Benvenuto Ospite

Forum Entomologi Italiani

www.entomologiitaliani.net/forum
 
Oggi è 12/11/2025, 19:57

Tutti gli orari sono UTC + 1 ora [ ora legale ]

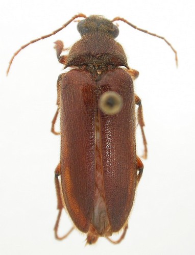
Cebrio (Tibesia) doderoi Leoni, 1906 - Elateridae Elaterinae Cebrionini

4.VI.2016 - ITALIA - Sardegna - CI, Portoscuso, loc. Paringianu, F. Fois leg.


nuovo argomento
rispondi
Pagina 1 di 1 [ 9 messaggi ]
Autore Messaggio
MessaggioInviato: 15/03/2020, 12:35 
Avatar utente

Iscritto il: 02/09/2009, 20:57
Messaggi: 8703
Località: Cagliari
Nome: Roberto Rattu
Descritto da Leoni come "var." di C. (T.) strictus e sinonimizzato nel Cat. Pal. in realtà è una specie a sé stante, ben differenziata da strictus principalmente per la morfologia degli occhi, oltre che per altri significativi caratteri.
C. (T.) doderoi è un endemita della Sardegna sud-occidentale, raccolto da A. Dodero nel 1892 presso Portovesme. Nella descrizione originale non figurano però i dati di raccolta ma fortunatamente l'Holotypus è custodito presso il Museo Civico di Storia Naturale “G. Doria” dove, a dispetto dei suoi 128 anni di età, gode di ottima salute e condizioni perfette. E soprattutto reca le etichette con dati di raccolta precisi, essenziali specialmente nei gruppi a bassa capacità di dispersione. E così, grazie al fondamentale aiuto degli amici F. Fois e D. Cillo, si sono radunati ulteriori materiali topotipici e si sono campionate popolazioni limitrofe, ancora in corso di studio. Il distillato di circa 3 anni di ricerche è il seguente, uscito poco più di un anno fa (la foto è di Erika Bazzato):



fig. 1.jpg



Morfologia oculare di C. strictus (in alto), C. doderoi (in basso). Disegno di Alessio Morelli

fig. 3.jpg



C. (T.) doderoi - Holotypus

fig. 4.jpg



Top
profilo
MessaggioInviato: 15/03/2020, 13:47 
Avatar utente

Iscritto il: 10/05/2010, 22:31
Messaggi: 4371
Località: Gavorrano (GR)
Nome: marco bastianini
Fumea crassiorella ha scritto:
R. Rattu, F. Fois e D. Cillo 2018 - Considerazioni sistematiche su C. strictus var. doderoi.pdf [3.93 MiB]

Il boss dei Cebrio. :mrgreen: :mrgreen: :mrgreen:
Complimenti a tutti e tre. :birra: :birra: :birra: :birra:

_________________
:to: Marco
"Le foreste a precedere le civiltà, i deserti a seguire."
François-René de Chateaubriand


Top
profilo
MessaggioInviato: 15/03/2020, 18:00 
Avatar utente

Iscritto il: 06/02/2009, 9:03
Messaggi: 6373
Località: Bubano di Mordano (Bologna)
Nome: Augusto Degiovanni
Bel lavoro complimenti a voi :birra:

_________________
CIAO :hi: Augusto Degiovanni

http://anthicidaeecarabidae.altervista.org


Top
profilo
MessaggioInviato: 15/03/2020, 18:29 
Avatar utente

Iscritto il: 19/09/2009, 22:25
Messaggi: 5913
Località: Brescia
Nome: Vinicio Salami
grande :birra: :birra: :birra:


Top
profilo
MessaggioInviato: 15/03/2020, 19:01 
Avatar utente

Iscritto il: 08/02/2010, 23:01
Messaggi: 6171
Località: Vicenza
Nome: Silvano Biondi
Complimenti!
Visto che avete trovato popolazioni a Sant'Antioco e a Portovesme, potrebbero essercene anche a San Pietro? Non ne avete trovati o non sono state fatte ricerche?

:hi:

_________________



Silvano


Top
profilo
MessaggioInviato: 15/03/2020, 20:42 
Avatar utente

Iscritto il: 23/06/2010, 11:11
Messaggi: 2784
Località: Cagliari
Nome: Gianpaolo Ruzzante
Cmplimenti a Roberto, Davide, Francesco ed alla fotografa Erika :lov2:


Top
profilo
MessaggioInviato: 15/03/2020, 23:34 
Avatar utente

Iscritto il: 04/02/2009, 17:49
Messaggi: 5510
Località: Cagliari
Nome: Daniele Sechi
Apoderus ha scritto:
Complimenti!
Visto che avete trovato popolazioni a Sant'Antioco e a Portovesme, potrebbero essercene anche a San Pietro? Non ne avete trovati o non sono state fatte ricerche?

:hi:

Io di San Pietro per ora ho uno strictus.

_________________
:hi:
Daniele


Top
profilo
MessaggioInviato: 16/03/2020, 11:37 
Avatar utente

Iscritto il: 02/09/2009, 20:57
Messaggi: 8703
Località: Cagliari
Nome: Roberto Rattu
Anche io di S. Pietro ho visto solo strictus. Le specie del "gruppo doderoi" sembrano connesse ai suoli sabbiosi costieri e subcostieri. Se a S. Pietro ci sono li cercherei nella zona contrassegnata 1 (ghiaie, sabbie, limi e argille sabbiose). Sono andato a lampadare una sola volta e senza successo alle Saline ma non vuol dire nulla: bisogna un po' insistere.

Cattura.JPG



Top
profilo
MessaggioInviato: 16/03/2020, 12:03 
Avatar utente

Iscritto il: 05/02/2009, 17:28
Messaggi: 3226
Nome: Marco Uliana
Fumea crassiorella ha scritto:
Sono andato a lampadare una sola volta e senza successo

Non ci posso credere.
Non è da te.
Di solito hai un c, ehm, una fortuna sfacciata :mrgreen:


Top
profilo
Visualizza ultimi messaggi:  Ordina per  
nuovo argomento
rispondi
Pagina 1 di 1 [ 9 messaggi ]

Tutti gli orari sono UTC + 1 ora [ ora legale ]


Chi c’è in linea

Visitano il forum: Nessuno e 1 ospite


Non puoi aprire nuovi argomenti
Non puoi rispondere negli argomenti
Non puoi modificare i tuoi messaggi
Non puoi cancellare i tuoi messaggi
Non puoi inviare allegati

Cerca per:
Vai a: