| Autore |
Messaggio |
|
wgliinsetti
|
Inviato: 18/09/2023, 19:04 |
|
Iscritto il: 05/05/2016, 11:22 Messaggi: 2966 Località: Santa Maria delle mole, Marino, Rm
Nome: Roberto Vanzini
|
|
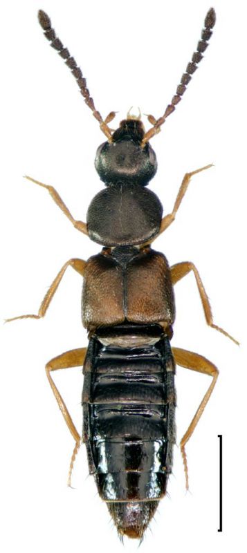
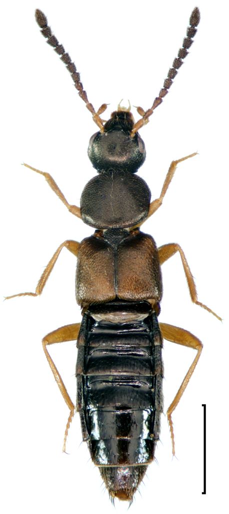
Dim. 2,80 mm senza ultimo sternite.
Se non ho sbagliato qualche punto siamo nella tribù degli Aleocharini. Se così fosse per me il genere corretto è Ocalea sp. Per la specie sarei molto in difficoltà perché con questa spermateca non c'è nulla di simile. Scusate la foto della spermateca ma siamo oltre i 20x e faccio fatica. Ultimo segmento dei palpi a punta. Formula tarsale 4-5-5 Riuscite ad aiutarmi?
_________________ Roberto Vanzini
|
|
| Top |
|
 |
|
AetherisIgnis
|
Inviato: 18/09/2023, 23:40 |
|
Iscritto il: 02/11/2010, 22:33 Messaggi: 990
Nome: Aleksei Kovalev
|
Dear Roberto, this is Atheta in the nominative subgenus, I suppose. The spermatheca is probably broken (it's quite complex and fragile), you could try to look for the rest part in the abdomen. 
|
|
| Top |
|
 |
|
wgliinsetti
|
Inviato: 19/09/2023, 7:46 |
|
Iscritto il: 05/05/2016, 11:22 Messaggi: 2966 Località: Santa Maria delle mole, Marino, Rm
Nome: Roberto Vanzini
|
Grazie Aleksei, controllerò i caratteri. Ho staccato l'addome e resteranno in acqua. L'unica cosa che era attaccata alla spermateca era tutto un reticolo. La spermateca è intera, ma per scrupolo ricontrollerò. 
_________________ Roberto Vanzini
|
|
| Top |
|
 |
|
Honza
|
Inviato: 19/09/2023, 10:27 |
|
Iscritto il: 09/11/2009, 14:12 Messaggi: 5145 Località: Hradec Kralove,Czech republik
Nome: Jan Matějíček
|
 Atheta aeneicollis (Sharp, 1869)
_________________ Research Fields Taxonomy, ecology, biomonitoring , faunistic of Staphylinidae
|
|
| Top |
|
 |
|
wgliinsetti
|
Inviato: 19/09/2023, 13:27 |
|
Iscritto il: 05/05/2016, 11:22 Messaggi: 2966 Località: Santa Maria delle mole, Marino, Rm
Nome: Roberto Vanzini
|
|
Grazie Jan, oggi pomeriggio controllo i caratteri
_________________ Roberto Vanzini
|
|
| Top |
|
 |
|
wgliinsetti
|
Inviato: 19/09/2023, 16:12 |
|
Iscritto il: 05/05/2016, 11:22 Messaggi: 2966 Località: Santa Maria delle mole, Marino, Rm
Nome: Roberto Vanzini
|
|
A quanto osservo la sutura delle elitre è lunga quanto il pronoto. La massima larghezza del pronoto è spostata in avanti rispetto al centro. Non potrebbe essere Atheta aquatilis?
_________________ Roberto Vanzini
|
|
| Top |
|
 |
|
Honza
|
Inviato: 20/09/2023, 11:05 |
|
Iscritto il: 09/11/2009, 14:12 Messaggi: 5145 Località: Hradec Kralove,Czech republik
Nome: Jan Matějíček
|
|
Questo è Atheta aquatilis(Thomson, 1867)
Atheta aquatilis(Thomson, 1867)

|
Atheta aquatilis(Thomson, 1867)

|
_________________ Research Fields Taxonomy, ecology, biomonitoring , faunistic of Staphylinidae
|
|
| Top |
|
 |
|
wgliinsetti
|
Inviato: 20/09/2023, 11:27 |
|
Iscritto il: 05/05/2016, 11:22 Messaggi: 2966 Località: Santa Maria delle mole, Marino, Rm
Nome: Roberto Vanzini
|
|
Si l'ho confrontato con questo. L'immagine l'hai presa dal sito danese vero? Con la chiave arrivo li. Mi rimane comunque il dubbio per la forma degli articoli antennali.
_________________ Roberto Vanzini
|
|
| Top |
|
 |
|
Honza
|
Inviato: 20/09/2023, 12:32 |
|
Iscritto il: 09/11/2009, 14:12 Messaggi: 5145 Località: Hradec Kralove,Czech republik
Nome: Jan Matějíček
|
sì, è da questa pagina (aedeagus) https://www.danbiller.dk/key/genus/Athetadeterminare Atheto da un'immagine è molto e difficile
_________________ Research Fields Taxonomy, ecology, biomonitoring , faunistic of Staphylinidae
|
|
| Top |
|
 |
|
wgliinsetti
|
Inviato: 20/09/2023, 12:50 |
|
Iscritto il: 05/05/2016, 11:22 Messaggi: 2966 Località: Santa Maria delle mole, Marino, Rm
Nome: Roberto Vanzini
|
Un sito bellissimo 
_________________ Roberto Vanzini
|
|
| Top |
|
 |
|
wgliinsetti
|
Inviato: 20/09/2023, 16:57 |
|
Iscritto il: 05/05/2016, 11:22 Messaggi: 2966 Località: Santa Maria delle mole, Marino, Rm
Nome: Roberto Vanzini
|
|
Purtroppo non sono convinto. Per aneneicollis la sutura elitrale è troppo corta. Per aquatilis le dimensioni sono troppo piccole e gli articoli antennali sono diversi. Inoltre questa specie è citata solo per il nord Italia. Non so se hai la possibilità di caricare una foto di Atheta hummleri e Atheta oraria. Non riesco a trovare ne pubblicazioni ne foto.
_________________ Roberto Vanzini
|
|
| Top |
|
 |
|
Honza
|
Inviato: 20/09/2023, 20:15 |
|
Iscritto il: 09/11/2009, 14:12 Messaggi: 5145 Località: Hradec Kralove,Czech republik
Nome: Jan Matějíček
|
|
Eine in ihrer Stellung unter den Atheten zweifelhafte, aber sehr aus- gezeichnete und leicht kenntliche Art. Durch den Habitus, namentlich den in der Mitte etwas erweiterten und dann nach hinten verengten Hinterleib und die an den Seiten des Halsschildes sehr deutlich sichtlichen Randborsten den Arten der Dimetrota-Gr\i\)^Q sehrähnlich, jedoch meiner Ansicht nach in Folge der Fühlerbildung und der Geschlechtsauszeichnung des cT in die Castanoptera-Gruip\)e zu stellen. Ziemlich glänzend, von ziemlich flacher Gestalt, der Kopf pechschwarz oder pechbraun, der Halsschild gewöhnlich gelbroth, bisweilen bräunlich, die Flügeldecken bräunlichgelb, am Schildchen und in den Hinterecken gewöhnlich angedunkelt, das Abdomen pechbraun, an der Basis in grösserer Ausdehnung und an der Spitze bräunlichgelb, die Fühler bräunlichgelb, gegen die Spitze zu meistens dunkler, die Taster bräunlichgelb, die Beine hellgelb. Kopf, Hinterleib und Flügeldecken äusserst fein chagrinirt, der Kopf äusserst fein und weitläufig punktirt, die Fühler mässig lang, gegen die Spitze nur schwach verdickt; das dritte Glied kaum länger als das zweite, das vierte so lang als breit, die folgenden an Breite zunehmend, die vorletzten deutlich, etwa ^/s breiter als lang, das Endglied sehr gestreckt, beinahe so lange als die drei vorletzten zusammengenommen.Der Halsschild um die Hälfte breiter als lang, schmäler als die Flügeldecken, fein und mässig dicht körnig punktirt, von der Mitte der Basis mit einem Grübchen,am Seitenrande mit einigen deutlichen Wimperhaaren. Flügeldecken etwa um^/s länger als der Halsschild, mässig fein, jedoch deutlich rauher und etwas weniger dicht punktirt als castanoptera und mässig dicht anliegend behaart. Abdomen stark glänzend, auf den drei ersten freiliegenden Dorsalsegmenten fein und sehr weitläufig, auf den beiden folgenden sehr spärlich oder gar nicht punktirt. Beim ist das achte Dorsalsegment am Hinterrande deutlich ausgerandet, in der Mitte der Ausrandung befindet sich ein kleines stumpfes Zähnchen, zu dessen beiden Seiten sich je drei grössere stumpfe Kerbzähnchen, vondenen die zwei innersten etwas kleiner als die vier äusseren sind, befinden. Von castanoptera sehr leicht durch die schmälere kleinere Gestalt, die Färbung und die Auszeichnung des achten Dorsalsegmentes des (maschio) zu unterscheiden. Länge 3 mm

|
_________________ Research Fields Taxonomy, ecology, biomonitoring , faunistic of Staphylinidae
|
|
| Top |
|
 |
|
Honza
|
Inviato: 20/09/2023, 20:19 |
|
Iscritto il: 09/11/2009, 14:12 Messaggi: 5145 Località: Hradec Kralove,Czech republik
Nome: Jan Matějíček
|
|
Atheta oraria, Kraatz 1856
_________________ Research Fields Taxonomy, ecology, biomonitoring , faunistic of Staphylinidae
|
|
| Top |
|
 |
|
Honza
|
Inviato: 20/09/2023, 20:32 |
|
Iscritto il: 09/11/2009, 14:12 Messaggi: 5145 Località: Hradec Kralove,Czech republik
Nome: Jan Matějíček
|
|
_________________ Research Fields Taxonomy, ecology, biomonitoring , faunistic of Staphylinidae
|
|
| Top |
|
 |
|
wgliinsetti
|
Inviato: 20/09/2023, 21:08 |
|
Iscritto il: 05/05/2016, 11:22 Messaggi: 2966 Località: Santa Maria delle mole, Marino, Rm
Nome: Roberto Vanzini
|
Grazie mille Jan 
_________________ Roberto Vanzini
|
|
| Top |
|
 |
|