Benvenuto Ospite

Forum Entomologi Italiani

www.entomologiitaliani.net/forum
 
Oggi è 03/11/2025, 7:26

Tutti gli orari sono UTC + 1 ora [ ora legale ]

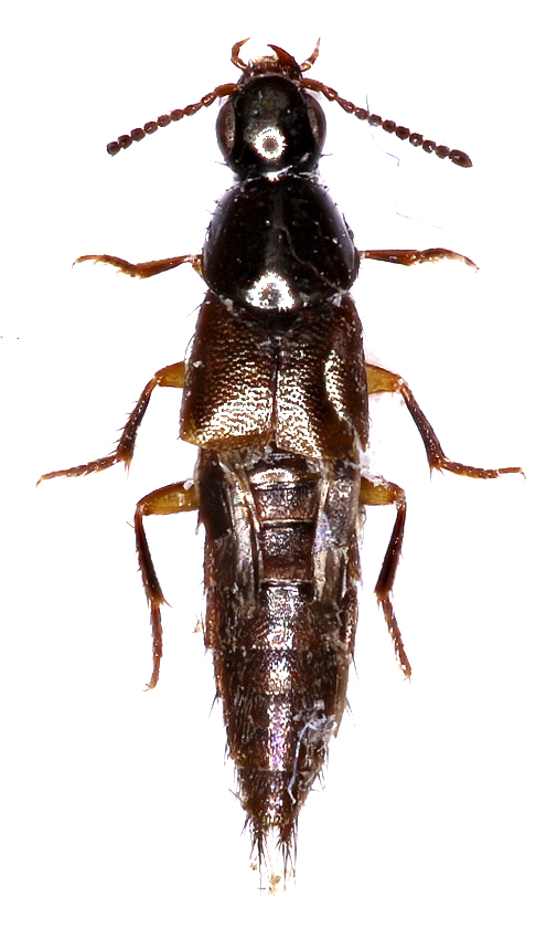
Quedius (Raphirus) sp. - Staphylinidae

18.VII.2012 - GERMANIA - EE, Northeim


nuovo argomento
rispondi
Pagina 1 di 1 [ 2 messaggi ]
Autore Messaggio
MessaggioInviato: 20/01/2016, 22:47 
Avatar utente

Iscritto il: 31/07/2014, 16:09
Messaggi: 619
Località: Northeim, Lower Saxony, Germany
Nome: Alex Hasenkampf
:hi: 6mm


Philonthus sp.6mm 18.07.12 Northeim.jpg

Top
profilo
 Oggetto del messaggio: Re: Philonthus sp
MessaggioInviato: 22/09/2020, 0:06 
 

Iscritto il: 02/11/2010, 22:33
Messaggi: 990
Nome: Aleksei Kovalev
Quedius (Raphirus) cf. scintillans/lucidulus (if with punctures on scutellum).
:hi:


Top
profilo
Visualizza ultimi messaggi:  Ordina per  
nuovo argomento
rispondi
Pagina 1 di 1 [ 2 messaggi ]

Tutti gli orari sono UTC + 1 ora [ ora legale ]


Chi c’è in linea

Visitano il forum: Nessuno e 1 ospite


Non puoi aprire nuovi argomenti
Non puoi rispondere negli argomenti
Non puoi modificare i tuoi messaggi
Non puoi cancellare i tuoi messaggi
Non puoi inviare allegati

Cerca per:
Vai a: