Benvenuto Ospite

Forum Entomologi Italiani

www.entomologiitaliani.net/forum
 
Oggi è 22/10/2025, 11:05

Tutti gli orari sono UTC + 1 ora [ ora legale ]

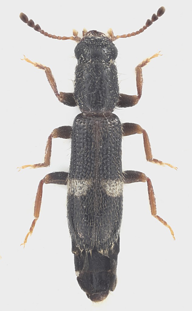
Tarsostenus univittatus (Rossi, 1792) Dettagli della specie

VI.2017 - ITALIA - Lazio - FR, Serrone, 650 m, sul terrazzo di casa, alla luce nera


nuovo argomento
rispondi
Pagina 1 di 1 [ 8 messaggi ]
Autore Messaggio
MessaggioInviato: 13/10/2017, 22:32 
Avatar utente

Iscritto il: 30/12/2009, 22:20
Messaggi: 31564
Località: Roma
Nome: Maurizio Gigli
Tarsostenus univittatus (Rossi, 1792)

Una bestiolina cosmopolita, ma che mi pare sia piuttosto poco comune da noi.

Lazio, Frosinone, Serrone, 650 m, sul terrazzo di casa mia, alla luce nera, IX.2017, M. Gigli legit
4 mm (fino all'apice elitrale)

Tarsostenus_unifasciatus_Serrone_IX-2017_4mm_grey.jpg


_________________
Maurizio Gigli
http://utenti.romascuola.net/bups
http://bup.xoom.it/


Top
profilo
MessaggioInviato: 13/10/2017, 22:45 
Avatar utente

Iscritto il: 22/12/2009, 13:31
Messaggi: 9646
Località: Napoli
Nome: Francesco Izzillo
Questo è interessante

_________________
Francesco Izzillo


Top
profilo
MessaggioInviato: 14/10/2017, 11:37 
Avatar utente

Iscritto il: 05/02/2009, 17:44
Messaggi: 2682
Località: Garbagnate Milanese
Nome: Augusto Franzini
Mai visto prima :shock:
:hi:

_________________
Augusto (aug)
Prediction is very difficult, especially about the future (Niels Bohr, fisico)


Top
profilo
MessaggioInviato: 14/10/2017, 13:46 
 

Iscritto il: 10/07/2010, 14:42
Messaggi: 4780
Nome: Giuseppe Pace
Julodis ha scritto:
Serrone, 650 m, sul terrazzo di casa mia


Oltre che nel tuo giardino...

...dovrò venire a "scavare" anche sul tuo terrazzo. :lol1:

Ciao
Giuseppe


Top
profilo
MessaggioInviato: 14/10/2017, 14:58 
Avatar utente

Iscritto il: 30/12/2009, 22:20
Messaggi: 31564
Località: Roma
Nome: Maurizio Gigli
aug ha scritto:
Mai visto prima :shock:
:hi:

Sul Forum ce n'è da tempo uno toscano.

giuseppe55 ha scritto:
dovrò venire a "scavare" anche sul tuo terrazzo. :lol1:
Questi mi sa che ce li ho proprio in casa, visto che ho i mobili pieni di tarli, una delle loro prede preferite.

_________________
Maurizio Gigli
http://utenti.romascuola.net/bups
http://bup.xoom.it/


Top
profilo
MessaggioInviato: 16/10/2017, 19:21 
 

Iscritto il: 10/07/2010, 14:42
Messaggi: 4780
Nome: Giuseppe Pace
Julodis ha scritto:
Questi mi sa che ce li ho proprio in casa, visto che ho i mobili pieni di tarli


Nessun problema.

...vengo a "scortecciare" il tuo divano. :lol1:

Ciao
Giuseppe


Top
profilo
MessaggioInviato: 16/10/2017, 19:39 
Avatar utente

Iscritto il: 30/12/2009, 22:20
Messaggi: 31564
Località: Roma
Nome: Maurizio Gigli
giuseppe55 ha scritto:
Julodis ha scritto:
Questi mi sa che ce li ho proprio in casa, visto che ho i mobili pieni di tarli


Nessun problema.

...vengo a "scortecciare" il tuo divano. :lol1:

Ciao
Giuseppe

Quello è sano, però c'è da scegliere tra tavoli, sedie, mobili vari.

_________________
Maurizio Gigli
http://utenti.romascuola.net/bups
http://bup.xoom.it/


Top
profilo
MessaggioInviato: 16/10/2017, 19:47 
 

Iscritto il: 10/07/2010, 14:42
Messaggi: 4780
Nome: Giuseppe Pace
Julodis ha scritto:
Quello è sano, però c'è da scegliere tra tavoli, sedie, mobili vari.


Bene.

Per sicurezza...

metterò una "trappola a caduta" sopra il letto :lol1:
e un "2 piattini gialli" sotto il tavolo. :lol1:

Ciao
Giuseppe


Top
profilo
Visualizza ultimi messaggi:  Ordina per  
nuovo argomento
rispondi
Pagina 1 di 1 [ 8 messaggi ]

Tutti gli orari sono UTC + 1 ora [ ora legale ]


Chi c’è in linea

Visitano il forum: Nessuno e 1 ospite


Non puoi aprire nuovi argomenti
Non puoi rispondere negli argomenti
Non puoi modificare i tuoi messaggi
Non puoi cancellare i tuoi messaggi
Non puoi inviare allegati

Cerca per:
Vai a: