Benvenuto Ospite

Forum Entomologi Italiani

www.entomologiitaliani.net/forum
 
Oggi è 30/10/2025, 7:24

Tutti gli orari sono UTC + 1 ora [ ora legale ]

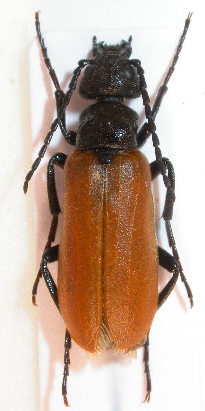
Zonitis sp. (cf.) - Meloidae

26.VI.2011 - TURCHIA - EE, 3o km E Aglasun (Burdur) 37.609 N, 30.861 E, leg. R. Rattu


nuovo argomento
rispondi
Pagina 1 di 1 [ 3 messaggi ]
Autore Messaggio
 Oggetto del messaggio: Zonitis sp. (cf.) - Meloidae
MessaggioInviato: 20/06/2011, 12:09 
Avatar utente

Iscritto il: 02/09/2009, 20:57
Messaggi: 8703
Località: Cagliari
Nome: Roberto Rattu
Un'altro dei tanti meloidi raccolti in Turchia: è lungo circa 15 mm: mi pare l'avessi raccolto su un fiore.


DSCN8012.JPG

Top
profilo
 Oggetto del messaggio: Re: Meloidae da id.
MessaggioInviato: 20/06/2011, 15:58 
 

Iscritto il: 30/09/2009, 19:19
Messaggi: 1067
Località: Czech rep.
Nome: Ivo Boščík
Zonitis sp.(immaculata :?:)


Top
profilo
 Oggetto del messaggio: Re: Zonitis sp. (cf.) - Meloidae
MessaggioInviato: 07/07/2011, 11:57 
 

Iscritto il: 10/06/2010, 16:05
Messaggi: 817
Nome: Marco A. Bologna
sembra la forma peloponnesiaca e del Anatolia di Zonitis immaculata.
Ma per favore, controlla se una delle spine metatibiali è grande il doppio dell'altra.
Marco Bologna


Top
profilo
Visualizza ultimi messaggi:  Ordina per  
nuovo argomento
rispondi
Pagina 1 di 1 [ 3 messaggi ]

Tutti gli orari sono UTC + 1 ora [ ora legale ]


Chi c’è in linea

Visitano il forum: Nessuno e 1 ospite


Non puoi aprire nuovi argomenti
Non puoi rispondere negli argomenti
Non puoi modificare i tuoi messaggi
Non puoi cancellare i tuoi messaggi
Non puoi inviare allegati

Cerca per:
Vai a: