Benvenuto Ospite

Forum Entomologi Italiani

www.entomologiitaliani.net/forum
 
Oggi è 25/10/2025, 23:10

Tutti gli orari sono UTC + 1 ora [ ora legale ]

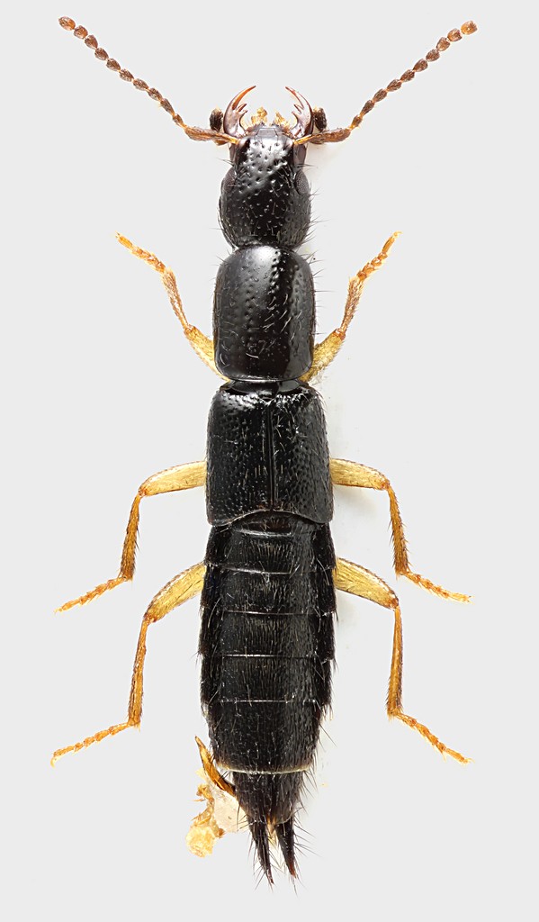
Ochthephilum sp. - Staphylinidae

25.XI.2013 - ITALIA - Lazio - RM, Via di Settebagni


nuovo argomento
rispondi
Pagina 1 di 1 [ 6 messaggi ]
Autore Messaggio
 Oggetto del messaggio: Ochthephilum sp. - Staphylinidae
MessaggioInviato: 30/11/2013, 22:38 
Avatar utente

Iscritto il: 30/12/2009, 22:20
Messaggi: 31564
Località: Roma
Nome: Maurizio Gigli
Inizio la lunga serie di Coleotteri trovati nel detrito vegetale accumulato dalla esondazione di un fosso, affluente del Tevere, non lontano da casa mia.
La maggior parte erano Staphylinidae, quindi inizio con uno di questi.

Lazio, Roma, Via di Settebagni, 25.XI.2013, M. Gigli legit
5,6 mm
Staphylinidae_Settebagni_25-XI-2013_01_5,6mm_grey.jpg


_________________
Maurizio Gigli
http://utenti.romascuola.net/bups
http://bup.xoom.it/


Top
profilo
 Oggetto del messaggio: Re: Staphylinidae
MessaggioInviato: 01/12/2013, 9:56 
Avatar utente

Iscritto il: 17/06/2012, 8:30
Messaggi: 416
Nome: Tomasz Gazurek
Diría que se trata de Ochthephilus sp.

:hi:
Tomasz


Top
profilo
 Oggetto del messaggio: Re: Staphylinidae
MessaggioInviato: 01/12/2013, 14:51 
Avatar utente

Iscritto il: 09/11/2009, 14:12
Messaggi: 5145
Località: Hradec Kralove,Czech republik
Nome: Jan Matějíček
Ochthephilum Stephens,1829
= Cryptobium Mannerheim, 1830

In fauna italiana cinque species

Cryptobium algiricum Fagel, 1967 (Si, Sa)
Cryptobium brevipenne Mulsant & Rey, 1861 (N, S)
Cryptobium collare (Reitter, 1884) (N, S) - Head and pronotum red
Cryptobium fracticorne (Paykull, 1798) (N)
Cryptobium turkestanicum Korge, 1968 (S) (*)


Bez názvu.jpg


_________________
Research Fields
Taxonomy, ecology, biomonitoring , faunistic of Staphylinidae
Top
profilo
 Oggetto del messaggio: Re: Staphylinidae
MessaggioInviato: 01/12/2013, 19:13 
Avatar utente

Iscritto il: 30/12/2009, 22:20
Messaggi: 31564
Località: Roma
Nome: Maurizio Gigli
Thank you Tomasz and Jan.

So, I can rename it Ochthephilum sp.

P.S. - Jan, in the checklist of Fauna Italiana, Latium is considered in the South (S)

_________________
Maurizio Gigli
http://utenti.romascuola.net/bups
http://bup.xoom.it/


Top
profilo
 Oggetto del messaggio: Re: Staphylinidae
MessaggioInviato: 01/12/2013, 21:06 
Avatar utente

Iscritto il: 09/06/2012, 20:57
Messaggi: 4282
Località: Mesola (FE)
Nome: Daniele Maccapani
Che mandibole da cicindela! :D

:hi:

_________________
"Lasciate questo mondo un po' migliore di come lo avete trovato" (Sir Robert Baden Powell)
Immagine Daniele


Top
profilo
 Oggetto del messaggio: Re: Staphylinidae
MessaggioInviato: 01/12/2013, 22:30 
Avatar utente

Iscritto il: 30/12/2009, 22:20
Messaggi: 31564
Località: Roma
Nome: Maurizio Gigli
Gli Staphylinidi come predatori non hanno niente da invidiare a nessuno.

_________________
Maurizio Gigli
http://utenti.romascuola.net/bups
http://bup.xoom.it/


Top
profilo
Visualizza ultimi messaggi:  Ordina per  
nuovo argomento
rispondi
Pagina 1 di 1 [ 6 messaggi ]

Tutti gli orari sono UTC + 1 ora [ ora legale ]


Chi c’è in linea

Visitano il forum: Nessuno e 1 ospite


Non puoi aprire nuovi argomenti
Non puoi rispondere negli argomenti
Non puoi modificare i tuoi messaggi
Non puoi cancellare i tuoi messaggi
Non puoi inviare allegati

Cerca per:
Vai a: