Benvenuto Ospite

Forum Entomologi Italiani

www.entomologiitaliani.net/forum
 
Oggi è 13/11/2025, 4:49

Tutti gli orari sono UTC + 1 ora [ ora legale ]

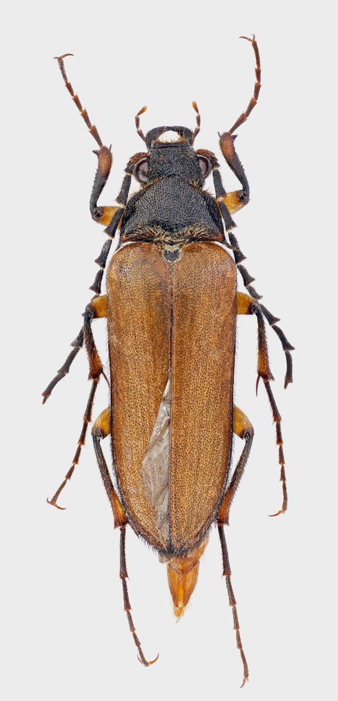
Cebrio (Cebrio) supramontanus Rattu & Cillo, 2012 - Elateridae Cebrioninae - nuova specie di Sardegna

25.IX.2011 - ITALIA - Sardegna - NU, Lula, Monte Albo, fontana Friscunele, C. Onnis leg., paratypus


nuovo argomento
rispondi
Vai alla pagina 1, 2, 3  Prossimo
Pagina 1 di 3 [ 38 messaggi ]
Autore Messaggio
MessaggioInviato: 10/01/2013, 17:32 
Avatar utente

Iscritto il: 02/09/2009, 20:57
Messaggi: 8703
Località: Cagliari
Nome: Roberto Rattu
A più di cent’anni dall’ultimo contributo sui Cebrio italiani, volevamo finalmente ( :hp: ) presentarvi una nuova specie appartenente a questo genere, endemica della fascia centro-orientale dell’isola, molto ben differenziata rispetto alle specie congeneri della Sardegna. Come la maggior parte dei Cebrio italiani presenta fenologia legata a piogge o forte umidità. L’esemplare raffigurato, fotografato da Marcello Romano, è un paratipo.
Sono tante le persone che, a diverso titolo, hanno dato un utile apporto al lavoro di descrizione (che a breve allego), rendendolo meno imperfetto :D : ci fa piacere ripeterle qui anche se sono, ovviamente, tutte debitamente citate nel pdf: Maria Grazia Atzori, Luca Fancello, Francesco Fois, Adriana Lecis, Carlo Onnis, Piero Leo, Andrea Rattu, Daniele Sechi e Alberto Strocchi ci hanno concesso in studio il materiale delle loro collezioni; Roberto Pantaleoni, Tiziana Nuvoli e Roberto Poggi ci hanno consentito, con la disponibilità che li distingue, lo studio delle collezioni, rispettivamente di Sassari e di Genova; Piero Leo, Roberto Poggi, Giovanni Ratto e Iuri Zappi hanno criticamente letto il lavoro, migliorandolo non poco con le loro osservazioni; Marcello Romano ha fornito il suo ausilio fotografico, come al solito eccellente.
Cebrio supramontanus.jpg



Top
profilo
MessaggioInviato: 10/01/2013, 17:39 
Avatar utente

Iscritto il: 21/05/2010, 23:05
Messaggi: 2984
Località: San Godenzo (FI)
Nome: Carlo Massarone
Complimenti :ok:

_________________
Carlo Massarone


Top
profilo
MessaggioInviato: 10/01/2013, 17:41 
Avatar utente

Iscritto il: 19/06/2011, 12:39
Messaggi: 1355
Nome: Fabio turchetti
Complimenti Roberto!!!!!!!!!!! :birra: :birra:

_________________
Fabio Turchetti


Top
profilo
MessaggioInviato: 10/01/2013, 17:46 
Avatar utente

Iscritto il: 22/12/2009, 13:31
Messaggi: 9646
Località: Napoli
Nome: Francesco Izzillo
:birra: Complimenti, il lavoro è in press?

_________________
Francesco Izzillo


Top
profilo
MessaggioInviato: 10/01/2013, 17:52 
Avatar utente

Iscritto il: 02/09/2009, 20:57
Messaggi: 8703
Località: Cagliari
Nome: Roberto Rattu
Intanto grazie :birra: : ecco il pdf:
R. Rattu & D. Cillo. C. supramontanus.pdf [5.46 MiB]
Scaricato 453 volte


Top
profilo
MessaggioInviato: 10/01/2013, 17:56 
Avatar utente

Iscritto il: 02/06/2012, 11:02
Messaggi: 434
Località: Quartucciu ( Cagliari )
Nome: Federico Alamanni
Complimenti a tutti e due :hp: :hp:

_________________
Federico Alamanni

federico.alamanni@gmail.com


Top
profilo
MessaggioInviato: 10/01/2013, 18:16 
Avatar utente

Iscritto il: 08/02/2010, 23:01
Messaggi: 6171
Località: Vicenza
Nome: Silvano Biondi
Complimenti :birra:

:hi:

_________________



Silvano


Top
profilo
MessaggioInviato: 10/01/2013, 18:21 
Avatar utente

Iscritto il: 05/02/2010, 19:48
Messaggi: 354
Nome: andrea bramanti
bellissima specie e grazie per il .pdf: complimeti a entrambi :hi:


Top
profilo
MessaggioInviato: 10/01/2013, 19:16 
Avatar utente

Iscritto il: 27/02/2009, 19:34
Messaggi: 857
Località: Belluno
Nome: Enzo GATTI
I miei più sentiti complimenti per l'importante scoperta e per il bellissimo lavoro :ok: :ok:

Enzo :) :) :


Top
profilo
MessaggioInviato: 10/01/2013, 19:17 
Avatar utente

Iscritto il: 04/02/2009, 17:49
Messaggi: 5510
Località: Cagliari
Nome: Daniele Sechi
Sapevo dell'imminente pubblicazione, complimenti ad entrambi!
:ok:

_________________
:hi:
Daniele


Top
profilo
MessaggioInviato: 10/01/2013, 19:31 
Avatar utente

Iscritto il: 10/05/2010, 22:31
Messaggi: 4371
Località: Gavorrano (GR)
Nome: marco bastianini
Tantissimi sinceri complimenti ad entrambi
:hp: :hp: :hp: :hp: :hp: :hp: :hp: :hp: :hp: :hp: :hp:

_________________
:to: Marco
"Le foreste a precedere le civiltà, i deserti a seguire."
François-René de Chateaubriand


Top
profilo
MessaggioInviato: 10/01/2013, 19:32 
Avatar utente

Iscritto il: 17/02/2009, 0:05
Messaggi: 8521
Località: Isola d'Elba - Arcipelago Toscano
Nome: Leonardo Forbicioni
:birra: :birra: :birra: Bravi bravi bravi bravi!! :hp: :hp: :hp:

L'impegno e la passione premiano sempre!! :lov2: :lov2:

_________________
"Stay hungry, stay foolish".
Steve Jobs, 2005
___________________
jjuniper8(at)gmail.com
Twitter: @weevil_forbix
cell. 339/5275910
___________________


Top
profilo
MessaggioInviato: 10/01/2013, 19:39 
Avatar utente

Iscritto il: 10/05/2009, 15:30
Messaggi: 7182
Località: Ancona
Nome: Giacomo Giovagnoli
:hp: :birra:

_________________
Immagine Giacomo


Top
profilo
MessaggioInviato: 10/01/2013, 20:08 
 

Iscritto il: 10/07/2010, 14:42
Messaggi: 4788
Nome: Giuseppe Pace
BELLISSIMO LAVORO.

BRAVISSIMI TUTTI.

:ok:

Immaginavo che l'approfondimento dello studio di questo genere avrebbe portato a delle belle "soddisfazioni".

Ciao
Giuseppe


Top
profilo
MessaggioInviato: 10/01/2013, 20:11 
Avatar utente

Iscritto il: 30/12/2009, 22:20
Messaggi: 31564
Località: Roma
Nome: Maurizio Gigli
:ok:

_________________
Maurizio Gigli
http://utenti.romascuola.net/bups
http://bup.xoom.it/


Top
profilo
Visualizza ultimi messaggi:  Ordina per  
nuovo argomento
rispondi
Vai alla pagina 1, 2, 3  Prossimo
Pagina 1 di 3 [ 38 messaggi ]

Tutti gli orari sono UTC + 1 ora [ ora legale ]


Chi c’è in linea

Visitano il forum: Nessuno e 3 ospiti


Non puoi aprire nuovi argomenti
Non puoi rispondere negli argomenti
Non puoi modificare i tuoi messaggi
Non puoi cancellare i tuoi messaggi
Non puoi inviare allegati

Cerca per:
Vai a: