Benvenuto Ospite

Forum Entomologi Italiani

www.entomologiitaliani.net/forum
 
Oggi è 28/10/2025, 12:56

Tutti gli orari sono UTC + 1 ora [ ora legale ]

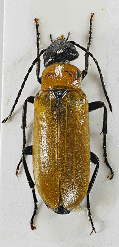
Zonitis sp. - Meloidae

7.VI.2011 - ITALIA - Umbria - PG, Magione circa 560 m slm


nuovo argomento
rispondi
Pagina 1 di 1 [ 2 messaggi ]
Autore Messaggio
 Oggetto del messaggio: Zonitis sp. - Meloidae
MessaggioInviato: 09/06/2011, 18:34 
 

Iscritto il: 02/02/2011, 11:51
Messaggi: 275
Località: Magione (PG)
Nome: ilio rocchi
il genere credo che sia Zonitis
su fiori di camomilla
12 mm
zonitis.JPG


_________________
_____________________
ilio rocchi


Top
profilo
 Oggetto del messaggio: Re: Meloidae
MessaggioInviato: 07/07/2011, 12:05 
 

Iscritto il: 10/06/2010, 16:05
Messaggi: 817
Nome: Marco A. Bologna
o Zonitis nana o immaculata. Bisogna vedere se il prosetrno è allungato e appuntito tra le procoxe oppure corto.
Marco B


Top
profilo
Visualizza ultimi messaggi:  Ordina per  
nuovo argomento
rispondi
Pagina 1 di 1 [ 2 messaggi ]

Tutti gli orari sono UTC + 1 ora [ ora legale ]


Chi c’è in linea

Visitano il forum: Nessuno e 3 ospiti


Non puoi aprire nuovi argomenti
Non puoi rispondere negli argomenti
Non puoi modificare i tuoi messaggi
Non puoi cancellare i tuoi messaggi
Non puoi inviare allegati

Cerca per:
Vai a: