Benvenuto Ospite

Forum Entomologi Italiani

www.entomologiitaliani.net/forum
 
Oggi è 26/10/2025, 21:24

Tutti gli orari sono UTC + 1 ora [ ora legale ]

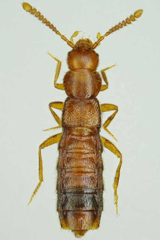
Geostiba sp. - Staphylinidae Aleocharinae

21.III.2014 - ITALIA - Sardegna - NU, Monte Maccione, Oliena, 650m. leg. A. Degiovanni


nuovo argomento
rispondi
Pagina 1 di 1 [ 5 messaggi ]
Autore Messaggio
MessaggioInviato: 25/04/2014, 12:58 
Avatar utente

Iscritto il: 06/02/2009, 9:03
Messaggi: 6370
Località: Bubano di Mordano (Bologna)
Nome: Augusto Degiovanni
Visto che questo aveva l'edeago estroflesso gli ho fatto la foto.

Lunghezza: 2 mm

Edeago Lunghezza: 0,40 mm

staf 2.JPG



ede.JPG


_________________
CIAO :hi: Augusto Degiovanni

http://anthicidaeecarabidae.altervista.org


Top
profilo
 Oggetto del messaggio: Re: Stafilinidae, Aleocharinae ?
MessaggioInviato: 25/04/2014, 13:10 
Avatar utente

Iscritto il: 02/09/2009, 20:57
Messaggi: 8703
Località: Cagliari
Nome: Roberto Rattu
Ciao Augusto, dalla foto sembra Geostiba sp.

:hi:


Top
profilo
 Oggetto del messaggio: Re: Stafilinidae, Aleocharinae ?
MessaggioInviato: 25/04/2014, 19:52 
Avatar utente

Iscritto il: 09/11/2009, 14:12
Messaggi: 5145
Località: Hradec Kralove,Czech republik
Nome: Jan Matějíček
Sardegna

Geostiba (Sipalotricha) brigantii Pace, 1988
Geostiba (Prionosipalia) doderoana (Roubal, 1912)
Geostiba (Sibiota) insularis (Bernhauer, 1909)
Sa? Geostiba (Prionosipalia) myops (Kiesenwetter, 1850)
Geostiba (Sipalotricha) sardoa Pace, 1988


Sono interessato a questa pubblicazione:
Pace R., 1988. Nuove specie italiane del genere Geostiba Thomson (Coleoptera, Staphylinidae). XCII contributo alla conoscenza delle Aleocharinae). Annali del Museo civico di Storia naturale "Giacomo Doria", 87: 9–29.

_________________
Research Fields
Taxonomy, ecology, biomonitoring , faunistic of Staphylinidae


Top
profilo
 Oggetto del messaggio: Re: Stafilinidae, Aleocharinae ?
MessaggioInviato: 26/04/2014, 13:44 
Avatar utente

Iscritto il: 06/02/2009, 9:03
Messaggi: 6370
Località: Bubano di Mordano (Bologna)
Nome: Augusto Degiovanni
Grazie ad entrambi :ok: :ok:

_________________
CIAO :hi: Augusto Degiovanni

http://anthicidaeecarabidae.altervista.org


Top
profilo
MessaggioInviato: 05/02/2021, 8:22 
 

Iscritto il: 02/11/2010, 22:33
Messaggi: 990
Nome: Aleksei Kovalev
Leptusa, most probably hummleriana Bernhauer, 1935
:hi:


Top
profilo
Visualizza ultimi messaggi:  Ordina per  
nuovo argomento
rispondi
Pagina 1 di 1 [ 5 messaggi ]

Tutti gli orari sono UTC + 1 ora [ ora legale ]


Chi c’è in linea

Visitano il forum: Nessuno e 2 ospiti


Non puoi aprire nuovi argomenti
Non puoi rispondere negli argomenti
Non puoi modificare i tuoi messaggi
Non puoi cancellare i tuoi messaggi
Non puoi inviare allegati

Cerca per:
Vai a: