________ alexandrupintilioaie(AT)gmail.com
|
|
| Top |
|
 |
|
Julodis
|
Inviato: 05/07/2011, 17:40 |
|
Iscritto il: 30/12/2009, 22:20 Messaggi: 31564 Località: Roma
Nome: Maurizio Gigli
|
|
| Top |
|
 |
|
alexaandru
|
Inviato: 05/07/2011, 17:42 |
|
Iscritto il: 31/08/2010, 7:16 Messaggi: 3040 Località: Romania
Nome: Pintilioaie Alexandru Mihai
|
Julodis ha scritto: :ok: Thank you 
_________________ alexandrupintilioaie(AT)gmail.com
|
|
| Top |
|
 |
|
Isotomus
|
Inviato: 05/07/2011, 17:54 |
|
Iscritto il: 05/09/2009, 7:56 Messaggi: 3445 Località: Cesena
Nome: Gianfranco Sama
|
Scusa Maurizio, ma a me sembra piuttosto Pachytodes cerambyciformis (Schrank, 1781) 
_________________ Gianfranco Sama
"Benedetto colui che ti aiuta a correggere i tuoi errori invece di scagliarteli contro" ___________________________________ Gershom Sholem
|
|
| Top |
|
 |
|
Tc70
|
Inviato: 05/07/2011, 20:33 |
|
Iscritto il: 09/11/2010, 19:52 Messaggi: 4518 Località: Brescia
Nome: Luca Bodei
|
Isotomus ha scritto: Scusa Maurizio, ma a me sembra piuttosto Pachytodes cerambyciformis (Schrank, 1781)  Scusa Gianfranco, fammi capire,ma nel P.cerambyciformis c'è quella riga nera verticale come sutura elitrale  ,poi il pronoto sembrerebbe di scorgere della piccola peluria coricata tipica del P.erraticus,o sbaglio  Help,illuminaci 
_________________ Tc70
|
|
| Top |
|
 |
|
Isotomus
|
Inviato: 05/07/2011, 21:38 |
|
Iscritto il: 05/09/2009, 7:56 Messaggi: 3445 Località: Cesena
Nome: Gianfranco Sama
|
La colorazione elitrale (o il disegno) è variabilissimo tanto in cerambyciformis quanto in erraticus, quindi questo carattere, citato da Bense, ha un valore statistico, e non un è carattere diagnostico sicuro (possiedo esemplari di erraticus con elitre totalmente chiare inclusa la sutura). Le differenze sono nelle elitre, opache con setole corte e uncinate nella prima, lucide e con setole obliquamente erette nella seconda. Nella pubescenza del pronoto, più corta e più rada nella prima (cerambyciformis) e nettamente più lunga nella seconda (erraticus). C’è un altro carattere (citato da Villiers e da Bense (e, forse, da altri prima) più difficile da apprezzare, ma che potrebbe rivelarsi decisivo:ll’ultimo articolo dei tarsi è diviso solo all’apice in erraticus, molto più profondamente in cerambyciformis. Inoltre, le elitre sono generalmente rossicce nel quanrto apicale nei maschi di erraticus. Ora, per l’esemplare di Alexandru, mi sono fidato della foto in cui l’insetto appare opaco. Gli altri caratteri non sono bene visibili, ma, avendo schiarito l’immagine, la pubescenza del pronoto appare densa e le elitre sembrano lucide, quindi se Alexandru conferma questo e gli altri caratteri, faccio volentieri ammenda e mi correggo.
_________________ Gianfranco Sama
"Benedetto colui che ti aiuta a correggere i tuoi errori invece di scagliarteli contro" ___________________________________ Gershom Sholem
|
|
| Top |
|
 |
|
Julodis
|
Inviato: 05/07/2011, 22:38 |
|
Iscritto il: 30/12/2009, 22:20 Messaggi: 31564 Località: Roma
Nome: Maurizio Gigli
|
|
Gianfranco, a me a prima vista è parso un erraticus, anche perchè lo trovo abbastanza spesso qui intorno. Anche nei giorni scorsi mi è capitato di trovarne qua e là. Il cerambyciformis non lo trovo più da anni, da quando andavo sulle Alpi, ma me lo ricordo nettamente più largo come forma generale del corpo. Forse però è solo uno scherzo della memoria. Non ho controllato in collezione.
|
|
| Top |
|
 |
|
Phytoecia
|
Inviato: 06/07/2011, 1:56 |
|
Iscritto il: 28/07/2010, 11:11 Messaggi: 235 Località: Poland
Nome: Jacek Kurzawa
|
|
It's very interesting specimens.
I am not sure .... I see .... P.erraticus (more as P.cerambyciformis) on the basis a following remarks:
- elytral suture is black (a) - apical black spot is a shape as P.erraticus (b)
a - black elytral sutura can missing in P.erraticus (I didn't know about this fact!) but P.cerambyciformis never have black elytral sutura (?), b - apical spot are different - P.cerambyciformis have a convex spot [2], P.erraticus have a concave spot [1] in apical part of elytra (illustration).
Additional photos is needed (lateral view, shining hairs on surface of elytra?) because this remarks are invisible. They will be helpful in better, safe determination (to doubt lose).
This case is very interesting to study to better knowledge difference between this species.
(sorry for my poor english).
|
|
| Top |
|
 |
|
alexaandru
|
Inviato: 06/07/2011, 8:14 |
|
Iscritto il: 31/08/2010, 7:16 Messaggi: 3040 Località: Romania
Nome: Pintilioaie Alexandru Mihai
|
Thank you all for your help  , I will try today to provide a few more pics from different angles with this interesting specimen Alex. 
_________________ alexandrupintilioaie(AT)gmail.com
|
|
| Top |
|
 |
|
alexaandru
|
Inviato: 06/07/2011, 10:37 |
|
Iscritto il: 31/08/2010, 7:16 Messaggi: 3040 Località: Romania
Nome: Pintilioaie Alexandru Mihai
|
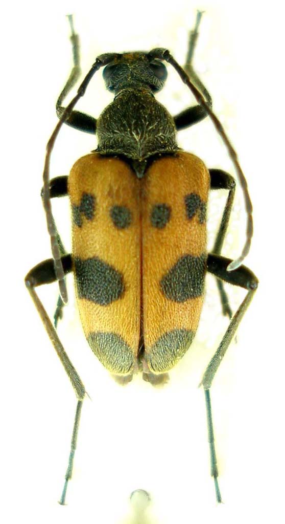
I hope this images will be usefull 
_________________ alexandrupintilioaie(AT)gmail.com
|
|
| Top |
|
 |
|
Phytoecia
|
Inviato: 06/07/2011, 10:51 |
|
Iscritto il: 28/07/2010, 11:11 Messaggi: 235 Località: Poland
Nome: Jacek Kurzawa
|
Thank you. They are a black epipleura, middle spot is wide at epipleura - P.erraticus. But - surface of elytra and colouration is as P.cerambyciformis. Very strange specimen.... I'm not sure. Only ours Gianfranco can resolve this problem :-)
|
|
| Top |
|
 |
|
alexaandru
|
Inviato: 06/07/2011, 11:28 |
|
Iscritto il: 31/08/2010, 7:16 Messaggi: 3040 Località: Romania
Nome: Pintilioaie Alexandru Mihai
|
Phytoecia ha scritto: Thank you. They are a black epipleura, middle spot is wide at epipleura - P.erraticus. But - surface of elytra and colouration is as P.cerambyciformis. Very strange specimen.... I'm not sure. Only ours Gianfranco can resolve this problem :-) Thank you  ...waiting for Gianfranco than 
_________________ alexandrupintilioaie(AT)gmail.com
|
|
| Top |
|
 |
|
Isotomus
|
Inviato: 06/07/2011, 19:25 |
|
Iscritto il: 05/09/2009, 7:56 Messaggi: 3445 Località: Cesena
Nome: Gianfranco Sama
|
I must think that I did never really study this genus before and my collection (together with the Schurmann collection) is not yet arranged. Therefore I had a look at the long series of P. erraticus from Italy, Balcan, Greece, Turkey and the series of P. cerambyciformis from the Alps (Italy and Austria). The elytral and pronotal pubescence are the best distinguishing characters; the shape of apical spot on elytra (suggested by Jacek, for me a new character) works as well, but sometimes it is unclear. Here the picture of last tarsomere according to Bense (1995) (432 = P. cerambyciformis; 433 = P. erraticus) which can be used with attention since not always clear. Here some bad pictures of specimens of my collection, including specimens of P. erraticus without black sutura. From Galiciça (Macedonia) crop of pronotum and base of elytra to show the pubescence two males from Friuli (northern Italy) and one from Basilicata (southern Italy)
_________________ Gianfranco Sama
"Benedetto colui che ti aiuta a correggere i tuoi errori invece di scagliarteli contro" ___________________________________ Gershom Sholem
|
|
| Top |
|
 |
|
Isotomus
|
Inviato: 06/07/2011, 19:34 |
|
Iscritto il: 05/09/2009, 7:56 Messaggi: 3445 Località: Cesena
Nome: Gianfranco Sama
|
A further male from Central Italy: Passo del Muraglione (Firenze) A female of P. cerambyciformis from Austria The specimen of Alexandru resembles my series of P. erraticus from Macedonia (Galiciça planina) (see above), somewhat different from, for an example, Italian or Turkish population. At the end, it is not totally clear for me, but I prefer to refer it, provisorily, to P. erraticus 
_________________ Gianfranco Sama
"Benedetto colui che ti aiuta a correggere i tuoi errori invece di scagliarteli contro" ___________________________________ Gershom Sholem
|
|
| Top |
|
 |
|
alexaandru
|
Inviato: 06/07/2011, 20:06 |
|
Iscritto il: 31/08/2010, 7:16 Messaggi: 3040 Località: Romania
Nome: Pintilioaie Alexandru Mihai
|
Many thanks Gianfranco  , I will try to get a photo with the last tarsomere, but I can't be sure that I will get a good enought photo 
_________________ alexandrupintilioaie(AT)gmail.com
|
|
| Top |
|
 |
|