Benvenuto Ospite

Forum Entomologi Italiani

www.entomologiitaliani.net/forum
 
Oggi è 28/10/2025, 21:14

Tutti gli orari sono UTC + 1 ora [ ora legale ]

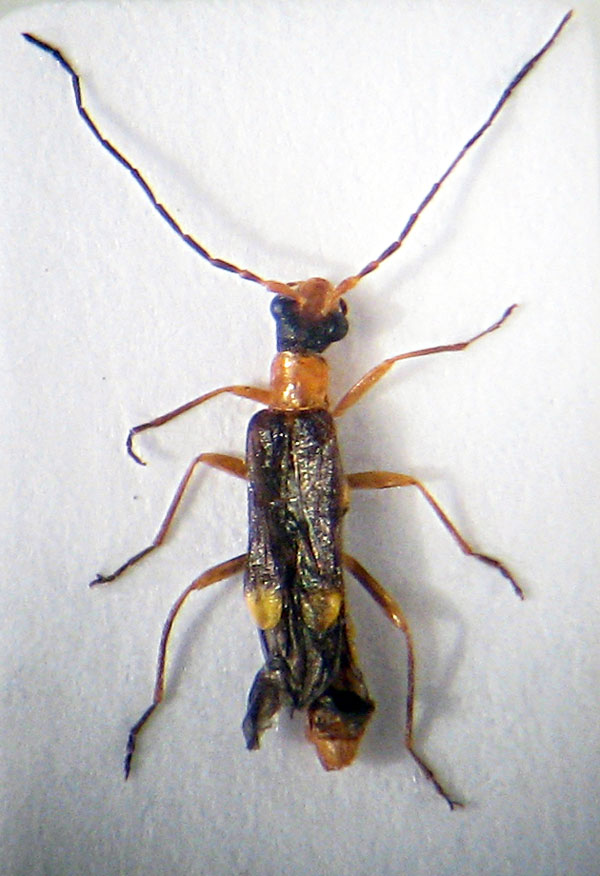
Malthinus creticus Wittmer, 1971 (cf.) - Cantharidae Malthininae

1.V.2013 - GRECIA - EE, Crete


nuovo argomento
rispondi
Pagina 1 di 1 [ 2 messaggi ]
Autore Messaggio
MessaggioInviato: 26/06/2013, 19:33 
Avatar utente

Iscritto il: 13/04/2013, 14:10
Messaggi: 401
Località: Moscow
Nome: Ilya Zabaluev
:?:
L.: 4 mm


Krete_25ee.jpg

Krete_25ob.jpg

Top
profilo
 Oggetto del messaggio: Re: Malthininae - Cantharidae
MessaggioInviato: 01/08/2013, 8:54 
Avatar utente

Iscritto il: 13/04/2013, 14:10
Messaggi: 401
Località: Moscow
Nome: Ilya Zabaluev
Malthinus ?creticus Wittmer, 1971


Top
profilo
Visualizza ultimi messaggi:  Ordina per  
nuovo argomento
rispondi
Pagina 1 di 1 [ 2 messaggi ]

Tutti gli orari sono UTC + 1 ora [ ora legale ]


Chi c’è in linea

Visitano il forum: Nessuno e 2 ospiti


Non puoi aprire nuovi argomenti
Non puoi rispondere negli argomenti
Non puoi modificare i tuoi messaggi
Non puoi cancellare i tuoi messaggi
Non puoi inviare allegati

Cerca per:
Vai a: