Benvenuto Ospite

Forum Entomologi Italiani

www.entomologiitaliani.net/forum
 
Oggi è 24/10/2025, 7:47

Tutti gli orari sono UTC + 1 ora [ ora legale ]

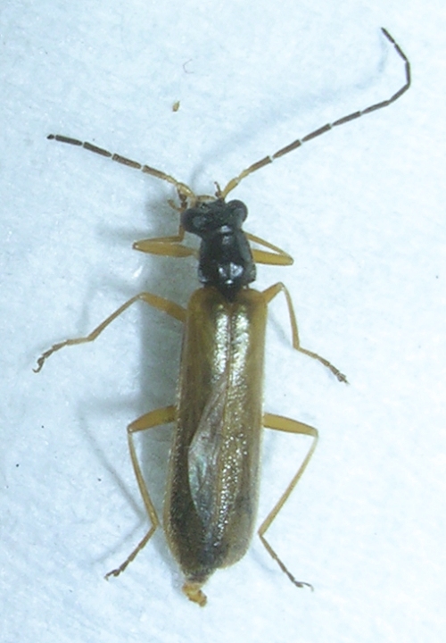
Rhagonycha (Rhagonycha) lignosa (O.F. Müller, 1764) - Cantharidae

12.V.2012 - ITALIA - Umbria - PG, Scheggia e Pascelupo - Loc. Il Marchigiano


nuovo argomento
rispondi
Pagina 1 di 1 [ 3 messaggi ]
Autore Messaggio
MessaggioInviato: 21/05/2012, 21:28 
Avatar utente

Iscritto il: 09/07/2011, 13:43
Messaggi: 2210
Località: Marmirolo (MN)
Nome: Maura Bocci
Trovato in una radura umida, agli ultimi raggi di sole del pomeriggio, tra l'erba alta.

Lunghezza ca. 7 mm.


Image1.jpg


Image2.jpg


Image3.jpg


Image4.jpg


_________________
Maura
(Mitakuye oyasin)


Top
profilo
MessaggioInviato: 22/05/2012, 10:48 
 
si , bravaaaaaaaaaaaaaaaaaaaaaaaaaaaaaaa
semplice appassionato
Fabrizio


Top
MessaggioInviato: 22/05/2012, 14:38 
Avatar utente

Iscritto il: 09/07/2011, 13:43
Messaggi: 2210
Località: Marmirolo (MN)
Nome: Maura Bocci
:oops:
Grazie Fabrizio! :hp:

:hi:

_________________
Maura
(Mitakuye oyasin)


Top
profilo
Visualizza ultimi messaggi:  Ordina per  
nuovo argomento
rispondi
Pagina 1 di 1 [ 3 messaggi ]

Tutti gli orari sono UTC + 1 ora [ ora legale ]


Chi c’è in linea

Visitano il forum: Nessuno e 2 ospiti


Non puoi aprire nuovi argomenti
Non puoi rispondere negli argomenti
Non puoi modificare i tuoi messaggi
Non puoi cancellare i tuoi messaggi
Non puoi inviare allegati

Cerca per:
Vai a: