| Autore |
Messaggio |
|
Loriscola
|
Inviato: 18/12/2011, 23:09 |
|
Iscritto il: 05/02/2009, 17:25 Messaggi: 4894 Località: Zola Predosa (BO)
Nome: Loris Colacurcio
|
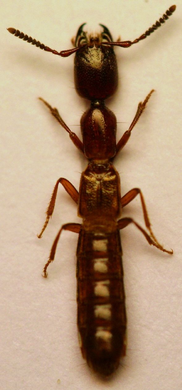
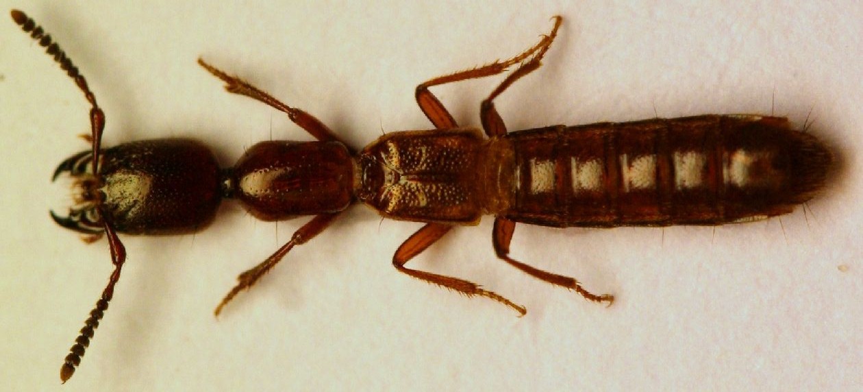
Finalmente ne ho trovata una !  ..e sotto a casa mia. Avevo un'oretta di tempo ed ho fatto una capatina a Tizzano, ma invece di andare nel solito bosco alle spalle dell'eremo, ho fatto il giro contrario, iniziando ad esplorare alcuni pali della luce, piantati in mezzo a dei campi ormai abbandonati. Dopo, mi sono spostato ai margini di un bosco che cresce su un ripido pendio: proprio alla base c'è un piccolo avvallamento che probabilmente di trasforma in un rio quando c'è acqua in abbondanza. Bene, su un lato di questo piccolo canale, ho notato una piccola acacia ancora in piedi, ma morta da anni e completamente cava....ed allora ho cominciato a prendere manciate di detriti dal cavo, sino alla profondità di un intero braccio  , non meno di mezzo metro quindi. Ieri, nella bacinella, c'era lei..... Lunghezza: 9,5 mm. Direi Vulda (Typhlodes), ma non so andare oltre anche perché sul Fauna d'Italia l'unica specie senza alcuna traccia di occhi (neanche uno o due ommatidi) è solo una specie del carso triestino.....io non riesco a vedere alcuna traccia degli occhi, e voi ?
_________________ Loris
|
|
| Top |
|
 |
|
Agdistis
|
Inviato: 18/12/2011, 23:36 |
|
Iscritto il: 24/04/2010, 8:24 Messaggi: 5095
Nome: Lucio Morin
|
Loriscola ha scritto: Finalmente ne ho trovata una !  ..e sotto a casa mia. Direi Vulda (Typhlodes), ma non so andare oltre anche perché sul Fauna d'Italia l'unica specie senza alcuna traccia di occhi (neanche uno o due ommatidi) è solo una specie del carso triestino.... Dimmi la localita' che vado a scavare Ciao Lucio
_________________ A VOLTE E' MEGLIO TACERE E SEMBRARE STUPIDI CHE APRIR BOCCA E TOGLIERE OGNI DUBBIO Oscar Wilde
|
|
| Top |
|
 |
|
Tc70
|
Inviato: 19/12/2011, 0:23 |
|
Iscritto il: 09/11/2010, 19:52 Messaggi: 4518 Località: Brescia
Nome: Luca Bodei
|
|
| Top |
|
 |
|
Apoderus
|
Inviato: 19/12/2011, 0:38 |
|
Iscritto il: 08/02/2010, 23:01 Messaggi: 6169 Località: Vicenza
Nome: Silvano Biondi
|
E' decisamente l'anno delle Vulda 
_________________
Silvano
|
|
| Top |
|
 |
|
Loriscola
|
Inviato: 19/12/2011, 21:32 |
|
Iscritto il: 05/02/2009, 17:25 Messaggi: 4894 Località: Zola Predosa (BO)
Nome: Loris Colacurcio
|
Solo ora posso consultare il Fauna d'Italia, per rispondere a Lucio  . La bestiola del Carso è la Vulda (Typhlodes) mihoki, specie davvero misteriosa, visto che è noto un unico maschietto. Raccolta su fondo argilloso di dolina umida, sotto sassi poco profondi (zona piantumata ad abeti), il 27/04/1921 e nel successivo mese di agosto (questi dati riguardano la località di M.te Planik). Località precise: Monte Planik, Monte Maggiore, Monte Taiano, Cosina, Bosco di Lipizza, Opicina presso la grotta di Ferneti, Senosecchia, Monte Gomanasca, Sagrado e Isonzo....ovviamente nella maggioranza dei casi non ho idea di dove siano questi posti 
_________________ Loris
|
|
| Top |
|
 |
|
Maw89
|
Inviato: 19/12/2011, 21:42 |
|
Iscritto il: 08/06/2009, 0:06 Messaggi: 3415 Località: Feltre(BL)
Nome: Nicola Dal Zotto
|
Loriscola ha scritto: Solo ora posso consultare il Fauna d'Italia, per rispondere a Lucio  . La bestiola del Carso è la Vulda (Typhlodes) mihoki, specie davvero misteriosa, visto che è noto un unico maschietto. Raccolta su fondo argilloso di dolina umida, sotto sassi poco profondi (zona piantumata ad abeti), il 27/04/1921 e nel successivo mese di agosto (questi dati riguardano la località di M.te Planik). Località precise: Monte Planik, Monte Maggiore, Monte Taiano, Cosina, Bosco di Lipizza, Opicina presso la grotta di Ferneti, Senosecchia, Monte Gomanasca, Sagrado e Isonzo....ovviamente nella maggioranza dei casi non ho idea di dove siano questi posti  ma come fa un maschio singolo ad essere stato trovato in cosi tanti posti????
_________________ Nicola Dal Zotto
|
|
| Top |
|
 |
|
Loriscola
|
Inviato: 19/12/2011, 21:54 |
|
Iscritto il: 05/02/2009, 17:25 Messaggi: 4894 Località: Zola Predosa (BO)
Nome: Loris Colacurcio
|
Sicuramente mi sono spiegato male  : il maschio è uno solo, ma di esemplari (indi per cui delle femmine) ne sono stati raccolti in più località ed in diversi esemplari. Aggiungo solo ora (era nell pagina successiva e non l'avevo letto) che è citato anche della selva di Tarnova, ma non sono noti esemplari ... 
_________________ Loris
|
|
| Top |
|
 |
|
Maw89
|
Inviato: 19/12/2011, 22:01 |
|
Iscritto il: 08/06/2009, 0:06 Messaggi: 3415 Località: Feltre(BL)
Nome: Nicola Dal Zotto
|
|
_________________ Nicola Dal Zotto
|
|
| Top |
|
 |
|
Agdistis
|
Inviato: 19/12/2011, 23:18 |
|
Iscritto il: 24/04/2010, 8:24 Messaggi: 5095
Nome: Lucio Morin
|
Loriscola ha scritto: Solo ora posso consultare il Fauna d'Italia, per rispondere a Lucio  . La bestiola del Carso è la Vulda (Typhlodes) mihoki, specie davvero misteriosa, visto che è noto un unico maschietto. Raccolta su fondo argilloso di dolina umida, sotto sassi poco profondi (zona piantumata ad abeti), il 27/04/1921 e nel successivo mese di agosto (questi dati riguardano la località di M.te Planik). Località precise: Monte Planik, Monte Maggiore, Monte Taiano, Cosina, Bosco di Lipizza, Opicina presso la grotta di Ferneti, Senosecchia, Monte Gomanasca, Sagrado e Isonzo....ovviamente nella maggioranza dei casi non ho idea di dove siano questi posti  La maggior parte di queste localita' si trova in Slovenia, comunque doline ne conosco e posso provarci.
_________________ A VOLTE E' MEGLIO TACERE E SEMBRARE STUPIDI CHE APRIR BOCCA E TOGLIERE OGNI DUBBIO Oscar Wilde
|
|
| Top |
|
 |
|