Benvenuto Ospite

Forum Entomologi Italiani

www.entomologiitaliani.net/forum
 
Oggi è 25/10/2025, 7:36

Tutti gli orari sono UTC + 1 ora [ ora legale ]

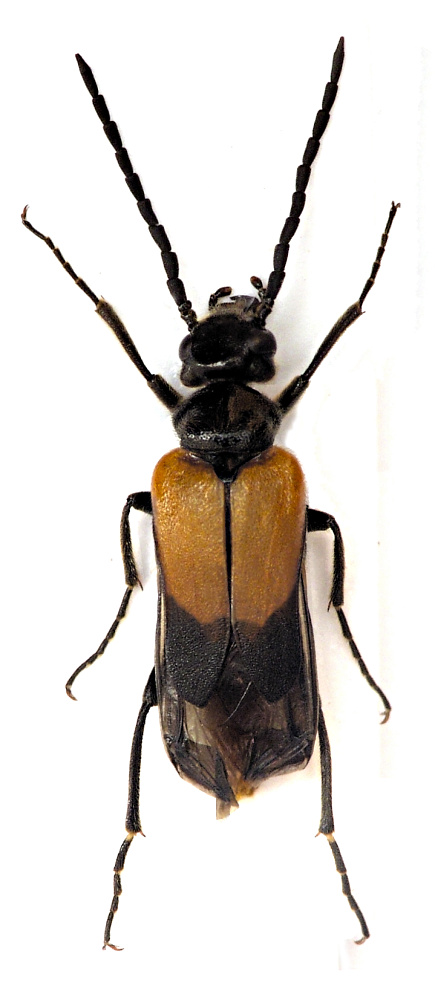
Stenoria (Stenoria) analis Schaum, 1859 Dettagli della specie

4.IX.2011 - ITALIA - Lazio - RM, Albano


nuovo argomento
rispondi
Pagina 1 di 1 [ 6 messaggi ]
Autore Messaggio
MessaggioInviato: 23/09/2011, 1:26 
Avatar utente

Iscritto il: 16/12/2009, 0:06
Messaggi: 464
Località: Roma
Nome: Luca Percoco
Trovato morente mentre si trascinava su un sentiero (stranamente/fortunatamente in quel momento guardavo davanti a me, altrimenti lo avrei calpestato..!), in un ambiente "di passaggio" tra un castagneto e la macchia mediterranea. ;)

Lunghezza: 12 mm

P1070735.JPG


_________________
Luca

I need to be myself, I can't be no one else... (Noel Gallagher)


Top
profilo
 Oggetto del messaggio: Re: Stenoria? - Meloidae
MessaggioInviato: 23/09/2011, 7:50 
Avatar utente

Iscritto il: 10/05/2009, 15:30
Messaggi: 7182
Località: Ancona
Nome: Giacomo Giovagnoli
:ok: Stenoria analis Schaum, 1859.

Ciao :)

_________________
Immagine Giacomo


Top
profilo
 Oggetto del messaggio: Re: Stenoria? - Meloidae
MessaggioInviato: 23/09/2011, 8:09 
Avatar utente

Iscritto il: 30/12/2009, 22:20
Messaggi: 31564
Località: Roma
Nome: Maurizio Gigli
Bel ritrovamento! Le Stenoria sono Meloidi che si trovano di rado, salvo qualche eccezione.

_________________
Maurizio Gigli
http://utenti.romascuola.net/bups
http://bup.xoom.it/


Top
profilo
 Oggetto del messaggio: Re: Stenoria? - Meloidae
MessaggioInviato: 24/09/2011, 3:20 
Avatar utente

Iscritto il: 16/12/2009, 0:06
Messaggi: 464
Località: Roma
Nome: Luca Percoco
Grazie ad entrambi! :D

Julodis ha scritto:
Bel ritrovamento! Le Stenoria sono Meloidi che si trovano di rado, salvo qualche eccezione.


Si tratta infatti del mio primo ritrovamento!

_________________
Luca

I need to be myself, I can't be no one else... (Noel Gallagher)


Top
profilo
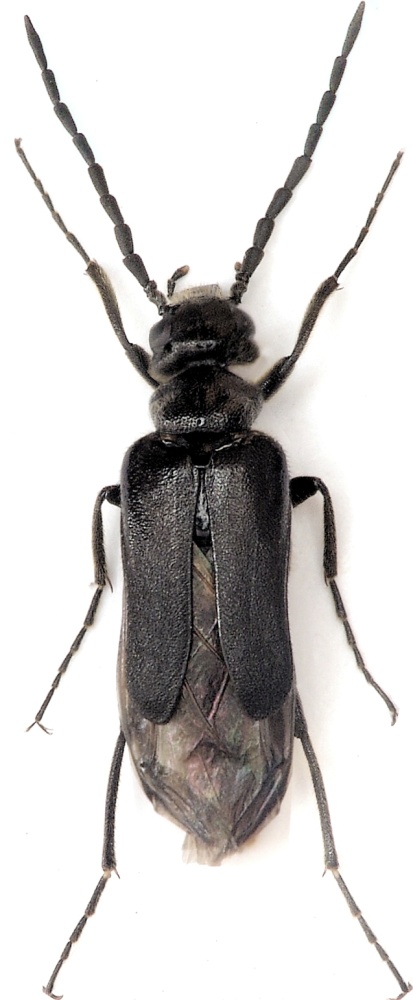
MessaggioInviato: 25/09/2011, 18:11 
Avatar utente

Iscritto il: 02/09/2009, 20:51
Messaggi: 670
Località: Czech Republic
Nome: Ilja Trojan
:birra:


S.analis f.t.
Stenoria analis f.t..jpg

S.analis aber.
Stenoria analis ab..jpg


_________________
Acmaeodera
Acmaeoderini Orbis, Buprestidae, Scarabaeidae
acmaeodera@seznam.cz
http://www.acmaeodera.cz
Top
profilo
MessaggioInviato: 04/10/2011, 18:34 
 

Iscritto il: 10/06/2010, 16:05
Messaggi: 817
Nome: Marco A. Bologna
In precedenti messaggi ho illustrato la rarità della specie in tutto l'areale. Non so perché, ma negli ultimi anni, dopo la mia prima segnalazione (1991) per il nostro paese, i reperti sono in aumento.
Ciomplimenti.
Marco B


Top
profilo
Visualizza ultimi messaggi:  Ordina per  
nuovo argomento
rispondi
Pagina 1 di 1 [ 6 messaggi ]

Tutti gli orari sono UTC + 1 ora [ ora legale ]


Chi c’è in linea

Visitano il forum: Nessuno e 1 ospite


Non puoi aprire nuovi argomenti
Non puoi rispondere negli argomenti
Non puoi modificare i tuoi messaggi
Non puoi cancellare i tuoi messaggi
Non puoi inviare allegati

Cerca per:
Vai a:  
cron