Benvenuto Ospite

Forum Entomologi Italiani

www.entomologiitaliani.net/forum
 
Oggi è 04/11/2025, 0:21

Tutti gli orari sono UTC + 1 ora [ ora legale ]

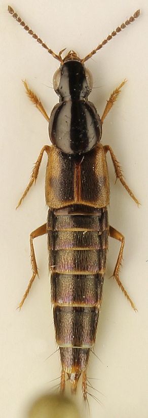
Quedius (Raphirus) sp. - Staphylinidae

4.VI.2011 - ITALIA - Sicilia - PA, Bosco della Ficuzza


nuovo argomento
rispondi
Pagina 1 di 1 [ 1 messaggio ]
Autore Messaggio
MessaggioInviato: 09/06/2015, 22:08 
 

Iscritto il: 25/03/2015, 15:12
Messaggi: 167
Località: Czech Rep.
Nome: Frantisek Houska
Pls help :?

Could it be Q. brandmayri ? - it was described here:
Zanetti A., 1992: Osservazioni su alcuni Quedius (Raphirus) del gruppo nemoralis Baudi, con descrizione di due nuove specie (Coleoptera, Staphylinidae). ANIMALIA 18 [1991]: 125-139.

This paper is inaccessible for me, so I know nothing about it's aedeagus, please can anyone find it or determine?

:hi:

IMG_3078.JPG

IMG_3079.JPG



Top
profilo
Visualizza ultimi messaggi:  Ordina per  
nuovo argomento
rispondi
Pagina 1 di 1 [ 1 messaggio ]

Tutti gli orari sono UTC + 1 ora [ ora legale ]


Chi c’è in linea

Visitano il forum: Nessuno e 2 ospiti


Non puoi aprire nuovi argomenti
Non puoi rispondere negli argomenti
Non puoi modificare i tuoi messaggi
Non puoi cancellare i tuoi messaggi
Non puoi inviare allegati

Cerca per:
Vai a: