Benvenuto Ospite

Forum Entomologi Italiani

www.entomologiitaliani.net/forum
 
Oggi è 04/11/2025, 21:18

Tutti gli orari sono UTC + 1 ora [ ora legale ]

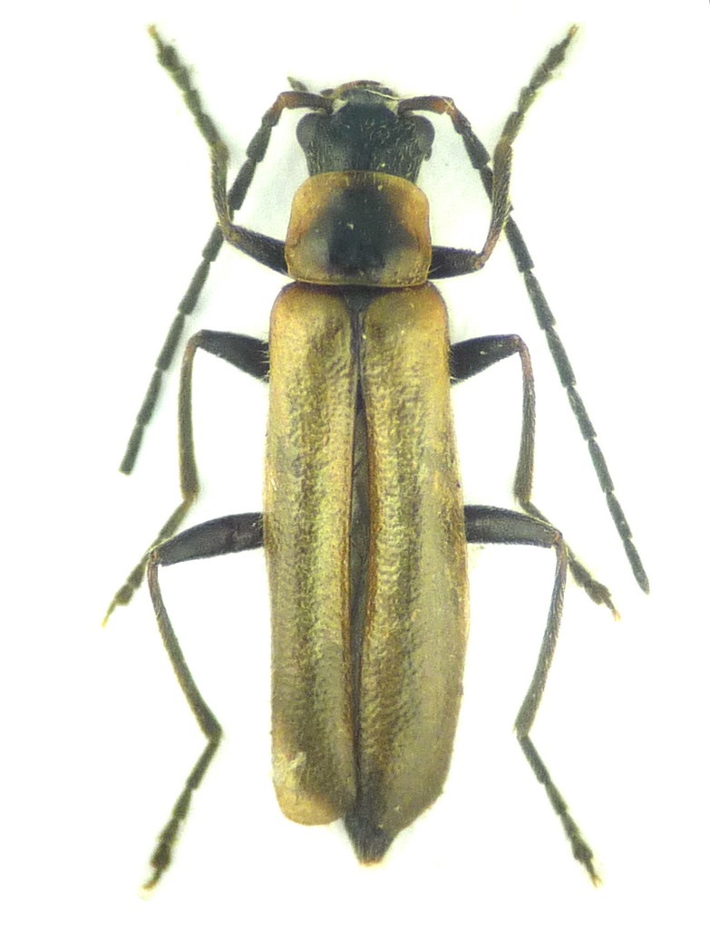
Rhagonycha (Rhagonycha) maculicollis Maerkel, 1852 - Cantharidae

1.VIII.2014 - ITALIA - Trentino-Alto Adige - BZ, Giro del Sassopiatto, sentiero 527


nuovo argomento
rispondi
Pagina 1 di 1 [ 10 messaggi ]
Autore Messaggio
MessaggioInviato: 26/08/2014, 18:08 
Avatar utente

Iscritto il: 21/02/2011, 15:25
Messaggi: 3877
Località: Montecchio Emilia (RE)
Nome: Violi Michele
Nel caso Fabrizio si stia annoiando :D comincio la serie dei 5 Cantharidae trovati nel corso della mia vacanza in Val di Fassa con questo trovato durante la bellissima escursione del giro del Sassopiatto. Ho anche tentato l'estrazione, la mia prima con un Cantharidae :oops:
6 mm

P1500884.jpg



P1500887.jpg


_________________
Michele :D


Top
profilo
 Oggetto del messaggio: Re: Cantharidae #1
MessaggioInviato: 26/08/2014, 18:16 
 
mi dici (non lo vedo bene) se il terzo tarsomero delle zampe (anteriori) è bilobato all'apice?


Top
 Oggetto del messaggio: Re: Cantharidae #1
MessaggioInviato: 26/08/2014, 18:29 
Avatar utente

Iscritto il: 21/02/2011, 15:25
Messaggi: 3877
Località: Montecchio Emilia (RE)
Nome: Violi Michele
A me particolarmente bilobato non sembra :?


P1500896.jpg


_________________
Michele :D
Top
profilo
 Oggetto del messaggio: Re: Cantharidae #1
MessaggioInviato: 26/08/2014, 18:31 
 
Rhagonycha maculicollis Markel, 1852 [con l'umlaut sulla a, ma come si fa qui su FEI?] per me, ma queste bestioline vanno viste bene bene


Top
 Oggetto del messaggio: Re: Cantharidae #1
MessaggioInviato: 26/08/2014, 18:33 
Avatar utente

Iscritto il: 21/02/2011, 15:25
Messaggi: 3877
Località: Montecchio Emilia (RE)
Nome: Violi Michele
Grazie Fabrizio, più veloce della luce :lov2:

_________________
Michele :D


Top
profilo
 Oggetto del messaggio: Re: Cantharidae #1
MessaggioInviato: 26/08/2014, 18:42 
 
:xyz


Top
 Oggetto del messaggio: Re: Cantharidae #1
MessaggioInviato: 26/08/2014, 18:46 
Avatar utente

Iscritto il: 21/02/2011, 15:25
Messaggi: 3877
Località: Montecchio Emilia (RE)
Nome: Violi Michele
Sono andato a vedere nella checklist... sottospecie nominale o pedemontana?

_________________
Michele :D


Top
profilo
 Oggetto del messaggio: Re: Cantharidae #1
MessaggioInviato: 26/08/2014, 19:48 
Avatar utente

Iscritto il: 30/12/2009, 22:20
Messaggi: 31564
Località: Roma
Nome: Maurizio Gigli
hutia ha scritto:
[con l'umlaut sulla a, ma come si fa qui su FEI?] per me, ma queste bestioline vanno viste bene bene

Non so se nei messaggi del Forum funzionano i caratteri ASCII, perchè serve il tastierino numerico, che sul netbook che sto usando non c'è.

Comunque, in questo caso basta andare su un sito o un testo elettronico dove c'è il nome completo di questa specie, copiarlo e incollarlo nel messaggio (ad esempio la checklist della Fauna italiana:
Rhagonycha (Rhagonycha) maculicollis Märkel, 1851

Oppure scrivi il carattere speciale con Word o altro elaboratore di testi, copi e incolli nel messaggio.

Oppure fai come su molti siti, che si limitano a scrivere Maerkel.

_________________
Maurizio Gigli
http://utenti.romascuola.net/bups
http://bup.xoom.it/


Top
profilo
 Oggetto del messaggio: Re: Cantharidae #1
MessaggioInviato: 26/08/2014, 20:05 
 
Julodis: non mi piace il copia/incolla, infatti l'anno corretto è 1852 e nemmeno Maerkel....grazie però
Per Miky: la pedemontana è un altra specie valida (piuttosto simile in verità)


Top
 Oggetto del messaggio: Re: Cantharidae #1
MessaggioInviato: 26/08/2014, 21:25 
Avatar utente

Iscritto il: 30/12/2009, 22:20
Messaggi: 31564
Località: Roma
Nome: Maurizio Gigli
hutia ha scritto:
Julodis: non mi piace il copia/incolla,

Non piace troppo neanche a me. Anche perchè così, se c'è qualche errore, finisce per diffondersi su tutta la rete la grafia sbagliata. Guarda per esempio la Popillia. Qualcuno da qualche parte ha scritto Popilia (che tra l'altro suona meglio) e ora ce ne sono centinaia su tutto il web.
Però quando ci sono caratteri strani è il sistema più rapido.

_________________
Maurizio Gigli
http://utenti.romascuola.net/bups
http://bup.xoom.it/


Top
profilo
Visualizza ultimi messaggi:  Ordina per  
nuovo argomento
rispondi
Pagina 1 di 1 [ 10 messaggi ]

Tutti gli orari sono UTC + 1 ora [ ora legale ]


Chi c’è in linea

Visitano il forum: Nessuno e 1 ospite


Non puoi aprire nuovi argomenti
Non puoi rispondere negli argomenti
Non puoi modificare i tuoi messaggi
Non puoi cancellare i tuoi messaggi
Non puoi inviare allegati

Cerca per:
Vai a: