Benvenuto Ospite

Forum Entomologi Italiani

www.entomologiitaliani.net/forum
 
Oggi è 25/10/2025, 6:43

Tutti gli orari sono UTC + 1 ora [ ora legale ]

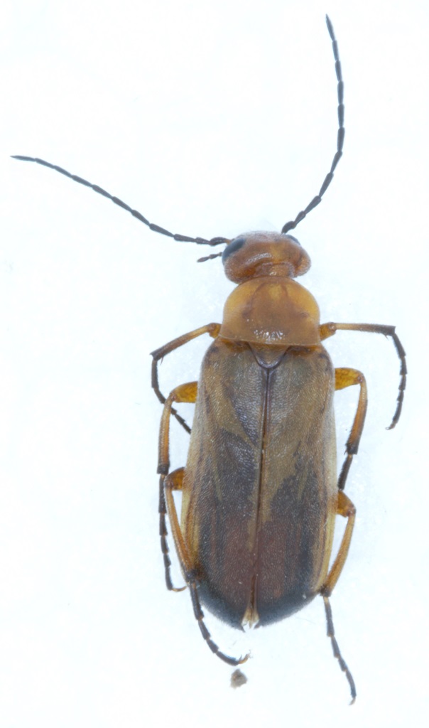
Zonitis (Zonitis) flava Fabricius, 1775 Dettagli della specie

18.VI.2021 - ITALIA - Lazio - RM, Litorale di Ostia - Retroduna


nuovo argomento
rispondi
Pagina 1 di 1 [ 6 messaggi ]
Autore Messaggio
MessaggioInviato: 12/07/2021, 18:43 
Avatar utente

Iscritto il: 05/05/2016, 11:22
Messaggi: 2966
Località: Santa Maria delle mole, Marino, Rm
Nome: Roberto Vanzini
Dim. 9,70 mm

Guardando la testa mi ricorda molto i Meloidae, qualcosa vicino al genere Zonitis.

Quanto siamo lontani?


2021-07-12 18-33-31 (B,Radius8,Smoothing4)2(1).jpg


_________________
Roberto Vanzini
Top
profilo
 Oggetto del messaggio: Re: Maloidae?
MessaggioInviato: 12/07/2021, 19:34 
 

Iscritto il: 08/12/2013, 1:52
Messaggi: 7516
Località: Bagnacavallo (RA)
Nome: Giorgio Pezzi
Se ha le elitre gialle ad apice nero è Zonitis flava Fabricius, 1775; per sicurezza verifica che la spina esterna delle metatibie sia allargata e ad apice tondo. :hi:


Top
profilo
 Oggetto del messaggio: Re: Meloidae?
MessaggioInviato: 12/07/2021, 20:01 
Avatar utente

Iscritto il: 05/05/2016, 11:22
Messaggi: 2966
Località: Santa Maria delle mole, Marino, Rm
Nome: Roberto Vanzini
Grazie Giorgio. Allora Zonitis flava è sicuramente nella boccetta. Per questa devo controllare il carattere che mi hai detto. Domani verifico.

_________________
Roberto Vanzini


Top
profilo
 Oggetto del messaggio: Re: Maloidae?
MessaggioInviato: 13/07/2021, 9:53 
Avatar utente

Iscritto il: 05/05/2016, 11:22
Messaggi: 2966
Località: Santa Maria delle mole, Marino, Rm
Nome: Roberto Vanzini
Chalybion ha scritto:
Se ha le elitre gialle ad apice nero è Zonitis flava Fabricius, 1775; per sicurezza verifica che la spina esterna delle metatibie sia allargata e ad apice tondo. :hi:

La spina sulle metatibie la vedo solo nella parte interna, non esterna. È comunque allargata e ad apice tondo.

_________________
Roberto Vanzini


Top
profilo
 Oggetto del messaggio: Re: Maloidae?
MessaggioInviato: 14/07/2021, 21:07 
 

Iscritto il: 08/12/2013, 1:52
Messaggi: 7516
Località: Bagnacavallo (RA)
Nome: Giorgio Pezzi
wgliinsetti ha scritto:
Chalybion ha scritto:
Se ha le elitre gialle ad apice nero è Zonitis flava Fabricius, 1775; per sicurezza verifica che la spina esterna delle metatibie sia allargata e ad apice tondo. :hi:

La spina sulle metatibie la vedo solo nella parte interna, non esterna. È comunque allargata e ad apice tondo.

Parlo delle due spine apicali: quella esterna non è acuminata come l'interna, ma cilindrica ad apice tagliato "a salame" :D


Top
profilo
MessaggioInviato: 09/10/2021, 17:21 
 

Iscritto il: 10/06/2010, 16:05
Messaggi: 817
Nome: Marco A. Bologna
Confermo: Zonitis flava.
Marco B


Top
profilo
Visualizza ultimi messaggi:  Ordina per  
nuovo argomento
rispondi
Pagina 1 di 1 [ 6 messaggi ]

Tutti gli orari sono UTC + 1 ora [ ora legale ]


Chi c’è in linea

Visitano il forum: Nessuno e 1 ospite


Non puoi aprire nuovi argomenti
Non puoi rispondere negli argomenti
Non puoi modificare i tuoi messaggi
Non puoi cancellare i tuoi messaggi
Non puoi inviare allegati

Cerca per:
Vai a: