Benvenuto Ospite

Forum Entomologi Italiani

www.entomologiitaliani.net/forum
 
Oggi è 29/10/2025, 7:32

Tutti gli orari sono UTC + 1 ora [ ora legale ]

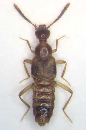
Bolitochara sp. - Staphylinidae

18.V.2007 - GERMANIA - EE, Scheidenhardt


nuovo argomento
rispondi
Pagina 1 di 1 [ 4 messaggi ]
Autore Messaggio
 Oggetto del messaggio: Bolitochara sp. - Staphylinidae
MessaggioInviato: 19/03/2018, 22:03 
 

Iscritto il: 27/04/2010, 15:04
Messaggi: 214
Località: Bonn
Nome: Dirk Rohwedder
Could you please help me!

ID of Staphylinidae from Germany
Thank you.


IMG_2804.jpg

Top
profilo
 Oggetto del messaggio: Re: ID ? - Staphylinidae
MessaggioInviato: 19/03/2018, 22:47 
Avatar utente

Iscritto il: 09/11/2009, 14:12
Messaggi: 5145
Località: Hradec Kralove,Czech republik
Nome: Jan Matějíček
Bolitochara sp.

http://www.coleo-net.de/coleo/texte/bolitochara.htm

_________________
Research Fields
Taxonomy, ecology, biomonitoring , faunistic of Staphylinidae


Top
profilo
 Oggetto del messaggio: Re: ID ? - Staphylinidae
MessaggioInviato: 20/03/2018, 11:53 
Avatar utente

Iscritto il: 09/11/2009, 14:12
Messaggi: 5145
Località: Hradec Kralove,Czech republik
Nome: Jan Matějíček
tribe: Homalotini Heer, 1839
subtribe: Bolitocharina Thomson, 1859

in Germany these species:

bella Märkel, 1844
lucida Gravenhorst, 1802
mulsanti Sharp, 1875
obliqua Erichson, 1837
pulchra Gravenhorst, 1806
tecta Assing, 2014




I think lucida Gravenhorst, 1802 or pulchra Gravenhorst, 1806


lucida.jpg


_________________
Research Fields
Taxonomy, ecology, biomonitoring , faunistic of Staphylinidae
Top
profilo
 Oggetto del messaggio: Re: Bolitochara sp. - Staphylinidae
MessaggioInviato: 28/12/2020, 3:15 
 

Iscritto il: 02/11/2010, 22:33
Messaggi: 990
Nome: Aleksei Kovalev
B. tecta seems most probable...
:hi:


Top
profilo
Visualizza ultimi messaggi:  Ordina per  
nuovo argomento
rispondi
Pagina 1 di 1 [ 4 messaggi ]

Tutti gli orari sono UTC + 1 ora [ ora legale ]


Chi c’è in linea

Visitano il forum: Nessuno e 1 ospite


Non puoi aprire nuovi argomenti
Non puoi rispondere negli argomenti
Non puoi modificare i tuoi messaggi
Non puoi cancellare i tuoi messaggi
Non puoi inviare allegati

Cerca per:
Vai a: