Benvenuto Ospite

Forum Entomologi Italiani

www.entomologiitaliani.net/forum
 
Oggi è 13/11/2025, 0:24

Tutti gli orari sono UTC + 1 ora [ ora legale ]

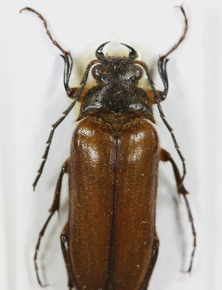
Cebrio (Cebrio) supramontanus Rattu & Cillo, 2012 - Elateridae Cebrioninae Cebrionini

X.2014 - ITALIA - Sardegna - NU, Supramonte di Orgosolo, M. Gnecchi leg.


nuovo argomento
rispondi
Pagina 1 di 1 [ 5 messaggi ]
Autore Messaggio
MessaggioInviato: 26/04/2015, 15:16 
Avatar utente

Iscritto il: 29/06/2010, 22:51
Messaggi: 830
Località: Fonte Nuova (RM)
Nome: Davide Brocchieri
questo è il mio primo Cebrio in assoluto, regalo graditissimo di un amico :hp: :hp: ...che roba è :? :?
IMG_9896.JPG

IMG_9895.JPG


_________________
Ciao
Davide :hi:


Top
profilo
 Oggetto del messaggio: Re: Cebrionidae sardo
MessaggioInviato: 29/04/2015, 19:48 
Avatar utente

Iscritto il: 29/06/2010, 22:51
Messaggi: 830
Località: Fonte Nuova (RM)
Nome: Davide Brocchieri
a questo punto direi.....up....con misure: 17 mm
:lol1: :D

_________________
Ciao
Davide :hi:


Top
profilo
 Oggetto del messaggio: Re: Cebrionidae sardo
MessaggioInviato: 29/04/2015, 20:59 
Avatar utente

Iscritto il: 22/05/2009, 21:00
Messaggi: 2774
Località: Pergine Valsugana (TN)
Nome: Andrea Carlin
:hi: Ciao: non sono certamente un esperto di Cebrio ma dovrebbe essere Cebrio supramontanus Rattu & Cillo, 2012 quantomeno per il primo antennomero non nero....
Abbi pazienza: se passa Roberto R. ci penserà lui! ;)
Bella bestiola! :birra:

_________________
Andrea Carlin, Pergine Valsugana (TN) carlin.andrea(AT)gmail.com

Nota: tutti gli esemplari inseriti nelle discussioni aperte da me sono da ritenere "Andrea Carlin legit" se non diversamente specificato.


Top
profilo
 Oggetto del messaggio: Re: Cebrionidae sardo
MessaggioInviato: 29/04/2015, 22:42 
Avatar utente

Iscritto il: 02/09/2009, 20:57
Messaggi: 8703
Località: Cagliari
Nome: Roberto Rattu
D'accordo con Andrea :ok:

:hi:


Top
profilo
MessaggioInviato: 30/04/2015, 13:47 
Avatar utente

Iscritto il: 29/06/2010, 22:51
Messaggi: 830
Località: Fonte Nuova (RM)
Nome: Davide Brocchieri
grazie ad entrambi :ok:

_________________
Ciao
Davide :hi:


Top
profilo
Visualizza ultimi messaggi:  Ordina per  
nuovo argomento
rispondi
Pagina 1 di 1 [ 5 messaggi ]

Tutti gli orari sono UTC + 1 ora [ ora legale ]


Chi c’è in linea

Visitano il forum: Nessuno e 1 ospite


Non puoi aprire nuovi argomenti
Non puoi rispondere negli argomenti
Non puoi modificare i tuoi messaggi
Non puoi cancellare i tuoi messaggi
Non puoi inviare allegati

Cerca per:
Vai a: