Benvenuto Ospite

Forum Entomologi Italiani

www.entomologiitaliani.net/forum
 
Oggi è 04/11/2025, 2:36

Tutti gli orari sono UTC + 1 ora [ ora legale ]

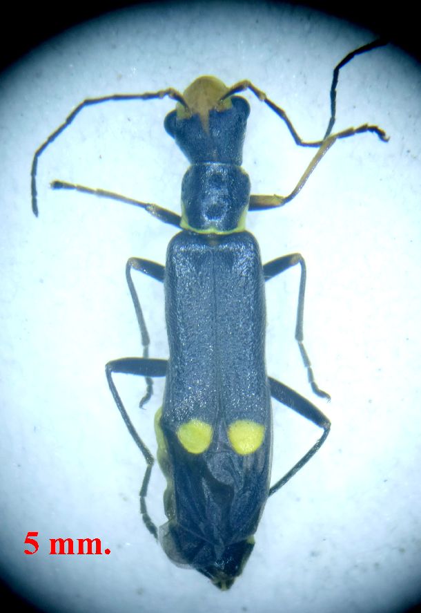
Malthinus sp. - Cantharidae

12.V.2023 - ITALIA - Sardegna - SS, Villanova Monteleone


nuovo argomento
rispondi
Pagina 1 di 1 [ 1 messaggio ]
Autore Messaggio
 Oggetto del messaggio: Malthinus sp. - Cantharidae
MessaggioInviato: 16/05/2023, 13:14 
 

Iscritto il: 06/02/2009, 9:05
Messaggi: 2588
Località: Alghero
Nome: Pietro Niolu
Malthinus scriptus?

1.jpg


2.jpg


D +.jpg


V.jpg


F.jpg


TP.jpg


F.jpg



E.jpg


_________________
Ciao
Pietro
Top
profilo
Visualizza ultimi messaggi:  Ordina per  
nuovo argomento
rispondi
Pagina 1 di 1 [ 1 messaggio ]

Tutti gli orari sono UTC + 1 ora [ ora legale ]


Chi c’è in linea

Visitano il forum: Nessuno e 2 ospiti


Non puoi aprire nuovi argomenti
Non puoi rispondere negli argomenti
Non puoi modificare i tuoi messaggi
Non puoi cancellare i tuoi messaggi
Non puoi inviare allegati

Cerca per:
Vai a:  
cron