Benvenuto Ospite

Forum Entomologi Italiani

www.entomologiitaliani.net/forum
 
Oggi è 22/10/2025, 11:05

Tutti gli orari sono UTC + 1 ora [ ora legale ]

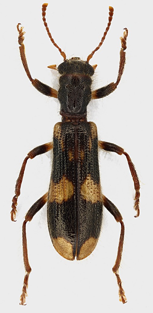
Opilo mollis (Linnaeus, 1758) Dettagli della specie

VI.2017 - ITALIA - Lazio - RM, Segni, gruppo del Monte Lupone, 900 m


nuovo argomento
rispondi
Pagina 1 di 1 [ 1 messaggio ]
Autore Messaggio
MessaggioInviato: 31/07/2017, 23:17 
Avatar utente

Iscritto il: 30/12/2009, 22:20
Messaggi: 31564
Località: Roma
Nome: Maurizio Gigli
Opilo mollis (Linnaeus, 1758)

Non avevo ancora fotografato nessun Opilo. Inizio con questo recente esemplare della specie più comune.

Lazio, Roma, Segni, gruppo del Monte Lupone, 900 m, 8.VI-7.VII.2017, M. Gigli legit
11,5 mm

Opilo_mollis_Monte_Lupone_VI-2017_11.5mm_grey.jpg


_________________
Maurizio Gigli
http://utenti.romascuola.net/bups
http://bup.xoom.it/


Top
profilo
Visualizza ultimi messaggi:  Ordina per  
nuovo argomento
rispondi
Pagina 1 di 1 [ 1 messaggio ]

Tutti gli orari sono UTC + 1 ora [ ora legale ]


Chi c’è in linea

Visitano il forum: Nessuno e 1 ospite


Non puoi aprire nuovi argomenti
Non puoi rispondere negli argomenti
Non puoi modificare i tuoi messaggi
Non puoi cancellare i tuoi messaggi
Non puoi inviare allegati

Cerca per:
Vai a: