Benvenuto Ospite

Forum Entomologi Italiani

www.entomologiitaliani.net/forum
 
Oggi è 11/10/2025, 20:19

Tutti gli orari sono UTC + 1 ora [ ora legale ]

Stenoria (Stenoria) apicalis apicalis (Latreille, 1804) Dettagli della specie

19.VI.2020 - ITALIA - Sardegna - CA, Sìnnai, M.te Crèsia, R. Rattu leg.


nuovo argomento
rispondi
Pagina 1 di 1 [ 12 messaggi ]
Autore Messaggio
MessaggioInviato: 21/06/2020, 12:39 
Avatar utente

Iscritto il: 02/09/2009, 20:57
Messaggi: 8703
Località: Cagliari
Nome: Roberto Rattu
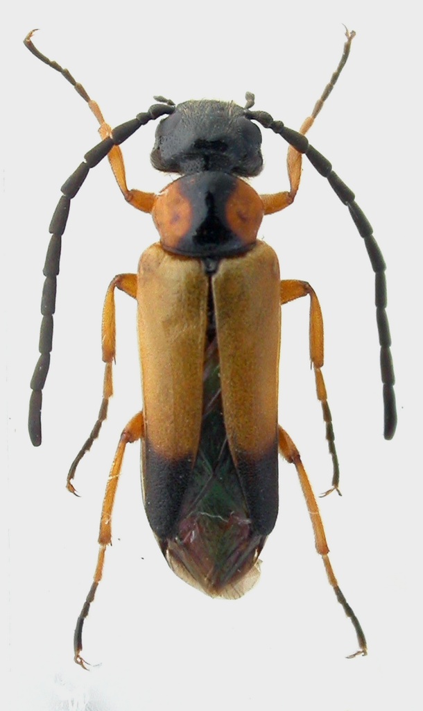
Identificata da A. Liberto come Stenoria apicalis. Dovrebbe essere un reperto interessante, essendo una specie estremamente rara in Sardegna. Esemplare lungo 10 mm, rinvenuto su ragnatela sotto fiori di santolina:

DSCN4439.JPG



Top
profilo
MessaggioInviato: 21/06/2020, 12:49 
Avatar utente

Iscritto il: 25/04/2016, 19:02
Messaggi: 889
Località: Scandicci
Nome: Carlos R. de Queros
Quante soddisfazioni ci danno le ragnatele :lov3: :lol: :lol: :lol:


Top
profilo
MessaggioInviato: 21/06/2020, 22:12 
Avatar utente

Iscritto il: 13/10/2010, 18:21
Messaggi: 1990
Nome: Andrea Liberto
Roberto, io però avevo detto "probabilmente"…..

Mi fai rischiare
la magistral rampogna
di Marco Bologna

Forse perfin la gogna :(


Top
profilo
MessaggioInviato: 21/06/2020, 22:29 
Avatar utente

Iscritto il: 02/09/2009, 20:57
Messaggi: 8703
Località: Cagliari
Nome: Roberto Rattu
Clickie ha scritto:
Mi fai rischiare
la magistral rampogna
di Marco Bologna

Forse perfin la gogna :(


Ma no, ho poi controllato i caratteri e la tua determinazione corrispondeva, ovviamente :D .
Male che vada duplice gogna
questi meloidi sono una rogna


Top
profilo
MessaggioInviato: 21/06/2020, 22:41 
Avatar utente

Iscritto il: 13/10/2010, 18:21
Messaggi: 1990
Nome: Andrea Liberto
Bene, la colpa condivisa è più sopportabile, "spalmabile" come burro (che, ahimè, mi è vietatissimo).

Tendi comunque a nutrire eccessiva e malriposta fiducia nelle mie determinazioni telefonico-telematiche, cerca di emendarti.

Siccome "la notte porta coniglio", ho ripensato alla tua bella cattura: torna sul luogo, che la bestiola non l'ha portata certo la cicogna (rima "differita").

Sembra che le Stenoria non si allontanino troppo dall'indirizzo degli ospiti, quindi magari ne becchi qualche altro esemplare (e pure qui, con incauto "pettegolezzo" su una bestia mai presa in vita mia, rischio rogne e gogne).

Se c'è Eryngium, lo cercherei lì (vedi il lavoro di Marco che ti ho mandato via mail)

Hai determinato il ragno ?

Ciao, A. :birra:


Top
profilo
MessaggioInviato: 21/06/2020, 22:59 
Avatar utente

Iscritto il: 13/10/2010, 18:21
Messaggi: 1990
Nome: Andrea Liberto
Ti chiedevo dell'identificazione del ragno perché c'è una specifica bibliografia (cf. Bologna 1991: 38), ed il tuo reperto potrebbe aggiungere qualcosa.

Ariciao, A.


Top
profilo
MessaggioInviato: 21/06/2020, 23:21 
Avatar utente

Iscritto il: 02/09/2009, 20:57
Messaggi: 8703
Località: Cagliari
Nome: Roberto Rattu
Sul ragno proprio non saprei. Non mi è sembrato giusto chiedergli le generalità, gli ho sottratto il bottino, mi avrà odiato dal profondo :)


Top
profilo
MessaggioInviato: 22/06/2020, 0:18 
Avatar utente

Iscritto il: 13/10/2010, 18:21
Messaggi: 1990
Nome: Andrea Liberto
Ma sempre lì sta. Ci ha messo casa, tela e targhetta col nome.

Trova il citofono e chiamalo giù, che so, buttagli nella tela una moschina agitata…..


Top
profilo
MessaggioInviato: 23/06/2020, 10:09 
Avatar utente

Iscritto il: 02/09/2009, 20:57
Messaggi: 8703
Località: Cagliari
Nome: Roberto Rattu
Niente da fare, ragno non pervenuto, non c'era più neppure la tela. È zona di pascolo e verosimilmente il traffico ovino-caprino l'ha smantellata. Nonostante ciò ancora non mi emenderò dal seguire le tue dritte.
Scherzi a parte, estremamente vicino c'è una scarpata terrosa con traffico di apoidei e non lontano una distesa di Eryngium ma che ancora non sono in fiore. Magari la settimana prossima torno a darci uno sguardo.

:hi:


Top
profilo
MessaggioInviato: 23/06/2020, 22:35 
Avatar utente

Iscritto il: 13/10/2010, 18:21
Messaggi: 1990
Nome: Andrea Liberto
Che la caccia alla Stenoria
doni a te fulgida gloria

Cerca bene sull'eringio
nel calore del meriggio

E su quel pendìo terroso
vacci tosto, o ardimentoso !


Sommovimento tellurico causato dal simultaneo soprassalto nella tomba dei numerosi poeti di questa terra di poeti ecc.


Top
profilo
MessaggioInviato: 11/07/2020, 10:32 
Avatar utente

Iscritto il: 02/09/2009, 20:57
Messaggi: 8703
Località: Cagliari
Nome: Roberto Rattu
Per completezza inserisco anche le foto del maschio, lungo 7 mm. Stessi dati di raccolta della femmina, solo una settimana più avanti. Trovato su fiori di Eryngium, dopo averne controllato distese sotto un sole implacabile :|

DSCN4469.JPG



Top
profilo
MessaggioInviato: 03/01/2021, 20:46 
 

Iscritto il: 10/06/2010, 16:05
Messaggi: 817
Nome: Marco A. Bologna
Interessante reperto in Sardegna. recentemente (2011) l'ho segnalata della Corsica. Bestiole sempre poco comuni.
Marco B


Top
profilo
Visualizza ultimi messaggi:  Ordina per  
nuovo argomento
rispondi
Pagina 1 di 1 [ 12 messaggi ]

Tutti gli orari sono UTC + 1 ora [ ora legale ]


Chi c’è in linea

Visitano il forum: Nessuno e 1 ospite


Non puoi aprire nuovi argomenti
Non puoi rispondere negli argomenti
Non puoi modificare i tuoi messaggi
Non puoi cancellare i tuoi messaggi
Non puoi inviare allegati

Cerca per:
Vai a: