Benvenuto Ospite

Forum Entomologi Italiani

www.entomologiitaliani.net/forum
 
Oggi è 13/10/2025, 23:04

Tutti gli orari sono UTC + 1 ora [ ora legale ]

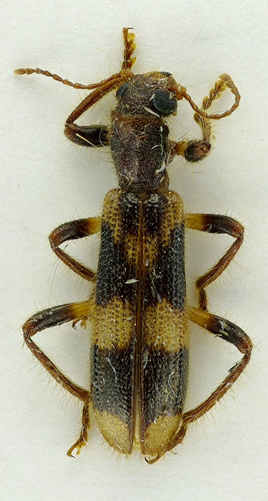
Opilo mollis (Linnaeus, 1758) Dettagli della specie

26.VII.2010 - ITALIA - Toscana - FI, San Godenzo - loc. Le Croci. m.753


nuovo argomento
rispondi
Pagina 1 di 1 [ 4 messaggi ]
Autore Messaggio
MessaggioInviato: 11/04/2011, 14:44 
Avatar utente

Iscritto il: 21/05/2010, 23:05
Messaggi: 2982
Località: San Godenzo (FI)
Nome: Carlo Massarone
IT-TOSCANA m 753
San Godenzo (FI), loc. Le Croci
N 43°54'6.6" E 11°38'29.4"
26.VII.2010 C. Massarone leg.
in trappola aerea

lungh. mm. 9 circa
Ignoto2.jpg


_________________
Carlo Massarone


Top
profilo
 Oggetto del messaggio: Re: Cleride?
MessaggioInviato: 11/04/2011, 14:51 
Avatar utente

Iscritto il: 05/02/2009, 17:25
Messaggi: 4894
Località: Zola Predosa (BO)
Nome: Loris Colacurcio
CLERIDAE :ok:
Genere Opilo...forse il domesticus (Sturm, 1837)

:hi:

_________________
Loris


Top
profilo
 Oggetto del messaggio: Re: Cleride?
MessaggioInviato: 11/04/2011, 16:02 
Avatar utente

Iscritto il: 18/06/2009, 16:54
Messaggi: 1093
Località: Casalecchio di Reno (BO)
Nome: Iuri Zappi
Opilo mollis (Linnaeus, 1758)

_________________
:hi: :hi: :hi:
Iuri


Top
profilo
 Oggetto del messaggio: Re: Cleride?
MessaggioInviato: 11/04/2011, 17:27 
Avatar utente

Iscritto il: 21/05/2010, 23:05
Messaggi: 2982
Località: San Godenzo (FI)
Nome: Carlo Massarone
Grazie Loris e Grazie Iuri
:birra: :birra: :hi:

_________________
Carlo Massarone


Top
profilo
Visualizza ultimi messaggi:  Ordina per  
nuovo argomento
rispondi
Pagina 1 di 1 [ 4 messaggi ]

Tutti gli orari sono UTC + 1 ora [ ora legale ]


Chi c’è in linea

Visitano il forum: Nessuno e 2 ospiti


Non puoi aprire nuovi argomenti
Non puoi rispondere negli argomenti
Non puoi modificare i tuoi messaggi
Non puoi cancellare i tuoi messaggi
Non puoi inviare allegati

Cerca per:
Vai a: