Benvenuto Ospite

Forum Entomologi Italiani

www.entomologiitaliani.net/forum
 
Oggi è 03/11/2025, 16:10

Tutti gli orari sono UTC + 1 ora [ ora legale ]

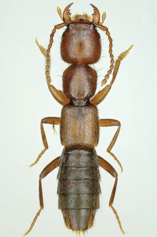
Medon sp. - Staphylinidae

21.III.2014 - ITALIA - Sardegna - NU, Monte Maccione, Oliena, 650m. leg. A. Degiovanni


nuovo argomento
rispondi
Pagina 1 di 1 [ 3 messaggi ]
Autore Messaggio
 Oggetto del messaggio: Medon sp. - Staphylinidae
MessaggioInviato: 25/04/2014, 11:28 
Avatar utente

Iscritto il: 06/02/2009, 9:03
Messaggi: 6371
Località: Bubano di Mordano (Bologna)
Nome: Augusto Degiovanni
Questo a prima vista sembrava uno Scotonomus, ma questo ha gli occhi, per cui non penso sia quel genere.

Lunghezza: 5 mm

Stafilinidae.JPG


_________________
CIAO :hi: Augusto Degiovanni

http://anthicidaeecarabidae.altervista.org


Top
profilo
 Oggetto del messaggio: Re: Stafilinidae Sardo 1
MessaggioInviato: 25/04/2014, 20:24 
Avatar utente

Iscritto il: 09/11/2009, 14:12
Messaggi: 5145
Località: Hradec Kralove,Czech republik
Nome: Jan Matějíček
Sardegna

Medon apicalis (Kraatz, 1857)
Sa? Medon brunneus (Erichson, 1839)
Medon dilutus cephalus Koch, 1939
Sa? Medon fusculus (Mannerheim, 1831)
Medon pocoferus Peyron, 1857
Medon ripicola (Kraatz, 1854)
Sa? Medon rufiventris (Nordmann, 1837)
Medon sardous Dodero, 1922

_________________
Research Fields
Taxonomy, ecology, biomonitoring , faunistic of Staphylinidae


Top
profilo
 Oggetto del messaggio: Re: Stafilinidae Sardo 1
MessaggioInviato: 26/04/2014, 13:44 
Avatar utente

Iscritto il: 06/02/2009, 9:03
Messaggi: 6371
Località: Bubano di Mordano (Bologna)
Nome: Augusto Degiovanni
Grazie Jan :ok:

_________________
CIAO :hi: Augusto Degiovanni

http://anthicidaeecarabidae.altervista.org


Top
profilo
Visualizza ultimi messaggi:  Ordina per  
nuovo argomento
rispondi
Pagina 1 di 1 [ 3 messaggi ]

Tutti gli orari sono UTC + 1 ora [ ora legale ]


Chi c’è in linea

Visitano il forum: Nessuno e 2 ospiti


Non puoi aprire nuovi argomenti
Non puoi rispondere negli argomenti
Non puoi modificare i tuoi messaggi
Non puoi cancellare i tuoi messaggi
Non puoi inviare allegati

Cerca per:
Vai a: