Benvenuto Ospite

Forum Entomologi Italiani

www.entomologiitaliani.net/forum
 
Oggi è 27/10/2025, 12:04

Tutti gli orari sono UTC + 1 ora [ ora legale ]

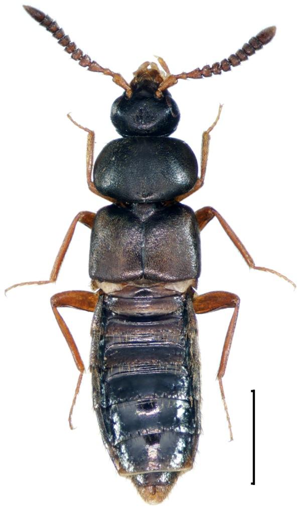
Pella laticollis (Märkell, 1844) - Staphylinidae

17.III.2011 - ITALIA - Friuli-Venezia Giulia - GO, San Pier d'Isonzo loc: S. Zanut


nuovo argomento
rispondi
Pagina 1 di 1 [ 5 messaggi ]
Autore Messaggio
MessaggioInviato: 20/03/2011, 20:48 
Avatar utente

Iscritto il: 24/04/2010, 8:24
Messaggi: 5095
Nome: Lucio Morin
Esemplare da vaglio, 3,5mm
Ciao Lucio


vaglio new 105.jpg


_________________
A VOLTE E' MEGLIO TACERE E SEMBRARE STUPIDI CHE APRIR BOCCA E TOGLIERE OGNI DUBBIO Oscar Wilde
Top
profilo
 Oggetto del messaggio: Re: Staphylinidae da id.
MessaggioInviato: 07/04/2011, 17:23 
 

Iscritto il: 18/02/2010, 18:58
Messaggi: 81
Località: Absurdistan
Nome: liptaster
On first view Aleochara, but with not typical punctuation (probably from the camera?).


Top
profilo
 Oggetto del messaggio: Re: Staphylinidae da id.
MessaggioInviato: 18/06/2011, 13:04 
 

Iscritto il: 02/02/2011, 23:41
Messaggi: 14
Nome: Zanetti Adriano
Liptaster ha scritto:
On first view Aleochara, but with not typical punctuation (probably from the camera?).


Pella laticollis


Top
profilo
 Oggetto del messaggio: Re: Staphylinidae da id.
MessaggioInviato: 03/11/2012, 1:23 
Avatar utente

Iscritto il: 06/02/2009, 9:01
Messaggi: 5005
Località: Castel Mella (Brescia)
Nome: Livio Mola
Adriano Zanetti ha scritto:
Liptaster ha scritto:
On first view Aleochara, but with not typical punctuation (probably from the camera?).


Pella laticollis


Noto che la determinazione di Adriano Zanetti non ha avuto seguito, lasciando lo stafilino negli indeterminati.
Ho frugato in Fauna Europaea, ma non ho trovato riferimenti.
Nel web, però, ho scovato questo lavoro.

_________________
L'oca è ritenuto l'animale simbolo della stupidità, a causa delle sciocchezze che gli uomini hanno scritto con le sue penne.


Top
profilo
MessaggioInviato: 03/11/2012, 11:42 
Avatar utente

Iscritto il: 09/11/2009, 14:12
Messaggi: 5145
Località: Hradec Kralove,Czech republik
Nome: Jan Matějíček
Pella laticollis (Märkell, 1844)


Pella laticollis (Märkell, 1844) - Kopie.jpg

laticol.jpg

3.jpg

2.jpg

1.jpg


_________________
Research Fields
Taxonomy, ecology, biomonitoring , faunistic of Staphylinidae
Top
profilo
Visualizza ultimi messaggi:  Ordina per  
nuovo argomento
rispondi
Pagina 1 di 1 [ 5 messaggi ]

Tutti gli orari sono UTC + 1 ora [ ora legale ]


Chi c’è in linea

Visitano il forum: Nessuno e 2 ospiti


Non puoi aprire nuovi argomenti
Non puoi rispondere negli argomenti
Non puoi modificare i tuoi messaggi
Non puoi cancellare i tuoi messaggi
Non puoi inviare allegati

Cerca per:
Vai a: