Benvenuto Ospite

Forum Entomologi Italiani

www.entomologiitaliani.net/forum
 
Oggi è 13/11/2025, 2:33

Tutti gli orari sono UTC + 1 ora [ ora legale ]

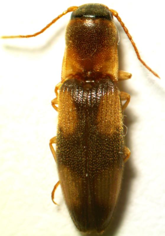
Betarmon bisbimaculatus (Fabricius, 1803) - Elateridae

1.VI.2013 - ITALIA - Toscana - FI, riva del Arno


nuovo argomento
rispondi
Pagina 1 di 1 [ 3 messaggi ]
Autore Messaggio
MessaggioInviato: 15/07/2013, 6:13 
 

Iscritto il: 12/06/2013, 5:02
Messaggi: 141
Località: Neuss, germania
Nome: Michael Becker
Buongiorno.

Ho trovato questo coleottero sulle rive del fiume Arno a Firenze. Che cosa è? (Lunghezza: 5,0mm)

Grazie,
Michael


elateridae_5_florenz_130601.jpg

Top
profilo
 Oggetto del messaggio: Re: Elateridae
MessaggioInviato: 15/07/2013, 8:35 
Avatar utente

Iscritto il: 05/02/2009, 17:44
Messaggi: 2683
Località: Garbagnate Milanese
Nome: Augusto Franzini
Betarmon bisbimaculatus, se non sbaglio.

_________________
Augusto (aug)
Prediction is very difficult, especially about the future (Niels Bohr, fisico)


Top
profilo
 Oggetto del messaggio: Re: Elateridae
MessaggioInviato: 16/07/2013, 4:59 
 

Iscritto il: 12/06/2013, 5:02
Messaggi: 141
Località: Neuss, germania
Nome: Michael Becker
Grazie per la risposta.
Michael


Top
profilo
Visualizza ultimi messaggi:  Ordina per  
nuovo argomento
rispondi
Pagina 1 di 1 [ 3 messaggi ]

Tutti gli orari sono UTC + 1 ora [ ora legale ]


Chi c’è in linea

Visitano il forum: Nessuno e 1 ospite


Non puoi aprire nuovi argomenti
Non puoi rispondere negli argomenti
Non puoi modificare i tuoi messaggi
Non puoi cancellare i tuoi messaggi
Non puoi inviare allegati

Cerca per:
Vai a: